
Hertenkamp 1-A is een adres in Assen, dat zich bevindt binnen de gemeentegrenzen van Assen en de grenzen van de provincie Drenthe. Het perceel waarop het adres gelegen is heeft een oppervlakte van 440 m². Het verblijfsobject is met 4 m² relatief klein. In de straat is dit het kleinste object. Het grootste verblijfsobject heeft een oppervlakte van 1026 m². De gemiddelde grootte is er 156 m². De meeste Nederlandse gebouwen zijn gebouwd in de periode 1965-1984. Zo ook het pand waarin Hertenkamp 1-A ligt, dat gebouwd is in 1970. Vergeleken met de andere panden in de straat is dit gebouw nieuw. Het vroegste bouwjaar is er 1877 en het laatste is 1994. De volgende gebruiksdoelen zijn geregistreerd voor dit adres: 'overige gebruiksfunctie'.
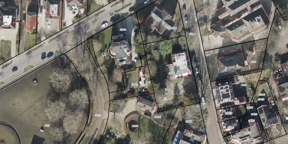
Het perceel waarop het adres ligt is ASN00-I-13562. De afkorting 'ASN00' staat voor kadastrale gemeente Assen. Het perceel is 440 m² groot. Dat is kleiner dan de gemiddelde perceeloppervlakte in Assen, dat op 2711,25 m² ligt. De grootste perceeloppervlakte in de kadastrale gemeente is 3,09 km². De kleinste oppervlakte bedraagt 0 m². Er zijn 3 adressen aanwezig op het perceel. De huidige grenzen van het perceel zijn digitaal in de Basisregistratie Kadaster (BRK) geregistreerd op 17-01-2005.
Er is geen energielabel geregistreerd voor het adres. Het hoogste energielabel in de straat is C; het laagste is G. Het gemiddelde energielabel is er D. Het adres Hertenkamp 1-A heeft als status: 'verblijfsobject in gebruik'. Het pand waarin dit adres ligt heeft als status: 'pand in gebruik'.
Hertenkamp 1-A is een adres gelegen in de gemeente Assen, provincie Drenthe. Dit adres is geregistreerd in de Basisregistratie Adressen en Gebouwen (BAG) met als unieke identificatie 0106010000015644.
Het pand op Hertenkamp 1-A is gebouwd in 1970, wat betekent dat het 56 jaar oud is. Dit is een ouder pand. Het pand heeft mogelijk aanzienlijke renovaties nodig om aan de huidige standaarden te voldoen.
De woning op Hertenkamp 1-A heeft een gebruiksoppervlakte van 4 m². Dit is relatief klein vergeleken met de gemiddelde Nederlandse woning, die een oppervlakte heeft van ongeveer 119 m². De gebruiksoppervlakte is de maat die wordt gebruikt in de BAG-registratie, de landelijke registratie van de Nederlandse overheid.
Hertenkamp 1-A heeft als functie: overige doeleinden. Deze gebruiksfunctie(s) zijn vastgelegd in de BAG-registratie en geven aan waarvoor het adres officieel mag worden gebruikt.
Hertenkamp 1-A is gelegen op kadastraal perceel ASN00I13562. Deze kadastrale aanduiding is uniek en wordt gebruikt door het Kadaster om eigendomsrechten en andere zakelijke rechten vast te leggen. Het perceel maakt onderdeel uit van de kadastrale gemeente Assen.
Het perceel waarop Hertenkamp 1-A staat heeft een oppervlakte van 440 m². Dit is een groot perceel. De perceeloppervlakte wordt geregistreerd door het Kadaster. Gedetailleerde informatie over de maten van dit perceel kunt u vinden in het rapport Kadastrale kaart met maatvoering van Hertenkamp 1-A.
De eigenaar van Hertenkamp 1-A is op te vragen op deze pagina.
De informatie over dit adres is afkomstig uit officiële overheidsregistraties, voornamelijk de Basisregistratie Adressen en Gebouwen (BAG) en de Basisregistratie Kadaster (BRK). Deze gegevens worden beheerd door respectievelijk gemeenten en het Kadaster, en worden regelmatig bijgewerkt. Energielabelgegevens komen uit de database van de Rijksdienst voor Ondernemend Nederland (RVO).
