
Wilhelminastraat 35 is een adres in Asten, dat zich bevindt binnen de gemeentegrenzen van Asten en de grenzen van de provincie Noord-Brabant. Het perceel waarop het adres gelegen is heeft een oppervlakte van 69 m². Het verblijfsobject is met 26 m² relatief klein. Dit is het kleinste object van de straat. De gemiddelde oppervlakte van verblijfsobjecten is er 366 m². De grootste oppervlakte in de straat is 5929 m². Het adres Wilhelminastraat 35 ligt in een relatief oud pand uit het jaar 1955. Panden van vóór het jaar 1965 hebben we hier geclassificeerd als oud. Vergeleken met de andere panden in de straat is dit gebouw nieuw. Het vroegste bouwjaar is er 1840 en het laatste is 2024. De volgende gebruiksdoelen zijn geregistreerd voor dit adres: 'overige gebruiksfunctie'.
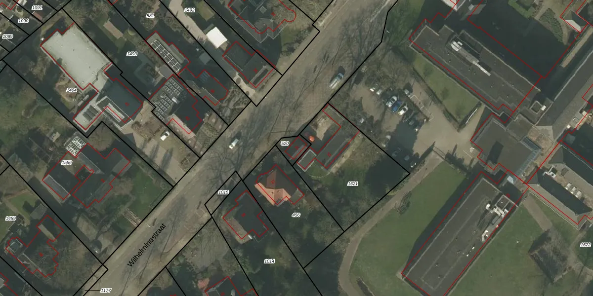
Het adres is gelegen op perceel 520 in de sectie K en de kadastrale gemeente Asten. De kadastrale aanduiding is aldus ATN01-K-520. Het perceel is 69 m² groot. Dat is kleiner dan de gemiddelde perceeloppervlakte in Asten, dat op 6609,77 m² ligt. De grootste perceeloppervlakte in de kadastrale gemeente is 3,95 km². De kleinste oppervlakte bedraagt 0 m². Dit is het enige adres dat aanwezig is op het perceel. De huidige grenzen van het perceel zijn digitaal in de Basisregistratie Kadaster (BRK) geregistreerd op 17-01-2008.
Er is geen energielabel geregistreerd voor het adres. Het hoogste energielabel in de straat is A++++; het laagste is G. Het gemiddelde energielabel is er C. Het adres Wilhelminastraat 35 heeft als status: 'verblijfsobject in gebruik'. Het pand waarin dit adres ligt heeft als status: 'pand in gebruik'.
Wilhelminastraat 35 is een adres gelegen in de gemeente Asten, provincie Noord-Brabant. Dit adres is geregistreerd in de Basisregistratie Adressen en Gebouwen (BAG) met als unieke identificatie 0743010000014603.
Het pand op Wilhelminastraat 35 is gebouwd in 1955, wat betekent dat het 71 jaar oud is. Dit is een ouder pand. Het pand heeft mogelijk aanzienlijke renovaties nodig om aan de huidige standaarden te voldoen.
De woning op Wilhelminastraat 35 heeft een gebruiksoppervlakte van 26 m². Dit is relatief klein vergeleken met de gemiddelde Nederlandse woning, die een oppervlakte heeft van ongeveer 119 m². De gebruiksoppervlakte is de maat die wordt gebruikt in de BAG-registratie, de landelijke registratie van de Nederlandse overheid.
Wilhelminastraat 35 heeft als functie: overige doeleinden. Deze gebruiksfunctie(s) zijn vastgelegd in de BAG-registratie en geven aan waarvoor het adres officieel mag worden gebruikt.
Wilhelminastraat 35 is gelegen op kadastraal perceel ATN01K520. Deze kadastrale aanduiding is uniek en wordt gebruikt door het Kadaster om eigendomsrechten en andere zakelijke rechten vast te leggen. Het perceel maakt onderdeel uit van de kadastrale gemeente Asten.
Het perceel waarop Wilhelminastraat 35 staat heeft een oppervlakte van 69 m². Dit is een klein perceel. De perceeloppervlakte wordt geregistreerd door het Kadaster. Gedetailleerde informatie over de maten van dit perceel kunt u vinden in het rapport Kadastrale kaart met maatvoering van Wilhelminastraat 35.
De eigenaar van Wilhelminastraat 35 is op te vragen op deze pagina.
De informatie over dit adres is afkomstig uit officiële overheidsregistraties, voornamelijk de Basisregistratie Adressen en Gebouwen (BAG) en de Basisregistratie Kadaster (BRK). Deze gegevens worden beheerd door respectievelijk gemeenten en het Kadaster, en worden regelmatig bijgewerkt. Energielabelgegevens komen uit de database van de Rijksdienst voor Ondernemend Nederland (RVO).
