
Het adres Bethaniënstraat 130 bevindt zich in de plaats Arnhem, in de gemeente Arnhem en de provincie Gelderland. Het verblijfsobject is vergeleken met het Nederlandse gemiddelde aan de kleine kant: de oppervlakte is 87 m². Het perceel waarop het adres zich bevindt heeft een oppervlakte van 441 m². De oppervlakte van het adres is klein vergeleken met de andere objecten in de straat. De oppervlakte van het kleinste object in de straat bedraagt 19 m², terwijl het grootste object 3462 m² groot is. In Nederland komt het grootste deel van de gebouwen uit de periode 1965-1984. Ook het bouwjaar van Bethaniënstraat 130 is afkomstig uit die periode: het betreft namelijk een pand uit 1970. Het nieuwste gebouw in de straat komt uit 2020 en het oudste uit 1960. Dit object is relatief oud. Het verblijfsobject heeft de volgende gebruiksdoelen: 'woonfunctie'.
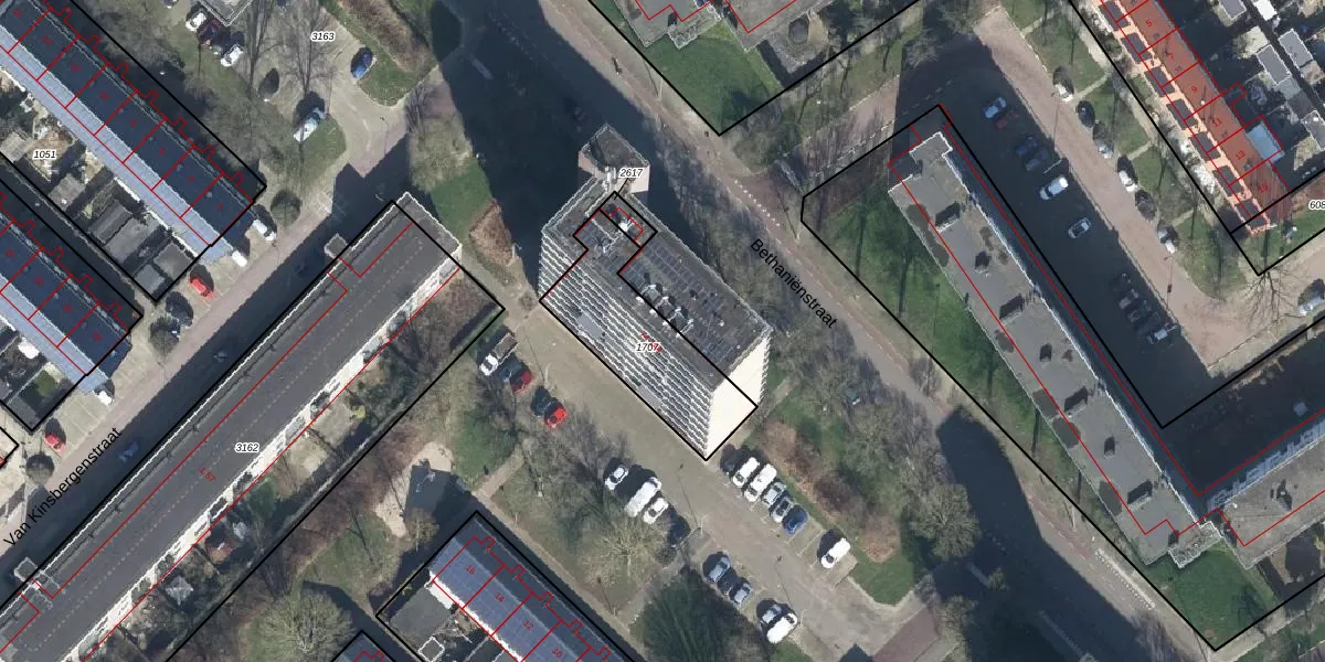
Het adres is gelegen op perceel 1707 in de sectie T en de kadastrale gemeente Arnhem. De kadastrale aanduiding is aldus AHM01-T-1707. Het perceel is kleiner dan gemiddeld in Arnhem. Het perceel is 441 m² groot, terwijl het gemiddelde ligt op 2519,97 m². Het grootste perceel in de kadastrale gemeente is 1,57 km². Het kleinste perceel heeft een oppervlakte van 0 m². Op het perceel liggen in totaal 36 adressen. In de Basisregistratie Kadaster (BRK) werden de grenzen van het perceel geregistreerd op 11-01-2006.
Het adres ligt in een gebouw van het type 'appartement met het subtype hoekmidden'. Bij de laatste meting is voor het adres het energielabel B geregistreerd. Het hoogste energielabel in de straat is A+; het laagste is G. Het gemiddelde energielabel is er A. Het adres Bethaniënstraat 130 heeft als status: 'verblijfsobject in gebruik'. Het pand waarin dit adres ligt heeft als status: 'pand in gebruik'.
Bethaniënstraat 130 is een adres gelegen in de gemeente Arnhem, provincie Gelderland. Dit adres is geregistreerd in de Basisregistratie Adressen en Gebouwen (BAG) met als unieke identificatie 0202010000297844.
Het pand op Bethaniënstraat 130 is gebouwd in 1970, wat betekent dat het 56 jaar oud is. Dit is een ouder pand. Het pand heeft mogelijk aanzienlijke renovaties nodig om aan de huidige standaarden te voldoen.
De woning op Bethaniënstraat 130 heeft een gebruiksoppervlakte van 87 m². Dit is onder het gemiddelde vergeleken met de gemiddelde Nederlandse woning, die een oppervlakte heeft van ongeveer 119 m². De gebruiksoppervlakte is de maat die wordt gebruikt in de BAG-registratie, de landelijke registratie van de Nederlandse overheid.
Bethaniënstraat 130 heeft als functie: wonen. Deze gebruiksfunctie(s) zijn vastgelegd in de BAG-registratie en geven aan waarvoor het adres officieel mag worden gebruikt.
Bethaniënstraat 130 is gelegen op kadastraal perceel AHM01T1707. Deze kadastrale aanduiding is uniek en wordt gebruikt door het Kadaster om eigendomsrechten en andere zakelijke rechten vast te leggen. Het perceel maakt onderdeel uit van de kadastrale gemeente Arnhem.
Het perceel waarop Bethaniënstraat 130 staat heeft een oppervlakte van 441 m². Dit is een groot perceel. De perceeloppervlakte wordt geregistreerd door het Kadaster. Gedetailleerde informatie over de maten van dit perceel kunt u vinden in het rapport Kadastrale kaart met maatvoering van Bethaniënstraat 130.
De eigenaar van Bethaniënstraat 130 is op te vragen op deze pagina.
De informatie over dit adres is afkomstig uit officiële overheidsregistraties, voornamelijk de Basisregistratie Adressen en Gebouwen (BAG) en de Basisregistratie Kadaster (BRK). Deze gegevens worden beheerd door respectievelijk gemeenten en het Kadaster, en worden regelmatig bijgewerkt. Energielabelgegevens komen uit de database van de Rijksdienst voor Ondernemend Nederland (RVO).
