
Beekseweg 33 is gelegen in de plaats Babberich, de gemeente Zevenaar en de provincie Gelderland. De oppervlakte van het verblijfsobject is met 180 m² aan de grote kant. Het perceel heeft een oppervlakte van 1905 m². Het adres is klein vergeleken met andere objecten in de straat. Het grootste object in de straat heeft een oppervlakte van 1050 m², het kleinste is 15 m² groot. Het adres Beekseweg 33 ligt in een relatief oud pand uit het jaar 1898. Panden van vóór het jaar 1965 hebben we hier geclassificeerd als oud. Het nieuwste gebouw in de straat komt uit 2020 en het oudste uit 1750. Dit object is relatief oud. Het verblijfsobject heeft de volgende gebruiksdoelen: 'woonfunctie'.
Deze woning is voor het laatst verkocht op 1 september 2017. Meer informatie over deze transactie? Bestel het Woningtransactierapport om de verkoopprijs en andere informatie te zien.
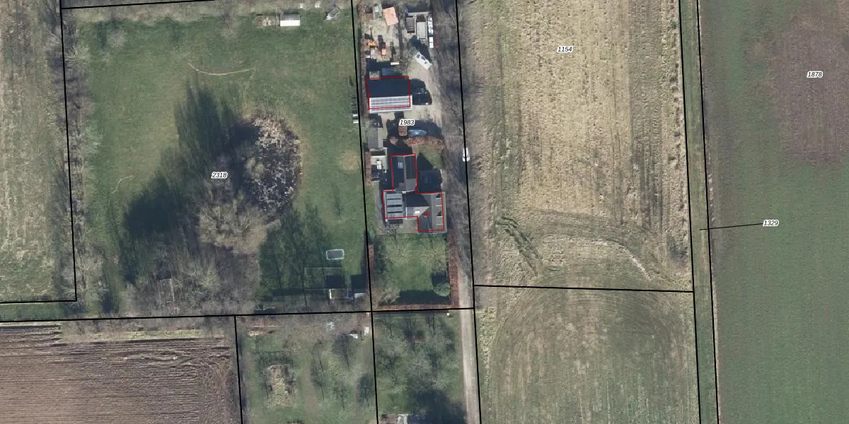
Het adres ligt op het perceel ZVN02-D-1983, dat zich in de kadastrale gemeente Oud-Zevenaar bevindt. De gemiddelde perceeloppervlakte in de kadastrale gemeente Oud-Zevenaar is 1871,89 m². Dit perceel is met zijn 1905 m² dus groter dan gemiddeld. De grootste perceeloppervlakte in de kadastrale gemeente is 23,9 ha. De kleinste oppervlakte bedraagt 0 m². Op het perceel bevinden zich geen andere adressen. De laatste wijziging in het de Basisregistratie Kadaster (BRK) was op 28-01-2004.
Het adres ligt in een gebouw van het type 'vrijstaande woning'. Bij de laatste meting is voor het adres het energielabel C geregistreerd. Het hoogste energielabel in de straat is A+; het laagste is G. Het gemiddelde energielabel is er D. Het adres Beekseweg 33 heeft als status: 'verblijfsobject in gebruik'. Het pand waarin dit adres ligt heeft als status: 'pand in gebruik'.
Beekseweg 33 is een adres gelegen in de gemeente Zevenaar, provincie Gelderland. Dit adres is geregistreerd in de Basisregistratie Adressen en Gebouwen (BAG) met als unieke identificatie 0299010000422364.
Het pand op Beekseweg 33 is gebouwd in 1898, wat betekent dat het 128 jaar oud is. Dit is een ouder pand. Het pand heeft mogelijk aanzienlijke renovaties nodig om aan de huidige standaarden te voldoen.
De woning op Beekseweg 33 heeft een gebruiksoppervlakte van 180 m². Dit is ruim vergeleken met de gemiddelde Nederlandse woning, die een oppervlakte heeft van ongeveer 119 m². De gebruiksoppervlakte is de maat die wordt gebruikt in de BAG-registratie, de landelijke registratie van de Nederlandse overheid.
Beekseweg 33 heeft als functie: wonen. Deze gebruiksfunctie(s) zijn vastgelegd in de BAG-registratie en geven aan waarvoor het adres officieel mag worden gebruikt.
Beekseweg 33 is gelegen op kadastraal perceel ZVN02D1983. Deze kadastrale aanduiding is uniek en wordt gebruikt door het Kadaster om eigendomsrechten en andere zakelijke rechten vast te leggen. Het perceel maakt onderdeel uit van de kadastrale gemeente Oud-Zevenaar.
Het perceel waarop Beekseweg 33 staat heeft een oppervlakte van 1905 m². Dit is een zeer groot perceel. De perceeloppervlakte wordt geregistreerd door het Kadaster. Gedetailleerde informatie over de maten van dit perceel kunt u vinden in het rapport Kadastrale kaart met maatvoering van Beekseweg 33.
De eigenaar van Beekseweg 33 is op te vragen op deze pagina.
De informatie over dit adres is afkomstig uit officiële overheidsregistraties, voornamelijk de Basisregistratie Adressen en Gebouwen (BAG) en de Basisregistratie Kadaster (BRK). Deze gegevens worden beheerd door respectievelijk gemeenten en het Kadaster, en worden regelmatig bijgewerkt. Energielabelgegevens komen uit de database van de Rijksdienst voor Ondernemend Nederland (RVO).
