
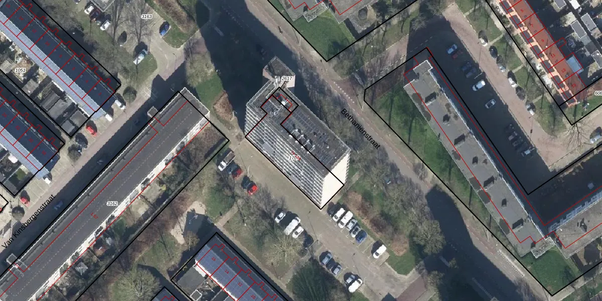
Bethaniënstraat 128 is gelegen in de plaats Arnhem, de gemeente Arnhem en de provincie Gelderland. De oppervlakte van het object bedraagt 87 m². Dat is klein vergeleken met het Nederlandse gemiddelde. Het perceel waarop het adres ligt is 441 m² groot. Het adres is klein vergeleken met andere objecten in de straat. Het grootste object in de straat heeft een oppervlakte van 3462 m², het kleinste is 19 m² groot. De meeste Nederlandse gebouwen zijn gebouwd in de periode 1965-1984. Zo ook het pand waarin Bethaniënstraat 128 ligt, dat gebouwd is in 1970. In de straat komt het nieuwste gebouw uit het jaar 2020 en het oudste uit 1960. Het bouwjaar van dit object is relatief oud. De volgende gebruiksdoelen zijn geregistreerd voor dit adres: 'woonfunctie'.
Het adres ligt op het perceel AHM01-T-1707, dat zich in de kadastrale gemeente Arnhem bevindt. Het perceel is 441 m² groot. Dat is kleiner dan de gemiddelde perceeloppervlakte in Arnhem, dat op 2519,97 m² ligt. De grootste perceeloppervlakte in de kadastrale gemeente is 1,57 km². De kleinste oppervlakte bedraagt 0 m². Op het perceel zijn 36 adressen aanwezig. De laatste wijziging in het de Basisregistratie Kadaster (BRK) was op 11-01-2006.
Het adres ligt in een gebouw van het type 'appartement met het subtype hoekmidden'. Bij de laatste meting is voor het adres het energielabel A geregistreerd. Het hoogste energielabel in de straat is A+; het laagste is G. Het gemiddelde energielabel is er A. Het adres Bethaniënstraat 128 heeft als status: 'verblijfsobject in gebruik'. Het pand waarin dit adres ligt heeft als status: 'pand in gebruik'.
Bethaniënstraat 128 is een adres gelegen in de gemeente Arnhem, provincie Gelderland. Dit adres is geregistreerd in de Basisregistratie Adressen en Gebouwen (BAG) met als unieke identificatie 0202010000339267.
Het pand op Bethaniënstraat 128 is gebouwd in 1970, wat betekent dat het 56 jaar oud is. Dit is een ouder pand. Het pand heeft mogelijk aanzienlijke renovaties nodig om aan de huidige standaarden te voldoen.
De woning op Bethaniënstraat 128 heeft een gebruiksoppervlakte van 87 m². Dit is onder het gemiddelde vergeleken met de gemiddelde Nederlandse woning, die een oppervlakte heeft van ongeveer 119 m². De gebruiksoppervlakte is de maat die wordt gebruikt in de BAG-registratie, de landelijke registratie van de Nederlandse overheid.
Bethaniënstraat 128 heeft als functie: wonen. Deze gebruiksfunctie(s) zijn vastgelegd in de BAG-registratie en geven aan waarvoor het adres officieel mag worden gebruikt.
Bethaniënstraat 128 is gelegen op kadastraal perceel AHM01T1707. Deze kadastrale aanduiding is uniek en wordt gebruikt door het Kadaster om eigendomsrechten en andere zakelijke rechten vast te leggen. Het perceel maakt onderdeel uit van de kadastrale gemeente Arnhem.
Het perceel waarop Bethaniënstraat 128 staat heeft een oppervlakte van 441 m². Dit is een groot perceel. De perceeloppervlakte wordt geregistreerd door het Kadaster. Gedetailleerde informatie over de maten van dit perceel kunt u vinden in het rapport Kadastrale kaart met maatvoering van Bethaniënstraat 128.
De eigenaar van Bethaniënstraat 128 is op te vragen op deze pagina.
De informatie over dit adres is afkomstig uit officiële overheidsregistraties, voornamelijk de Basisregistratie Adressen en Gebouwen (BAG) en de Basisregistratie Kadaster (BRK). Deze gegevens worden beheerd door respectievelijk gemeenten en het Kadaster, en worden regelmatig bijgewerkt. Energielabelgegevens komen uit de database van de Rijksdienst voor Ondernemend Nederland (RVO).
