
Het adres Oud Avereest 20 bevindt zich in de plaats Balkbrug, in de gemeente Balkbrug en de provincie Overijssel. De oppervlakte van het verblijfsobject is met 399 m² aan de grote kant. Het perceel heeft een oppervlakte van 4121 m². Vergeleken met de andere verblijfsobjecten in de straat is dit object groot. De oppervlakte van het grootste object in de straat is 1369 m², die van het kleinste bedraagt 15 m². Het adres Oud Avereest 20 ligt in een relatief oud pand uit het jaar 1942. Panden van vóór het jaar 1965 hebben we hier geclassificeerd als oud. Dit object is relatief nieuw in de straat. Het nieuwste gebouw komt er uit het jaar 2019 en het oudste uit het jaar 1835. Het verblijfsobject heeft de volgende gebruiksdoelen: 'woonfunctie'.
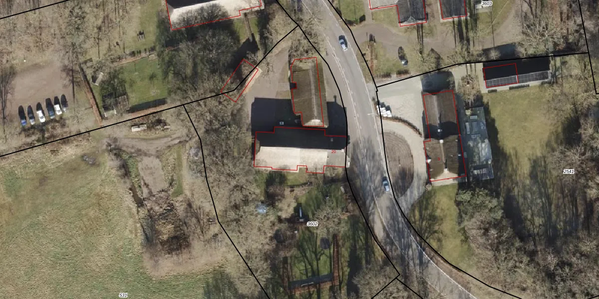
Het adres is gelegen op perceel 3602 in de sectie F en de kadastrale gemeente Avereest. De kadastrale aanduiding is aldus AVE00-F-3602. Het perceel is kleiner dan gemiddeld in Avereest. Het perceel is 4121 m² groot, terwijl het gemiddelde ligt op 6068,73 m². De grootste perceeloppervlakte in de kadastrale gemeente is 38,8 ha. De kleinste oppervlakte bedraagt 0 m². Op het perceel bevinden zich geen andere adressen. In de Basisregistratie Kadaster (BRK) werden de grenzen van het perceel geregistreerd op 07-05-2001.
Er is geen energielabel geregistreerd voor het adres. Het hoogste energielabel in de straat is A+; het laagste is G. Het gemiddelde energielabel is er D. Het adres Oud Avereest 20 heeft als status: 'verblijfsobject in gebruik'. Het pand waarin dit adres ligt heeft als status: 'pand in gebruik'.
Oud Avereest 20 is een adres gelegen in de gemeente Hardenberg, provincie Overijssel. Dit adres is geregistreerd in de Basisregistratie Adressen en Gebouwen (BAG) met als unieke identificatie 0160010000001908.
Het pand op Oud Avereest 20 is gebouwd in 1942, wat betekent dat het 84 jaar oud is. Dit is een ouder pand. Het pand heeft mogelijk aanzienlijke renovaties nodig om aan de huidige standaarden te voldoen.
De woning op Oud Avereest 20 heeft een gebruiksoppervlakte van 399 m². Dit is ruim vergeleken met de gemiddelde Nederlandse woning, die een oppervlakte heeft van ongeveer 119 m². De gebruiksoppervlakte is de maat die wordt gebruikt in de BAG-registratie, de landelijke registratie van de Nederlandse overheid.
Oud Avereest 20 heeft als functie: wonen. Deze gebruiksfunctie(s) zijn vastgelegd in de BAG-registratie en geven aan waarvoor het adres officieel mag worden gebruikt.
Oud Avereest 20 is gelegen op kadastraal perceel AVE00F3602. Deze kadastrale aanduiding is uniek en wordt gebruikt door het Kadaster om eigendomsrechten en andere zakelijke rechten vast te leggen. Het perceel maakt onderdeel uit van de kadastrale gemeente Avereest.
Het perceel waarop Oud Avereest 20 staat heeft een oppervlakte van 4121 m². Dit is een zeer groot perceel. De perceeloppervlakte wordt geregistreerd door het Kadaster. Gedetailleerde informatie over de maten van dit perceel kunt u vinden in het rapport Kadastrale kaart met maatvoering van Oud Avereest 20.
De eigenaar van Oud Avereest 20 is op te vragen op deze pagina.
De informatie over dit adres is afkomstig uit officiële overheidsregistraties, voornamelijk de Basisregistratie Adressen en Gebouwen (BAG) en de Basisregistratie Kadaster (BRK). Deze gegevens worden beheerd door respectievelijk gemeenten en het Kadaster, en worden regelmatig bijgewerkt. Energielabelgegevens komen uit de database van de Rijksdienst voor Ondernemend Nederland (RVO).
