
Kapittelstraat 3-a is een adres in Baexem, dat zich bevindt binnen de gemeentegrenzen van Baexem en de grenzen van de provincie Limburg. De oppervlakte van het adres is 125 m². Dat is vergelijkbaar met het gemiddelde Nederlandse oppervlakte van 119 m². De oppervlakte van het perceel waarin het adres ligt is 8,0 ha. De oppervlakte van het adres is klein vergeleken met de andere objecten in de straat. De oppervlakte van het kleinste object in de straat bedraagt 118 m², terwijl het grootste object 769 m² groot is. In Nederland komt het grootste deel van de gebouwen uit de periode 1965-1984. Ook het bouwjaar van Kapittelstraat 3-a is afkomstig uit die periode: het betreft namelijk een pand uit 1980. Het nieuwste gebouw in de straat komt uit 2020 en het oudste uit 1970. Dit object is relatief oud. Het verblijfsobject heeft de volgende gebruiksdoelen: 'bijeenkomstfunctie'.
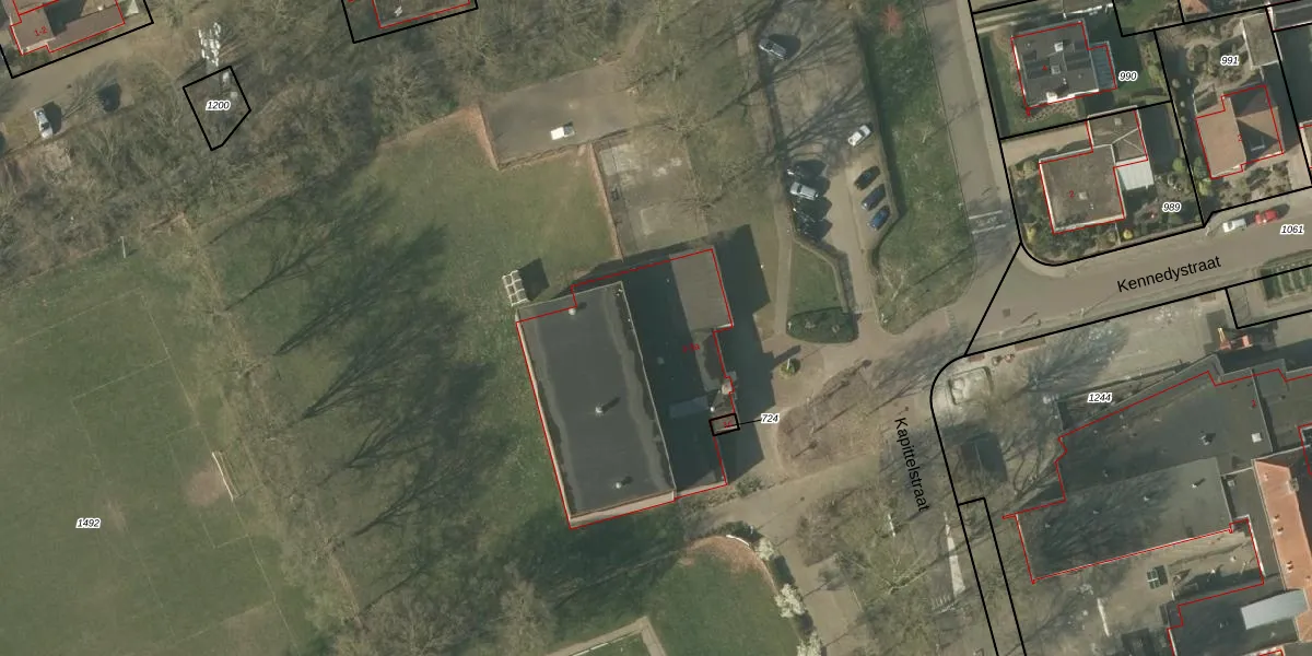
Het adres is gelegen op perceel 1492 in de sectie E en de kadastrale gemeente Baexem. De kadastrale aanduiding is aldus BXM00-E-1492. De gemiddelde perceeloppervlakte in de kadastrale gemeente Baexem is 2969,98 m². Dit perceel is met zijn 8,0 ha dus groter dan gemiddeld. Het grootste perceel in de kadastrale gemeente is 13,9 ha. Het kleinste perceel heeft een oppervlakte van 2 m². Op het perceel liggen in totaal 2 adressen. De huidige grenzen van het perceel zijn digitaal in de Basisregistratie Kadaster (BRK) geregistreerd op 19-01-2026.
Bij de laatste meting is voor het adres het energielabel B geregistreerd. Het hoogste energielabel in de straat is A; het laagste is G. Het gemiddelde energielabel is er B. Het adres Kapittelstraat 3-a heeft als status: 'verblijfsobject in gebruik'. Het pand waarin dit adres ligt heeft als status: 'pand in gebruik'.
Kapittelstraat 3-a is een adres gelegen in de gemeente Leudal, provincie Limburg. Dit adres is geregistreerd in de Basisregistratie Adressen en Gebouwen (BAG) met als unieke identificatie 1640010000003045.
Het pand op Kapittelstraat 3-a is gebouwd in 1980, wat betekent dat het 46 jaar oud is. Dit is een pand van middelbare leeftijd. Het pand is van gemiddelde leeftijd en zal waarschijnlijk verouderde elementen bevatten.
De woning op Kapittelstraat 3-a heeft een gebruiksoppervlakte van 125 m². Dit is gemiddeld vergeleken met de gemiddelde Nederlandse woning, die een oppervlakte heeft van ongeveer 119 m². De gebruiksoppervlakte is de maat die wordt gebruikt in de BAG-registratie, de landelijke registratie van de Nederlandse overheid.
Kapittelstraat 3-a heeft als functie: bijeenkomsten. Deze gebruiksfunctie(s) zijn vastgelegd in de BAG-registratie en geven aan waarvoor het adres officieel mag worden gebruikt.
Kapittelstraat 3-a is gelegen op kadastraal perceel BXM00E1492. Deze kadastrale aanduiding is uniek en wordt gebruikt door het Kadaster om eigendomsrechten en andere zakelijke rechten vast te leggen. Het perceel maakt onderdeel uit van de kadastrale gemeente Baexem.
Het perceel waarop Kapittelstraat 3-a staat heeft een oppervlakte van 8,0 ha. Dit is een zeer groot perceel. De perceeloppervlakte wordt geregistreerd door het Kadaster. Gedetailleerde informatie over de maten van dit perceel kunt u vinden in het rapport Kadastrale kaart met maatvoering van Kapittelstraat 3-a.
De eigenaar van Kapittelstraat 3-a is op te vragen op deze pagina.
De informatie over dit adres is afkomstig uit officiële overheidsregistraties, voornamelijk de Basisregistratie Adressen en Gebouwen (BAG) en de Basisregistratie Kadaster (BRK). Deze gegevens worden beheerd door respectievelijk gemeenten en het Kadaster, en worden regelmatig bijgewerkt. Energielabelgegevens komen uit de database van de Rijksdienst voor Ondernemend Nederland (RVO).
