
Kemperbergerweg 707 is gelegen in de plaats Arnhem, de gemeente Arnhem en de provincie Gelderland. De oppervlakte van het verblijfsobject is met 370 m² aan de grote kant. Het perceel heeft een oppervlakte van 1283 m². In vergelijking met de andere adressen in de straat is de oppervlakte van dit object relatief groot. Het grootste verblijfsobject heeft een oppervlakte van 7620 m², de oppervlakte van het kleinste object bedraagt 4 m². In het jaar 1992 is het pand waarin Kemperbergerweg 707 ligt gebouwd. Dat is relatief recent: de meeste gebouwen in Nederland zijn gebouwd in de periode 1965-1984. Dit object is relatief nieuw in de straat. Het nieuwste gebouw komt er uit het jaar 2026 en het oudste uit het jaar 1840. Het verblijfsobject heeft de volgende gebruiksdoelen: 'woonfunctie'.
Deze woning is voor het laatst verkocht op 1 maart 2008. Meer informatie over deze transactie? Bestel het Woningtransactierapport om de verkoopprijs en andere informatie te zien.
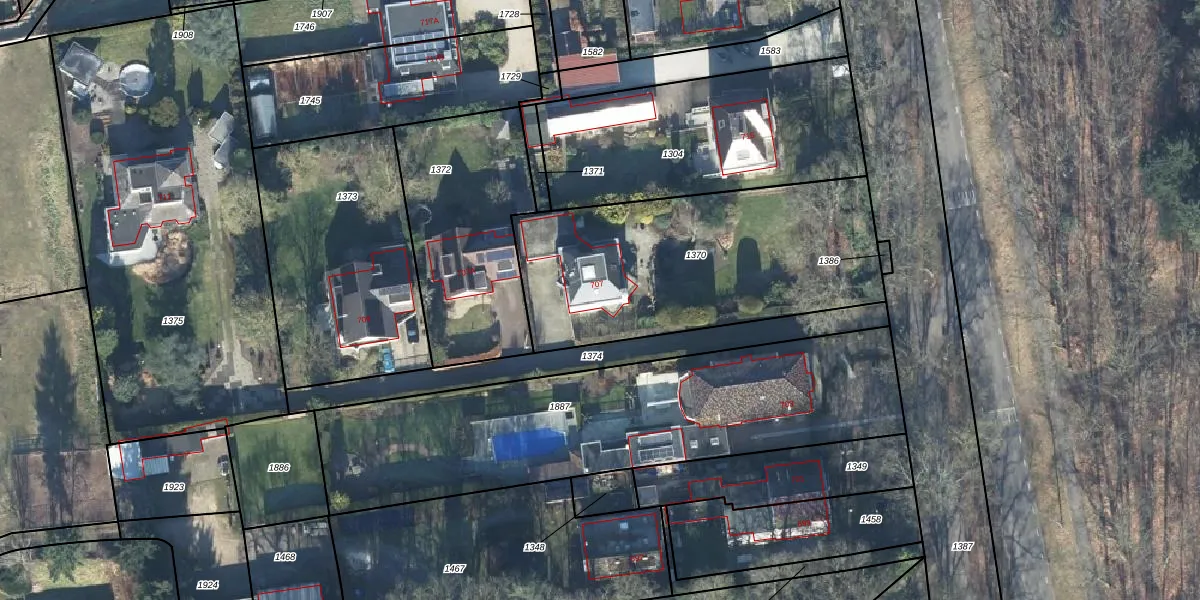
Het perceel waarop het adres ligt is AHM01-I-1370. De afkorting 'AHM01' staat voor kadastrale gemeente Arnhem. Het perceel is kleiner dan gemiddeld in Arnhem. Het perceel is 1283 m² groot, terwijl het gemiddelde ligt op 2519,97 m². De grootste perceeloppervlakte in de kadastrale gemeente is 1,57 km². De kleinste oppervlakte bedraagt 0 m². Op het perceel bevinden zich geen andere adressen. De laatste wijziging in het de Basisregistratie Kadaster (BRK) was op 26-07-2022.
Het adres ligt in een gebouw van het type 'vrijstaande woning'. Bij de laatste meting is voor het adres het energielabel B geregistreerd. Het hoogste energielabel in de straat is A+++; het laagste is G. Het gemiddelde energielabel is er B. Het adres Kemperbergerweg 707 heeft als status: 'verblijfsobject in gebruik'. Het pand waarin dit adres ligt heeft als status: 'pand in gebruik'.
Kemperbergerweg 707 is een adres gelegen in de gemeente Arnhem, provincie Gelderland. Dit adres is geregistreerd in de Basisregistratie Adressen en Gebouwen (BAG) met als unieke identificatie 0202010000288907.
Het pand op Kemperbergerweg 707 is gebouwd in 1992, wat betekent dat het 34 jaar oud is. Dit is een pand van middelbare leeftijd. Het pand is van gemiddelde leeftijd en zal waarschijnlijk verouderde elementen bevatten.
De woning op Kemperbergerweg 707 heeft een gebruiksoppervlakte van 370 m². Dit is ruim vergeleken met de gemiddelde Nederlandse woning, die een oppervlakte heeft van ongeveer 119 m². De gebruiksoppervlakte is de maat die wordt gebruikt in de BAG-registratie, de landelijke registratie van de Nederlandse overheid.
Kemperbergerweg 707 heeft als functie: wonen. Deze gebruiksfunctie(s) zijn vastgelegd in de BAG-registratie en geven aan waarvoor het adres officieel mag worden gebruikt.
Kemperbergerweg 707 is gelegen op kadastraal perceel AHM01I1370. Deze kadastrale aanduiding is uniek en wordt gebruikt door het Kadaster om eigendomsrechten en andere zakelijke rechten vast te leggen. Het perceel maakt onderdeel uit van de kadastrale gemeente Arnhem.
Het perceel waarop Kemperbergerweg 707 staat heeft een oppervlakte van 1283 m². Dit is een zeer groot perceel. De perceeloppervlakte wordt geregistreerd door het Kadaster. Gedetailleerde informatie over de maten van dit perceel kunt u vinden in het rapport Kadastrale kaart met maatvoering van Kemperbergerweg 707.
De eigenaar van Kemperbergerweg 707 is op te vragen op deze pagina.
De informatie over dit adres is afkomstig uit officiële overheidsregistraties, voornamelijk de Basisregistratie Adressen en Gebouwen (BAG) en de Basisregistratie Kadaster (BRK). Deze gegevens worden beheerd door respectievelijk gemeenten en het Kadaster, en worden regelmatig bijgewerkt. Energielabelgegevens komen uit de database van de Rijksdienst voor Ondernemend Nederland (RVO).
