
Het adres Halsterenstraat 163 bevindt zich in de plaats Arnhem, in de gemeente Arnhem en de provincie Gelderland. Het perceel waarop het adres gelegen is heeft een oppervlakte van 835 m². Het verblijfsobject is met 47 m² relatief klein. De oppervlakte van het adres is klein vergeleken met de andere objecten in de straat. De oppervlakte van het kleinste object in de straat bedraagt 26 m², terwijl het grootste object 221 m² groot is. De meeste Nederlandse gebouwen zijn gebouwd in de periode 1965-1984. Zo ook het pand waarin Halsterenstraat 163 ligt, dat gebouwd is in 1981. Het bouwjaar is oud vergeleken met dat van de andere panden in de straat. Het oudste bouwjaar is er 1979 en de nieuwste is 1993. Het verblijfsobject heeft de volgende gebruiksdoelen: 'woonfunctie'.
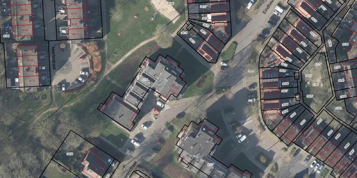
Het adres is gelegen op perceel 6776 in de sectie AC en de kadastrale gemeente Arnhem. De kadastrale aanduiding is aldus AHM03-AC-6776. De gemiddelde perceeloppervlakte in de kadastrale gemeente Arnhem is 651,57 m². Dit perceel is met zijn 835 m² dus groter dan gemiddeld. De grootste perceeloppervlakte in de kadastrale gemeente is 14,2 ha. De kleinste oppervlakte bedraagt 0 m². Er zijn 36 adressen aanwezig op het perceel. In de Basisregistratie Kadaster (BRK) werden de grenzen van het perceel geregistreerd op 22-03-2010.
Het adres ligt in een gebouw van het type 'galerijwoning met het subtype tussendak'. Bij de laatste meting is voor het adres het energielabel E geregistreerd. Het hoogste energielabel in de straat is B; het laagste is G. Het gemiddelde energielabel is er D. Het adres Halsterenstraat 163 heeft als status: 'verblijfsobject in gebruik'. Het pand waarin dit adres ligt heeft als status: 'pand in gebruik'.
Halsterenstraat 163 is een adres gelegen in de gemeente Arnhem, provincie Gelderland. Dit adres is geregistreerd in de Basisregistratie Adressen en Gebouwen (BAG) met als unieke identificatie 0202010000388341.
Het pand op Halsterenstraat 163 is gebouwd in 1981, wat betekent dat het 45 jaar oud is. Dit is een pand van middelbare leeftijd. Het pand is van gemiddelde leeftijd en zal waarschijnlijk verouderde elementen bevatten.
De woning op Halsterenstraat 163 heeft een gebruiksoppervlakte van 47 m². Dit is relatief klein vergeleken met de gemiddelde Nederlandse woning, die een oppervlakte heeft van ongeveer 119 m². De gebruiksoppervlakte is de maat die wordt gebruikt in de BAG-registratie, de landelijke registratie van de Nederlandse overheid.
Halsterenstraat 163 heeft als functie: wonen. Deze gebruiksfunctie(s) zijn vastgelegd in de BAG-registratie en geven aan waarvoor het adres officieel mag worden gebruikt.
Halsterenstraat 163 is gelegen op kadastraal perceel AHM03AC6776. Deze kadastrale aanduiding is uniek en wordt gebruikt door het Kadaster om eigendomsrechten en andere zakelijke rechten vast te leggen. Het perceel maakt onderdeel uit van de kadastrale gemeente Arnhem.
Het perceel waarop Halsterenstraat 163 staat heeft een oppervlakte van 835 m². Dit is een groot perceel. De perceeloppervlakte wordt geregistreerd door het Kadaster. Gedetailleerde informatie over de maten van dit perceel kunt u vinden in het rapport Kadastrale kaart met maatvoering van Halsterenstraat 163.
De eigenaar van Halsterenstraat 163 is op te vragen op deze pagina.
De informatie over dit adres is afkomstig uit officiële overheidsregistraties, voornamelijk de Basisregistratie Adressen en Gebouwen (BAG) en de Basisregistratie Kadaster (BRK). Deze gegevens worden beheerd door respectievelijk gemeenten en het Kadaster, en worden regelmatig bijgewerkt. Energielabelgegevens komen uit de database van de Rijksdienst voor Ondernemend Nederland (RVO).
