
Het adres Elfenbank 101 bevindt zich in de plaats Asten, in de gemeente Asten en de provincie Noord-Brabant. De oppervlakte van het object bedraagt 53 m². Dat is klein vergeleken met het Nederlandse gemiddelde. Het perceel waarop het adres ligt is 619 m² groot. Het object is klein ten opzichte van de andere adressen in de straat. Het grootste verblijfsobject is 164 m² groot en het kleinste is 15 m². Het pand waarin Elfenbank 101 ligt is gebouwd in het jaar 1985. Panden die gebouwd zijn na het jaar 1984 noemen we hier relatief nieuw. In de straat komt het nieuwste gebouw uit het jaar 1988 en het oudste uit 1983. Het bouwjaar van dit object is relatief oud. Voor het verblijfsobject gelden deze gebruiksdoelen: 'woonfunctie'.
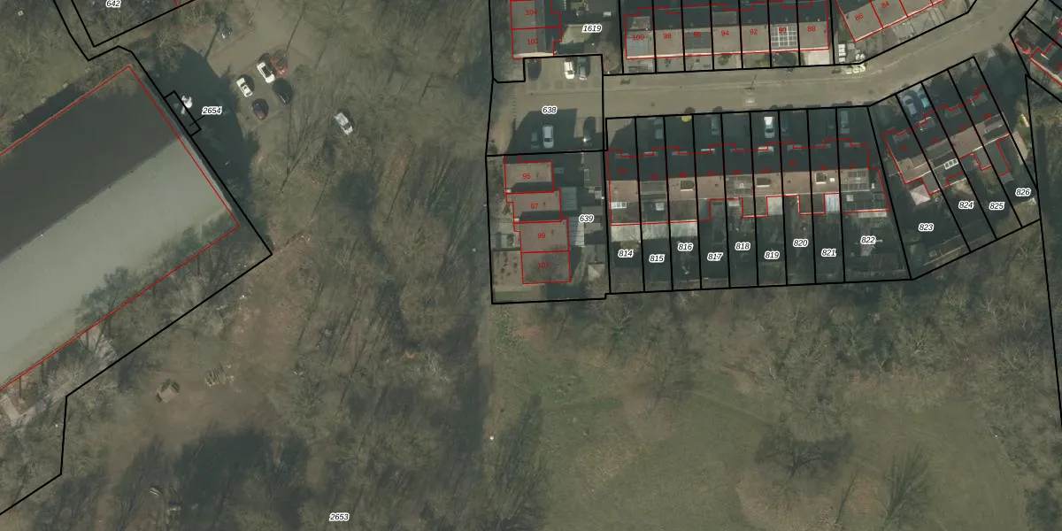
Het perceel waarop het adres ligt is ATN01-N-639. De afkorting 'ATN01' staat voor kadastrale gemeente Asten. De gemiddelde perceelgrootte in Asten is 6609,77 m². Dit perceel is kleiner: de perceeloppervlakte bedraagt 619 m². Het kleinste perceel in de kadastrale gemeente is 0 m² groot. De grootste perceeloppervlakte is 3,95 km². Op het perceel zijn 4 adressen aanwezig. In de Basisregistratie Kadaster (BRK) werden de grenzen van het perceel geregistreerd op 21-02-2008.
Het adres ligt in een gebouw van het type 'rijwoning hoek'. Bij de laatste meting is voor het adres het energielabel C geregistreerd. Het hoogste energielabel in de straat is A+++; het laagste is G. Het gemiddelde energielabel is er C. Het adres Elfenbank 101 heeft als status: 'verblijfsobject in gebruik'. Het pand waarin dit adres ligt heeft als status: 'pand in gebruik'.
Elfenbank 101 is een adres gelegen in de gemeente Asten, provincie Noord-Brabant. Dit adres is geregistreerd in de Basisregistratie Adressen en Gebouwen (BAG) met als unieke identificatie 0743010000001685.
Het pand op Elfenbank 101 is gebouwd in 1985, wat betekent dat het 41 jaar oud is. Dit is een pand van middelbare leeftijd. Het pand is van gemiddelde leeftijd en zal waarschijnlijk verouderde elementen bevatten.
De woning op Elfenbank 101 heeft een gebruiksoppervlakte van 53 m². Dit is relatief klein vergeleken met de gemiddelde Nederlandse woning, die een oppervlakte heeft van ongeveer 119 m². De gebruiksoppervlakte is de maat die wordt gebruikt in de BAG-registratie, de landelijke registratie van de Nederlandse overheid.
Elfenbank 101 heeft als functie: wonen. Deze gebruiksfunctie(s) zijn vastgelegd in de BAG-registratie en geven aan waarvoor het adres officieel mag worden gebruikt.
Elfenbank 101 is gelegen op kadastraal perceel ATN01N639. Deze kadastrale aanduiding is uniek en wordt gebruikt door het Kadaster om eigendomsrechten en andere zakelijke rechten vast te leggen. Het perceel maakt onderdeel uit van de kadastrale gemeente Asten.
Het perceel waarop Elfenbank 101 staat heeft een oppervlakte van 619 m². Dit is een groot perceel. De perceeloppervlakte wordt geregistreerd door het Kadaster. Gedetailleerde informatie over de maten van dit perceel kunt u vinden in het rapport Kadastrale kaart met maatvoering van Elfenbank 101.
De eigenaar van Elfenbank 101 is op te vragen op deze pagina.
De informatie over dit adres is afkomstig uit officiële overheidsregistraties, voornamelijk de Basisregistratie Adressen en Gebouwen (BAG) en de Basisregistratie Kadaster (BRK). Deze gegevens worden beheerd door respectievelijk gemeenten en het Kadaster, en worden regelmatig bijgewerkt. Energielabelgegevens komen uit de database van de Rijksdienst voor Ondernemend Nederland (RVO).
