
Anreperstraat 208-E is gelegen in de plaats Assen, de gemeente Assen en de provincie Drenthe. Het verblijfsobject is vergeleken met het Nederlandse gemiddelde aan de kleine kant: de oppervlakte is 35 m². Het perceel waarop het adres zich bevindt heeft een oppervlakte van 9560 m². Het adres is klein vergeleken met andere objecten in de straat. Het grootste object in de straat heeft een oppervlakte van 469 m², het kleinste is 20 m² groot. Het gebouw waarin Anreperstraat 208-E ligt komt uit het jaar 1924. Objecten die gebouwd zijn vóór 1965 classificeren we hier als oud. Het nieuwste gebouw in de straat komt uit 2020 en het oudste uit 1845. Dit object is relatief oud. De volgende gebruiksdoelen zijn geregistreerd voor dit adres: 'woonfunctie'.
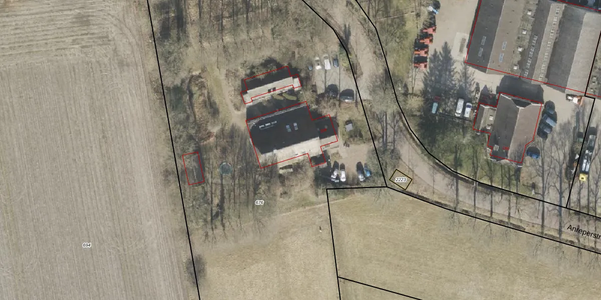
Het adres ligt op het perceel ASN00-R-676, dat zich in de kadastrale gemeente Assen bevindt. De oppervlakte van het perceel is 9560 m². Dat is groter dan gemiddeld in Assen, waar de gemiddelde perceeloppervlakte op 2711,25 m² ligt. Het kleinste perceel in de kadastrale gemeente is 0 m² groot. De grootste perceeloppervlakte is 3,09 km². Op het perceel liggen in totaal 13 adressen. De laatste wijziging in het de Basisregistratie Kadaster (BRK) was op 13-08-2003.
Er is geen energielabel geregistreerd voor het adres. Het hoogste energielabel in de straat is A++; het laagste is G. Het gemiddelde energielabel is er C. Het adres Anreperstraat 208-E heeft als status: 'verblijfsobject in gebruik'. Het pand waarin dit adres ligt heeft als status: 'pand in gebruik'.
Anreperstraat 208-E is een adres gelegen in de gemeente Assen, provincie Drenthe. Dit adres is geregistreerd in de Basisregistratie Adressen en Gebouwen (BAG) met als unieke identificatie 0106010000036272.
Het pand op Anreperstraat 208-E is gebouwd in 1924, wat betekent dat het 102 jaar oud is. Dit is een ouder pand. Het pand heeft mogelijk aanzienlijke renovaties nodig om aan de huidige standaarden te voldoen.
De woning op Anreperstraat 208-E heeft een gebruiksoppervlakte van 35 m². Dit is relatief klein vergeleken met de gemiddelde Nederlandse woning, die een oppervlakte heeft van ongeveer 119 m². De gebruiksoppervlakte is de maat die wordt gebruikt in de BAG-registratie, de landelijke registratie van de Nederlandse overheid.
Anreperstraat 208-E heeft als functie: wonen. Deze gebruiksfunctie(s) zijn vastgelegd in de BAG-registratie en geven aan waarvoor het adres officieel mag worden gebruikt.
Anreperstraat 208-E is gelegen op kadastraal perceel ASN00R676. Deze kadastrale aanduiding is uniek en wordt gebruikt door het Kadaster om eigendomsrechten en andere zakelijke rechten vast te leggen. Het perceel maakt onderdeel uit van de kadastrale gemeente Assen.
Het perceel waarop Anreperstraat 208-E staat heeft een oppervlakte van 9560 m². Dit is een zeer groot perceel. De perceeloppervlakte wordt geregistreerd door het Kadaster. Gedetailleerde informatie over de maten van dit perceel kunt u vinden in het rapport Kadastrale kaart met maatvoering van Anreperstraat 208-E.
De eigenaar van Anreperstraat 208-E is op te vragen op deze pagina.
De informatie over dit adres is afkomstig uit officiële overheidsregistraties, voornamelijk de Basisregistratie Adressen en Gebouwen (BAG) en de Basisregistratie Kadaster (BRK). Deze gegevens worden beheerd door respectievelijk gemeenten en het Kadaster, en worden regelmatig bijgewerkt. Energielabelgegevens komen uit de database van de Rijksdienst voor Ondernemend Nederland (RVO).
