
Smallingerlandweg 7 is een adres in Arnhem, dat zich bevindt binnen de gemeentegrenzen van Arnhem en de grenzen van de provincie Gelderland. De oppervlakte van het verblijfsobject is met 190 m² aan de grote kant. Het perceel heeft een oppervlakte van 445 m². Het object is klein ten opzichte van de andere adressen in de straat. Het grootste verblijfsobject is 225 m² groot en het kleinste is 168 m². In het jaar 1999 is het pand waarin Smallingerlandweg 7 ligt gebouwd. Dat is relatief recent: de meeste gebouwen in Nederland zijn gebouwd in de periode 1965-1984. Dit pand is het meest recent exemplaar in de straat. Het oudste object komt er uit 1998 en het gemiddelde bouwjaar is 1998. De volgende gebruiksdoelen zijn geregistreerd voor dit adres: 'woonfunctie'.
Deze woning is voor het laatst verkocht op 1 september 2025. Meer informatie over deze transactie? Bestel het Woningtransactierapport om de verkoopprijs en andere informatie te zien.
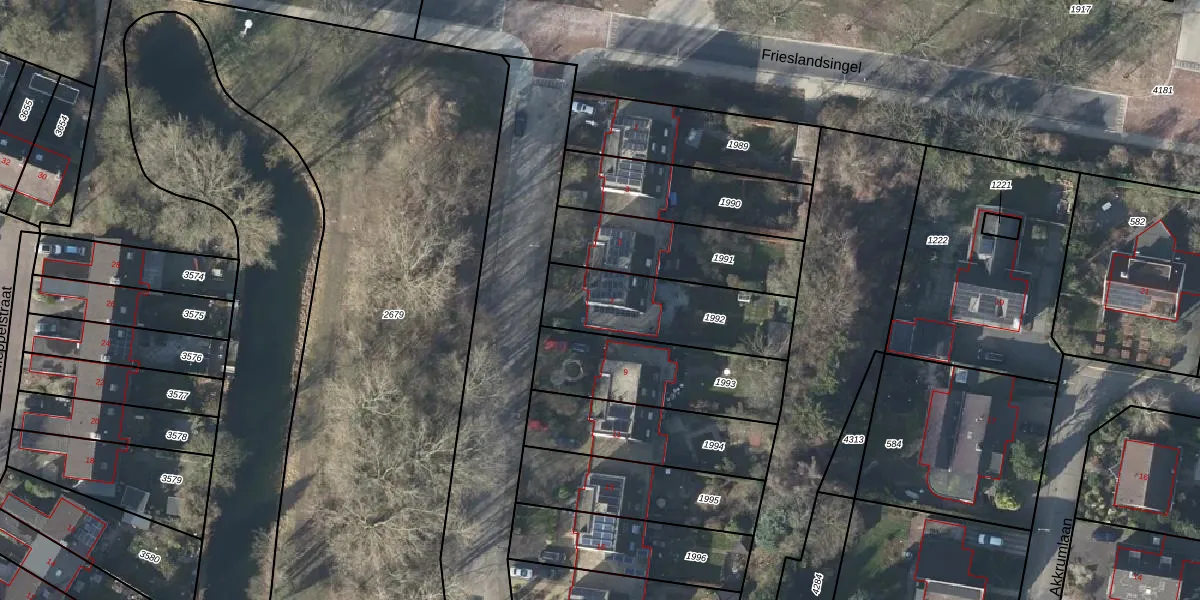
Het perceel waarop het adres ligt is AHM01-W-1992. De afkorting 'AHM01' staat voor kadastrale gemeente Arnhem. Het perceel is 445 m² groot. Dat is kleiner dan de gemiddelde perceeloppervlakte in Arnhem, dat op 2523,41 m² ligt. De grootste perceeloppervlakte in de kadastrale gemeente is 1,57 km². De kleinste oppervlakte bedraagt 0 m². Op het perceel bevinden zich geen andere adressen. De huidige grenzen van het perceel zijn digitaal in de Basisregistratie Kadaster (BRK) geregistreerd op 02-09-2003.
Het adres ligt in een gebouw van het type 'rijwoning hoek'. Bij de laatste meting is voor het adres het energielabel A geregistreerd. Het hoogste energielabel in de straat is A; het laagste is G. Het gemiddelde energielabel is er B. Het adres Smallingerlandweg 7 heeft als status: 'verblijfsobject in gebruik'. Het pand waarin dit adres ligt heeft als status: 'pand in gebruik'.
Smallingerlandweg 7 is een adres gelegen in de gemeente Arnhem, provincie Gelderland. Dit adres is geregistreerd in de Basisregistratie Adressen en Gebouwen (BAG) met als unieke identificatie 0202010000318633.
Het pand op Smallingerlandweg 7 is gebouwd in 1999, wat betekent dat het 27 jaar oud is. Dit is een pand van middelbare leeftijd. Het pand is van gemiddelde leeftijd en zal waarschijnlijk verouderde elementen bevatten.
De woning op Smallingerlandweg 7 heeft een gebruiksoppervlakte van 190 m². Dit is ruim vergeleken met de gemiddelde Nederlandse woning, die een oppervlakte heeft van ongeveer 119 m². De gebruiksoppervlakte is de maat die wordt gebruikt in de BAG-registratie, de landelijke registratie van de Nederlandse overheid.
Smallingerlandweg 7 heeft als functie: wonen. Deze gebruiksfunctie(s) zijn vastgelegd in de BAG-registratie en geven aan waarvoor het adres officieel mag worden gebruikt.
Smallingerlandweg 7 is gelegen op kadastraal perceel AHM01W1992. Deze kadastrale aanduiding is uniek en wordt gebruikt door het Kadaster om eigendomsrechten en andere zakelijke rechten vast te leggen. Het perceel maakt onderdeel uit van de kadastrale gemeente Arnhem.
Het perceel waarop Smallingerlandweg 7 staat heeft een oppervlakte van 445 m². Dit is een groot perceel. De perceeloppervlakte wordt geregistreerd door het Kadaster. Gedetailleerde informatie over de maten van dit perceel kunt u vinden in het rapport Kadastrale kaart met maatvoering van Smallingerlandweg 7.
De eigenaar van Smallingerlandweg 7 is op te vragen op deze pagina.
De informatie over dit adres is afkomstig uit officiële overheidsregistraties, voornamelijk de Basisregistratie Adressen en Gebouwen (BAG) en de Basisregistratie Kadaster (BRK). Deze gegevens worden beheerd door respectievelijk gemeenten en het Kadaster, en worden regelmatig bijgewerkt. Energielabelgegevens komen uit de database van de Rijksdienst voor Ondernemend Nederland (RVO).
