Product Functies Prijzen Meer

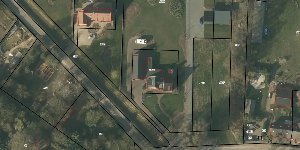
Adressen

Gebruik de zoekbalk of klik op een perceel voor informatie over de adressen binnen dit perceel.
Locatie
Meten
Lagen
Download

Pratwinkel 4

5991NP, Baarlo

€ 1519312 Wat moet ik bieden voor deze woning?
394 m²
woonfunctie
1.010 m² perceeloppervlakte
?

Pratwinkel 4 is gelegen in de plaats Baarlo, de gemeente Peel en Maas en de provincie Limburg. De oppervlakte van het verblijfsobject is met 394 m² aan de grote kant. Het perceel heeft een oppervlakte van 1010 m². De oppervlakte van dit adres is groot vergeleken met de oppervlaktes van andere adressen in de straat. De kleinste oppervlakte bedraagt er 62 m², de grootste 1664 m². Het pand waarin Pratwinkel 4 ligt is gebouwd in het jaar 2023. Panden die gebouwd zijn na het jaar 1984 noemen we hier relatief nieuw. Dit object is relatief nieuw in de straat. Het nieuwste gebouw komt er uit het jaar 2025 en het oudste uit het jaar 1910. De volgende gebruiksdoelen zijn geregistreerd voor dit adres: 'woonfunctie'.

Perceel

Het adres ligt op het perceel MBE00-M-1393, dat zich in de kadastrale gemeente Maasbree bevindt. Het perceel is 1010 m² groot. Dat is kleiner dan de gemiddelde perceeloppervlakte in Maasbree, dat op 4464,95 m² ligt. Het kleinste perceel in de kadastrale gemeente is 0 m² groot. De grootste perceeloppervlakte is 26,2 ha. Op het perceel bevinden zich geen andere adressen. De laatste wijziging in het de Basisregistratie Kadaster (BRK) was op 14-01-2022.

Energielabel en status

Er is geen energielabel geregistreerd voor het adres. Het hoogste energielabel in de straat is E; het laagste is G. Het gemiddelde energielabel is er E. Het adres Pratwinkel 4 heeft als status: 'verblijfsobject in gebruik'. Het pand waarin dit adres ligt heeft als status: 'pand in gebruik'.

Meer lezen

Adres

Gebruiksoppervlakte
394 m²
Bruto vloeroppervlakte
9MkNfm c0F jUpgrade naar KadastraleKaart Pro
Gebruiksdoel(en)
Woonfunctie
Status
Verblijfsobject in gebruik
Type
Onbekend
Gasloos
ktqoHwuJ0vyU fJ9z6hF7Upgrade naar KadastraleKaart Pro
Gebeurtenissen
Appartementsrechten
tap 2Jft1fgA7PUpgrade naar KadastraleKaart Pro
Eigenaar
Eigendomsinformatie 12,95
Adresinformatie bestellen
Adrespakket 34,95
VBO ID
1894012000006785

Pand

Bouwjaar pand
2023
Aantal adressen in dit gebouw
1 adres
Hoogte pand
EsESdFfbocjf5Upgrade naar KadastraleKaart Pro
Aantal bouwlagen (schatting)
h 0XpLh3KS4XQLwUpgrade naar KadastraleKaart Pro
Volume
6eX7OzYhhbD66BIqftLTUpgrade naar KadastraleKaart Pro
Oppervlakte dak
t0CANFW2aazUpgrade naar KadastraleKaart Pro
Oppervlakte buitenmuur
49glaoYWN0y2Cj2FUpgrade naar KadastraleKaart Pro
Status pand
Pand in gebruik
Pand ID
1894102000006783

Perceel

Kadastrale aanduiding
Maasbree M 1393 (MBE00 M 1393)
Oppervlakte
1.010 m²
Maatvoering
Kadastrale kaart met maatvoering 59,95
Omtrek
186 meter
Datum laatst gewijzigd
14/01/2022
Aantal adressen op perceel
1
Hoogte boven N.A.P.
uwvC dXMWF D u8pAkiiOUpgrade naar KadastraleKaart Pro

Veelgestelde vragen

Pratwinkel 4 is een adres gelegen in de gemeente Peel en Maas, provincie Limburg. Dit adres is geregistreerd in de Basisregistratie Adressen en Gebouwen (BAG) met als unieke identificatie 1894012000006785.

Het pand op Pratwinkel 4 is gebouwd in 2023, wat betekent dat het 3 jaar oud is. Dit is een vrij nieuw pand. Het pand is dus waarschijnlijk goed geïsoleerd, geluidsdicht en voldoet aan de huidige bouwstandaarden. Op korte termijn zijn er waarschijnlijk weinig onderhoudskosten.

De woning op Pratwinkel 4 heeft een gebruiksoppervlakte van 394 m². Dit is ruim vergeleken met de gemiddelde Nederlandse woning, die een oppervlakte heeft van ongeveer 119 m². De gebruiksoppervlakte is de maat die wordt gebruikt in de BAG-registratie, de landelijke registratie van de Nederlandse overheid.

Pratwinkel 4 heeft als functie: wonen. Deze gebruiksfunctie(s) zijn vastgelegd in de BAG-registratie en geven aan waarvoor het adres officieel mag worden gebruikt.

Pratwinkel 4 is gelegen op kadastraal perceel MBE00M1393. Deze kadastrale aanduiding is uniek en wordt gebruikt door het Kadaster om eigendomsrechten en andere zakelijke rechten vast te leggen. Het perceel maakt onderdeel uit van de kadastrale gemeente Maasbree.

Het perceel waarop Pratwinkel 4 staat heeft een oppervlakte van 1010 m². Dit is een zeer groot perceel. De perceeloppervlakte wordt geregistreerd door het Kadaster. Gedetailleerde informatie over de maten van dit perceel kunt u vinden in het rapport Kadastrale kaart met maatvoering van Pratwinkel 4.

De eigenaar van Pratwinkel 4 is op te vragen op deze pagina.

De informatie over dit adres is afkomstig uit officiële overheidsregistraties, voornamelijk de Basisregistratie Adressen en Gebouwen (BAG) en de Basisregistratie Kadaster (BRK). Deze gegevens worden beheerd door respectievelijk gemeenten en het Kadaster, en worden regelmatig bijgewerkt. Energielabelgegevens komen uit de database van de Rijksdienst voor Ondernemend Nederland (RVO).

Maatvoeringsrapport

Wie is de eigenaar?

Bekijk de eigenaar van Pratwinkel 4 met de eigendomsinformatie.
Bekijk de eigenaar van dit adres.
Maatvoeringsrapport

Maatvoering van het perceel

Bestel de maatvoering voor Pratwinkel 4 met het maatvoeringsrapport.
Bestel de maatvoering voor dit adres.

360°-foto's van de omgeving

Google Street View
Upgrade nu voor 360° Street View foto's

Zon en schaduw rondom adres

Buurt
Buitengebied Schafelt-Hei-Berckt
Inwoners: 345
Woningen: 97
Wijk
Baarlo
Inwoners: 6.435
Woningen: 2.814
Gemeente
Peel en Maas
Inwoners: 45.534
Woningen: 18.752