
Sappemeerstraat 2-A is gelegen in de plaats Arnhem, de gemeente Arnhem en de provincie Gelderland. Het perceel waarop het adres gelegen is heeft een oppervlakte van 14 m². Het verblijfsobject is met 15 m² relatief klein. Dit is het kleinste object van de straat. De gemiddelde oppervlakte van verblijfsobjecten is er 126 m². De grootste oppervlakte in de straat is 156 m². De gemiddelde bouwperiode van gebouwen in Nederland ligt tussen de jaren 1965-1984. Dat geldt ook voor het bouwjaar van Sappemeerstraat 2-A: het is gebouwd in het jaar 1974. Het gemiddelde bouwjaar in de straat is 1973 en dat van het oudste pand is 1973. Dit is het nieuwste object in de straat. De volgende gebruiksdoelen zijn geregistreerd voor dit adres: 'overige gebruiksfunctie'.
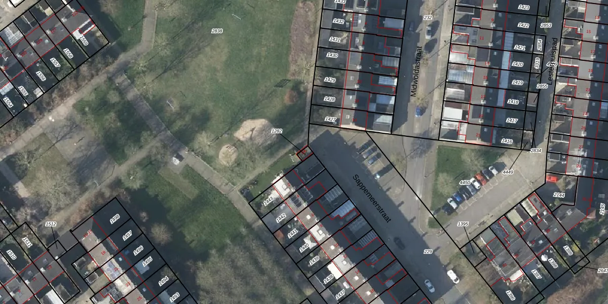
Het adres is gelegen op perceel 1282 in de sectie W en de kadastrale gemeente Arnhem. De kadastrale aanduiding is aldus AHM01-W-1282. Het perceel is 14 m² groot. Dat is kleiner dan de gemiddelde perceeloppervlakte in Arnhem, dat op 2520,42 m² ligt. Het kleinste perceel in de kadastrale gemeente is 0 m² groot. De grootste perceeloppervlakte is 1,57 km². Dit is het enige adres dat aanwezig is op het perceel. De laatste wijziging in het de Basisregistratie Kadaster (BRK) was op 04-01-2006.
Er is geen energielabel geregistreerd voor het adres. Het hoogste energielabel in de straat is A; het laagste is G. Het gemiddelde energielabel is er B. Het adres Sappemeerstraat 2-A heeft als status: 'verblijfsobject in gebruik'. Het pand waarin dit adres ligt heeft als status: 'pand in gebruik'.
Sappemeerstraat 2-A is een adres gelegen in de gemeente Arnhem, provincie Gelderland. Dit adres is geregistreerd in de Basisregistratie Adressen en Gebouwen (BAG) met als unieke identificatie 0202010000351613.
Het pand op Sappemeerstraat 2-A is gebouwd in 1974, wat betekent dat het 52 jaar oud is. Dit is een ouder pand. Het pand heeft mogelijk aanzienlijke renovaties nodig om aan de huidige standaarden te voldoen.
De woning op Sappemeerstraat 2-A heeft een gebruiksoppervlakte van 15 m². Dit is relatief klein vergeleken met de gemiddelde Nederlandse woning, die een oppervlakte heeft van ongeveer 119 m². De gebruiksoppervlakte is de maat die wordt gebruikt in de BAG-registratie, de landelijke registratie van de Nederlandse overheid.
Sappemeerstraat 2-A heeft als functie: overige doeleinden. Deze gebruiksfunctie(s) zijn vastgelegd in de BAG-registratie en geven aan waarvoor het adres officieel mag worden gebruikt.
Sappemeerstraat 2-A is gelegen op kadastraal perceel AHM01W1282. Deze kadastrale aanduiding is uniek en wordt gebruikt door het Kadaster om eigendomsrechten en andere zakelijke rechten vast te leggen. Het perceel maakt onderdeel uit van de kadastrale gemeente Arnhem.
Het perceel waarop Sappemeerstraat 2-A staat heeft een oppervlakte van 14 m². Dit is een klein perceel. De perceeloppervlakte wordt geregistreerd door het Kadaster. Gedetailleerde informatie over de maten van dit perceel kunt u vinden in het rapport Kadastrale kaart met maatvoering van Sappemeerstraat 2-A.
De eigenaar van Sappemeerstraat 2-A is op te vragen op deze pagina.
De informatie over dit adres is afkomstig uit officiële overheidsregistraties, voornamelijk de Basisregistratie Adressen en Gebouwen (BAG) en de Basisregistratie Kadaster (BRK). Deze gegevens worden beheerd door respectievelijk gemeenten en het Kadaster, en worden regelmatig bijgewerkt. Energielabelgegevens komen uit de database van de Rijksdienst voor Ondernemend Nederland (RVO).
