
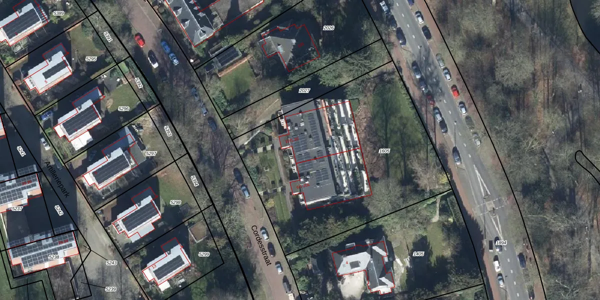
Cordesstraat 10-1 is gelegen in de plaats Arnhem, de gemeente Arnhem en de provincie Gelderland. Het perceel waarop het verblijfsobject staat is 2684 m² groot. De oppervlakte van het adres is 131 m², wat zich rond het Nederlandse gemiddelde van 119 m² bevindt. In vergelijking met de andere adressen in de straat is de oppervlakte van dit object relatief groot. Het grootste verblijfsobject heeft een oppervlakte van 708 m², de oppervlakte van het kleinste object bedraagt 18 m². De gemiddelde bouwperiode van gebouwen in Nederland ligt tussen de jaren 1965-1984. Dat geldt ook voor het bouwjaar van Cordesstraat 10-1: het is gebouwd in het jaar 1973. In de straat is dit het nieuwste pand en stamt het oudste object uit het jaar 1915. Het gemiddelde bouwjaar in de straat is 1970. De volgende gebruiksdoelen zijn geregistreerd voor dit adres: 'woonfunctie'.
Deze woning is voor het laatst verkocht op 1 april 2008. Meer informatie over deze transactie? Bestel het Woningtransactierapport om de verkoopprijs en andere informatie te zien.
Het perceel waarop het adres ligt is AHM01-M-1605. De afkorting 'AHM01' staat voor kadastrale gemeente Arnhem. De oppervlakte van het perceel is 2684 m². Dat is groter dan gemiddeld in Arnhem, waar de gemiddelde perceeloppervlakte op 2515,94 m² ligt. Het kleinste perceel in de kadastrale gemeente is 0 m² groot. De grootste perceeloppervlakte is 1,57 km². Op het perceel zijn 34 adressen aanwezig. De laatste wijziging in het de Basisregistratie Kadaster (BRK) was op 01-04-2003.
Er is geen energielabel geregistreerd voor het adres. Het hoogste energielabel in de straat is A+; het laagste is G. Het gemiddelde energielabel is er C. Het adres Cordesstraat 10-1 heeft als status: 'verblijfsobject in gebruik'. Het pand waarin dit adres ligt heeft als status: 'pand in gebruik'.
Cordesstraat 10-1 is een adres gelegen in de gemeente Arnhem, provincie Gelderland. Dit adres is geregistreerd in de Basisregistratie Adressen en Gebouwen (BAG) met als unieke identificatie 0202010000284058.
Het pand op Cordesstraat 10-1 is gebouwd in 1973, wat betekent dat het 53 jaar oud is. Dit is een ouder pand. Het pand heeft mogelijk aanzienlijke renovaties nodig om aan de huidige standaarden te voldoen.
De woning op Cordesstraat 10-1 heeft een gebruiksoppervlakte van 131 m². Dit is gemiddeld vergeleken met de gemiddelde Nederlandse woning, die een oppervlakte heeft van ongeveer 119 m². De gebruiksoppervlakte is de maat die wordt gebruikt in de BAG-registratie, de landelijke registratie van de Nederlandse overheid.
Cordesstraat 10-1 heeft als functie: wonen. Deze gebruiksfunctie(s) zijn vastgelegd in de BAG-registratie en geven aan waarvoor het adres officieel mag worden gebruikt.
Cordesstraat 10-1 is gelegen op kadastraal perceel AHM01M1605. Deze kadastrale aanduiding is uniek en wordt gebruikt door het Kadaster om eigendomsrechten en andere zakelijke rechten vast te leggen. Het perceel maakt onderdeel uit van de kadastrale gemeente Arnhem.
Het perceel waarop Cordesstraat 10-1 staat heeft een oppervlakte van 2684 m². Dit is een zeer groot perceel. De perceeloppervlakte wordt geregistreerd door het Kadaster. Gedetailleerde informatie over de maten van dit perceel kunt u vinden in het rapport Kadastrale kaart met maatvoering van Cordesstraat 10-1.
De eigenaar van Cordesstraat 10-1 is op te vragen op deze pagina.
De informatie over dit adres is afkomstig uit officiële overheidsregistraties, voornamelijk de Basisregistratie Adressen en Gebouwen (BAG) en de Basisregistratie Kadaster (BRK). Deze gegevens worden beheerd door respectievelijk gemeenten en het Kadaster, en worden regelmatig bijgewerkt. Energielabelgegevens komen uit de database van de Rijksdienst voor Ondernemend Nederland (RVO).
