
Zwolseweg 217-a-i is een adres in Balkbrug, dat zich bevindt binnen de gemeentegrenzen van Balkbrug en de grenzen van de provincie Overijssel. Het perceel waarop het adres gelegen is heeft een oppervlakte van 3393 m². Het verblijfsobject is met 38 m² relatief klein. Het object is klein ten opzichte van de andere adressen in de straat. Het grootste verblijfsobject is 2598 m² groot en het kleinste is 10 m². Het pand waarin Zwolseweg 217-a-i ligt is gebouwd in het jaar 2006. Panden die gebouwd zijn na het jaar 1984 noemen we hier relatief nieuw. Vergeleken met de andere panden in de straat is dit gebouw nieuw. Het vroegste bouwjaar is er 1850 en het laatste is 2025. Het verblijfsobject heeft de volgende gebruiksdoelen: 'woonfunctie'.
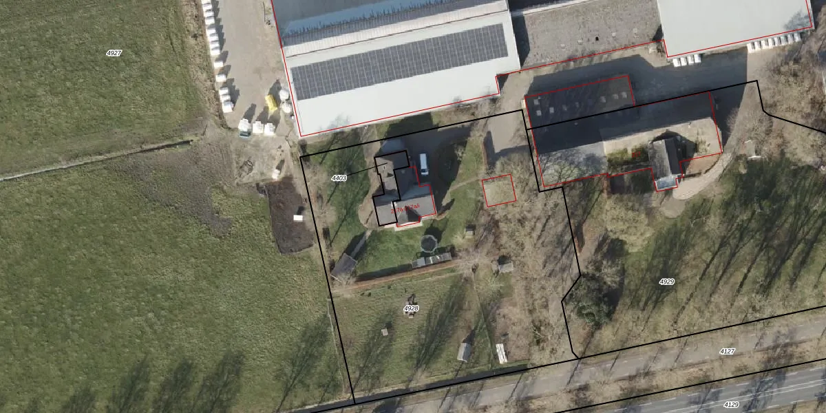
Het perceel waarop het adres ligt is AVE00-G-4928. De afkorting 'AVE00' staat voor kadastrale gemeente Avereest. Het perceel is kleiner dan gemiddeld in Avereest. Het perceel is 3393 m² groot, terwijl het gemiddelde ligt op 6067,24 m². Het kleinste perceel in de kadastrale gemeente is 0 m² groot. De grootste perceeloppervlakte is 38,8 ha. Dit is het enige adres dat aanwezig is op het perceel. De huidige grenzen van het perceel zijn digitaal in de Basisregistratie Kadaster (BRK) geregistreerd op 08-11-2024.
Er is geen energielabel geregistreerd voor het adres. Het hoogste energielabel in de straat is A++; het laagste is G. Het gemiddelde energielabel is er D. Het adres Zwolseweg 217-a-i heeft als status: 'verblijfsobject in gebruik'. Het pand waarin dit adres ligt heeft als status: 'pand in gebruik'.
Zwolseweg 217-a-i is een adres gelegen in de gemeente Hardenberg, provincie Overijssel. Dit adres is geregistreerd in de Basisregistratie Adressen en Gebouwen (BAG) met als unieke identificatie 0160010000054075.
Het pand op Zwolseweg 217-a-i is gebouwd in 2006, wat betekent dat het 20 jaar oud is. Dit is een relatief modern pand. Ten opzichte van de nationale woningvoorraad is het pand relatief modern, maar er kunnen enkele verouderde elementen zijn die aandacht nodig hebben.
De woning op Zwolseweg 217-a-i heeft een gebruiksoppervlakte van 38 m². Dit is relatief klein vergeleken met de gemiddelde Nederlandse woning, die een oppervlakte heeft van ongeveer 119 m². De gebruiksoppervlakte is de maat die wordt gebruikt in de BAG-registratie, de landelijke registratie van de Nederlandse overheid.
Zwolseweg 217-a-i heeft als functie: wonen. Deze gebruiksfunctie(s) zijn vastgelegd in de BAG-registratie en geven aan waarvoor het adres officieel mag worden gebruikt.
Zwolseweg 217-a-i is gelegen op kadastraal perceel AVE00G4928. Deze kadastrale aanduiding is uniek en wordt gebruikt door het Kadaster om eigendomsrechten en andere zakelijke rechten vast te leggen. Het perceel maakt onderdeel uit van de kadastrale gemeente Avereest.
Het perceel waarop Zwolseweg 217-a-i staat heeft een oppervlakte van 3393 m². Dit is een zeer groot perceel. De perceeloppervlakte wordt geregistreerd door het Kadaster. Gedetailleerde informatie over de maten van dit perceel kunt u vinden in het rapport Kadastrale kaart met maatvoering van Zwolseweg 217-a-i.
De eigenaar van Zwolseweg 217-a-i is op te vragen op deze pagina.
De informatie over dit adres is afkomstig uit officiële overheidsregistraties, voornamelijk de Basisregistratie Adressen en Gebouwen (BAG) en de Basisregistratie Kadaster (BRK). Deze gegevens worden beheerd door respectievelijk gemeenten en het Kadaster, en worden regelmatig bijgewerkt. Energielabelgegevens komen uit de database van de Rijksdienst voor Ondernemend Nederland (RVO).
