
Coevorderweg 17-023 is gelegen in de plaats Arriën, de gemeente Ommen en de provincie Overijssel. Het perceel waarop het adres gelegen is heeft een oppervlakte van 5,8 ha. Het verblijfsobject is met 59 m² relatief klein. Het adres is klein vergeleken met andere objecten in de straat. Het grootste object in de straat heeft een oppervlakte van 222 m², het kleinste is 33 m² groot. Coevorderweg 17-023 bevindt zich in een pand uit het jaar 1960. Daarmee behoort het tot de groep relatief oude panden in Nederland die gebouwd zijn vóór 1965. Het bouwjaar is oud vergeleken met dat van de andere panden in de straat. Het oudste bouwjaar is er 1870 en de nieuwste is 2026. Het verblijfsobject heeft de volgende gebruiksdoelen: 'logiesfunctie'.
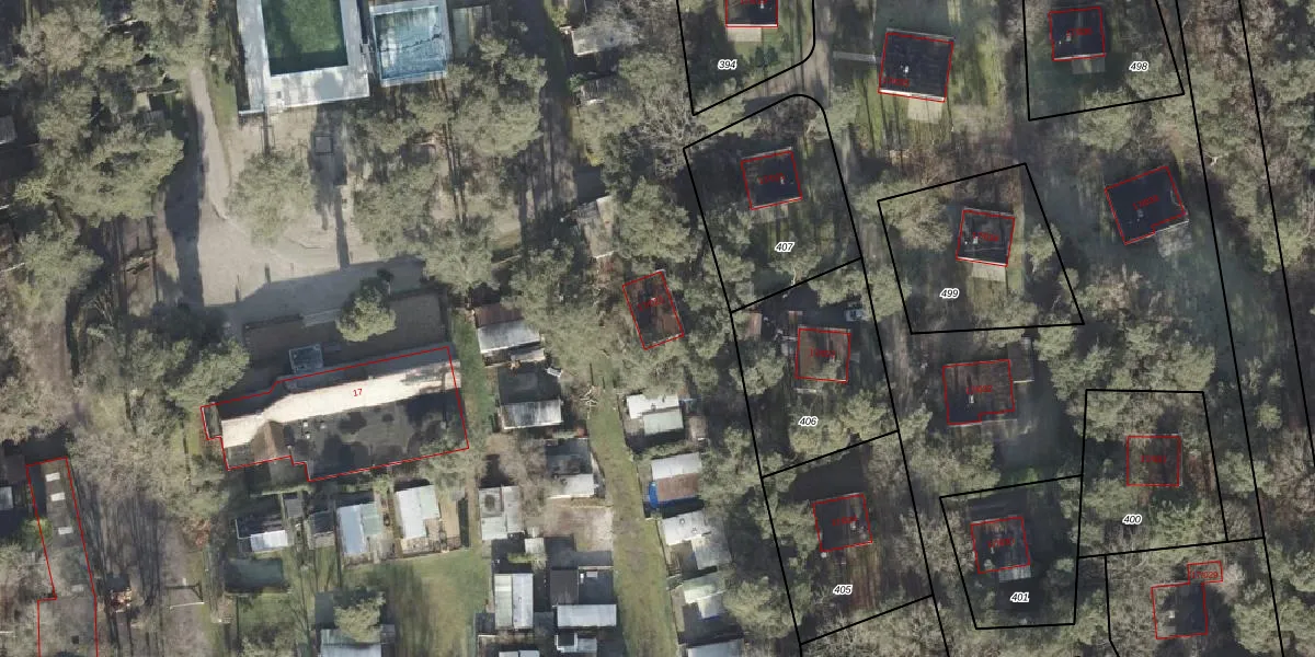
Het adres ligt op het perceel OMN01-P-500, dat zich in de kadastrale gemeente Ambt-Ommen bevindt. De gemiddelde perceeloppervlakte in de kadastrale gemeente Ambt-Ommen is 1,3 ha. Dit perceel is met zijn 5,8 ha dus groter dan gemiddeld. Het grootste perceel in de kadastrale gemeente is 2,46 km². Het kleinste perceel heeft een oppervlakte van 0 m². Er zijn 6 adressen aanwezig op het perceel. De laatste wijziging in het de Basisregistratie Kadaster (BRK) was op 31-07-2002.
Er is geen energielabel geregistreerd voor het adres. Het hoogste energielabel in de straat is A+; het laagste is G. Het gemiddelde energielabel is er C. Het adres Coevorderweg 17-023 heeft als status: 'verblijfsobject in gebruik'. Het pand waarin dit adres ligt heeft als status: 'pand in gebruik'.
Coevorderweg 17-023 is een adres gelegen in de gemeente Ommen, provincie Overijssel. Dit adres is geregistreerd in de Basisregistratie Adressen en Gebouwen (BAG) met als unieke identificatie 0175010000008116.
Het pand op Coevorderweg 17-023 is gebouwd in 1960, wat betekent dat het 66 jaar oud is. Dit is een ouder pand. Het pand heeft mogelijk aanzienlijke renovaties nodig om aan de huidige standaarden te voldoen.
De woning op Coevorderweg 17-023 heeft een gebruiksoppervlakte van 59 m². Dit is relatief klein vergeleken met de gemiddelde Nederlandse woning, die een oppervlakte heeft van ongeveer 119 m². De gebruiksoppervlakte is de maat die wordt gebruikt in de BAG-registratie, de landelijke registratie van de Nederlandse overheid.
Coevorderweg 17-023 heeft als functie: logies/verblijf. Deze gebruiksfunctie(s) zijn vastgelegd in de BAG-registratie en geven aan waarvoor het adres officieel mag worden gebruikt.
Coevorderweg 17-023 is gelegen op kadastraal perceel OMN01P500. Deze kadastrale aanduiding is uniek en wordt gebruikt door het Kadaster om eigendomsrechten en andere zakelijke rechten vast te leggen. Het perceel maakt onderdeel uit van de kadastrale gemeente Ambt-Ommen.
Het perceel waarop Coevorderweg 17-023 staat heeft een oppervlakte van 5,8 ha. Dit is een zeer groot perceel. De perceeloppervlakte wordt geregistreerd door het Kadaster. Gedetailleerde informatie over de maten van dit perceel kunt u vinden in het rapport Kadastrale kaart met maatvoering van Coevorderweg 17-023.
De eigenaar van Coevorderweg 17-023 is op te vragen op deze pagina.
De informatie over dit adres is afkomstig uit officiële overheidsregistraties, voornamelijk de Basisregistratie Adressen en Gebouwen (BAG) en de Basisregistratie Kadaster (BRK). Deze gegevens worden beheerd door respectievelijk gemeenten en het Kadaster, en worden regelmatig bijgewerkt. Energielabelgegevens komen uit de database van de Rijksdienst voor Ondernemend Nederland (RVO).
