
Het adres Beekseweg 42 bevindt zich in de plaats Babberich, in de gemeente Babberich en de provincie Gelderland. Het object heeft een oppervlakte van 154 m², wat relatief groot is. Het perceel waarop het adres ligt is 5425 m² groot. Het adres is klein vergeleken met andere objecten in de straat. Het grootste object in de straat heeft een oppervlakte van 1050 m², het kleinste is 15 m² groot. Het adres Beekseweg 42 ligt in een relatief oud pand uit het jaar 1914. Panden van vóór het jaar 1965 hebben we hier geclassificeerd als oud. Het bouwjaar is oud vergeleken met dat van de andere panden in de straat. Het oudste bouwjaar is er 1750 en de nieuwste is 2020. Het verblijfsobject heeft de volgende gebruiksdoelen: 'woonfunctie'.
Deze woning is voor het laatst verkocht op 1 juli 1996. Meer informatie over deze transactie? Bestel het Woningtransactierapport om de verkoopprijs en andere informatie te zien.
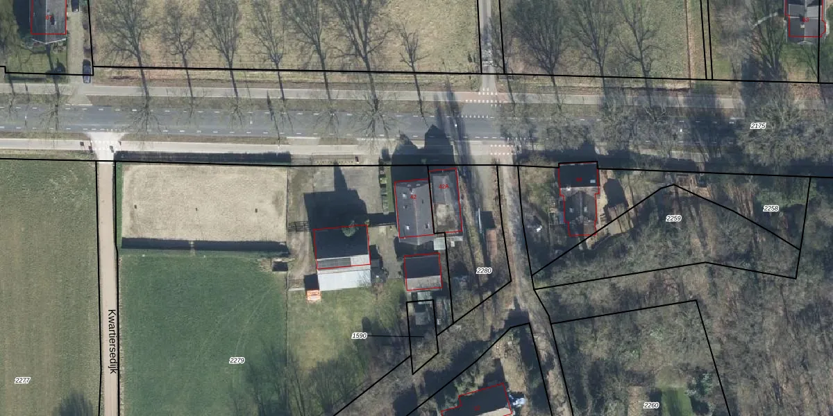
Het adres ligt op het perceel ZVN02-D-2279, dat zich in de kadastrale gemeente Oud-Zevenaar bevindt. De gemiddelde perceeloppervlakte in de kadastrale gemeente Oud-Zevenaar is 1871,89 m². Dit perceel is met zijn 5425 m² dus groter dan gemiddeld. De grootste perceeloppervlakte in de kadastrale gemeente is 23,9 ha. De kleinste oppervlakte bedraagt 0 m². Dit is het enige adres dat aanwezig is op het perceel. In de Basisregistratie Kadaster (BRK) werden de grenzen van het perceel geregistreerd op 28-06-2002.
Er is geen energielabel geregistreerd voor het adres. Het hoogste energielabel in de straat is A+; het laagste is G. Het gemiddelde energielabel is er D. Het adres Beekseweg 42 heeft als status: 'verblijfsobject in gebruik'. Het pand waarin dit adres ligt heeft als status: 'pand in gebruik'.
Beekseweg 42 is een adres gelegen in de gemeente Zevenaar, provincie Gelderland. Dit adres is geregistreerd in de Basisregistratie Adressen en Gebouwen (BAG) met als unieke identificatie 0299010000422380.
Het pand op Beekseweg 42 is gebouwd in 1914, wat betekent dat het 112 jaar oud is. Dit is een ouder pand. Het pand heeft mogelijk aanzienlijke renovaties nodig om aan de huidige standaarden te voldoen.
De woning op Beekseweg 42 heeft een gebruiksoppervlakte van 154 m². Dit is ruim vergeleken met de gemiddelde Nederlandse woning, die een oppervlakte heeft van ongeveer 119 m². De gebruiksoppervlakte is de maat die wordt gebruikt in de BAG-registratie, de landelijke registratie van de Nederlandse overheid.
Beekseweg 42 heeft als functie: wonen. Deze gebruiksfunctie(s) zijn vastgelegd in de BAG-registratie en geven aan waarvoor het adres officieel mag worden gebruikt.
Beekseweg 42 is gelegen op kadastraal perceel ZVN02D2279. Deze kadastrale aanduiding is uniek en wordt gebruikt door het Kadaster om eigendomsrechten en andere zakelijke rechten vast te leggen. Het perceel maakt onderdeel uit van de kadastrale gemeente Oud-Zevenaar.
Het perceel waarop Beekseweg 42 staat heeft een oppervlakte van 5425 m². Dit is een zeer groot perceel. De perceeloppervlakte wordt geregistreerd door het Kadaster. Gedetailleerde informatie over de maten van dit perceel kunt u vinden in het rapport Kadastrale kaart met maatvoering van Beekseweg 42.
De eigenaar van Beekseweg 42 is op te vragen op deze pagina.
De informatie over dit adres is afkomstig uit officiële overheidsregistraties, voornamelijk de Basisregistratie Adressen en Gebouwen (BAG) en de Basisregistratie Kadaster (BRK). Deze gegevens worden beheerd door respectievelijk gemeenten en het Kadaster, en worden regelmatig bijgewerkt. Energielabelgegevens komen uit de database van de Rijksdienst voor Ondernemend Nederland (RVO).
