
Floralaan 20 is een adres in Asten, dat zich bevindt binnen de gemeentegrenzen van Asten en de grenzen van de provincie Noord-Brabant. De oppervlakte bedraagt 756 m², waarmee het adres groter dan gemiddeld is. De grootte van het perceel waarop het adres ligt is 2,2 ha. In de straat is dit het adres met de grootste oppervlakte. De objecten in de straat zijn gemiddeld 143 m² groot. Het kleinste verblijfsobject heeft een oppervlakte van 66 m². Floralaan 20 ligt in een gebouw uit het jaar 1989. Daarmee behoort het tot de groep panden van na 1984, die we als relatief nieuw bestempelen. In de straat komt het nieuwste gebouw uit het jaar 2006 en het oudste uit 1974. Het bouwjaar van dit object is relatief oud. Voor het verblijfsobject gelden deze gebruiksdoelen: 'kantoorfunctie'.
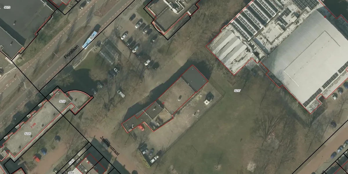
Het perceel waarop het adres ligt is ATN01-C-5237. De afkorting 'ATN01' staat voor kadastrale gemeente Asten. Het perceel is met 2,2 ha relatief groot. Het gemiddelde ligt in de kadastrale gemeente Asten op 6613,45 m². Het grootste perceel in de kadastrale gemeente is 3,95 km². Het kleinste perceel heeft een oppervlakte van 0 m². Op het perceel zijn 3 adressen aanwezig. De huidige grenzen van het perceel zijn digitaal in de Basisregistratie Kadaster (BRK) geregistreerd op 24-03-2011.
Er is geen energielabel geregistreerd voor het adres. Het hoogste energielabel in de straat is A++; het laagste is G. Het gemiddelde energielabel is er A. Het adres Floralaan 20 heeft als status: 'verblijfsobject in gebruik'. Het pand waarin dit adres ligt heeft als status: 'pand in gebruik'.
Floralaan 20 is een adres gelegen in de gemeente Asten, provincie Noord-Brabant. Dit adres is geregistreerd in de Basisregistratie Adressen en Gebouwen (BAG) met als unieke identificatie 0743010000001838.
Het pand op Floralaan 20 is gebouwd in 1989, wat betekent dat het 37 jaar oud is. Dit is een pand van middelbare leeftijd. Het pand is van gemiddelde leeftijd en zal waarschijnlijk verouderde elementen bevatten.
De woning op Floralaan 20 heeft een gebruiksoppervlakte van 756 m². Dit is ruim vergeleken met de gemiddelde Nederlandse woning, die een oppervlakte heeft van ongeveer 119 m². De gebruiksoppervlakte is de maat die wordt gebruikt in de BAG-registratie, de landelijke registratie van de Nederlandse overheid.
Floralaan 20 heeft als functie: kantoor. Deze gebruiksfunctie(s) zijn vastgelegd in de BAG-registratie en geven aan waarvoor het adres officieel mag worden gebruikt.
Floralaan 20 is gelegen op kadastraal perceel ATN01C5237. Deze kadastrale aanduiding is uniek en wordt gebruikt door het Kadaster om eigendomsrechten en andere zakelijke rechten vast te leggen. Het perceel maakt onderdeel uit van de kadastrale gemeente Asten.
Het perceel waarop Floralaan 20 staat heeft een oppervlakte van 2,2 ha. Dit is een zeer groot perceel. De perceeloppervlakte wordt geregistreerd door het Kadaster. Gedetailleerde informatie over de maten van dit perceel kunt u vinden in het rapport Kadastrale kaart met maatvoering van Floralaan 20.
De eigenaar van Floralaan 20 is op te vragen op deze pagina.
De informatie over dit adres is afkomstig uit officiële overheidsregistraties, voornamelijk de Basisregistratie Adressen en Gebouwen (BAG) en de Basisregistratie Kadaster (BRK). Deze gegevens worden beheerd door respectievelijk gemeenten en het Kadaster, en worden regelmatig bijgewerkt. Energielabelgegevens komen uit de database van de Rijksdienst voor Ondernemend Nederland (RVO).
