
Wildenborgseweg 4 is gelegen in de plaats Barchem, de gemeente Lochem en de provincie Gelderland. De oppervlakte bedraagt 167 m², waarmee het adres groter dan gemiddeld is. De grootte van het perceel waarop het adres ligt is 617 m². Het adres is klein vergeleken met andere objecten in de straat. Het grootste object in de straat heeft een oppervlakte van 291 m², het kleinste is 3 m² groot. De meeste Nederlandse gebouwen zijn gebouwd in de periode 1965-1984. Zo ook het pand waarin Wildenborgseweg 4 ligt, dat gebouwd is in 1977. In de straat is dit het nieuwste pand en stamt het oudste object uit het jaar 1818. Het gemiddelde bouwjaar in de straat is 1919. Het verblijfsobject heeft de volgende gebruiksdoelen: 'woonfunctie' en 'industriefunctie'.
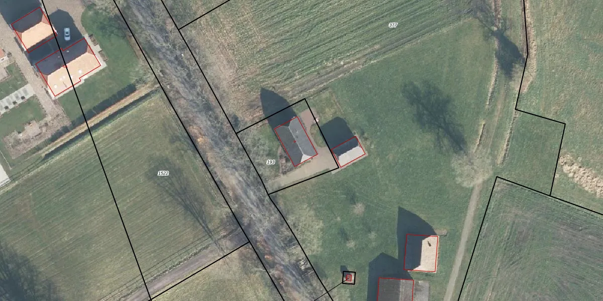
Het adres ligt op het perceel LCM00-H-193, dat zich in de kadastrale gemeente Lochem bevindt. Het perceel is kleiner dan gemiddeld in Lochem. Het perceel is 617 m² groot, terwijl het gemiddelde ligt op 6725,45 m². De grootste perceeloppervlakte in de kadastrale gemeente is 30,4 ha. De kleinste oppervlakte bedraagt 0 m². Er zijn geen andere adressen aanwezig op het perceel. De laatste wijziging in het de Basisregistratie Kadaster (BRK) was op 21-03-2000.
Er is geen energielabel geregistreerd voor het adres. Het hoogste energielabel in de straat is B; het laagste is G. Het gemiddelde energielabel is er B. Het adres Wildenborgseweg 4 heeft als status: 'verblijfsobject in gebruik'. Het pand waarin dit adres ligt heeft als status: 'pand in gebruik'.
Wildenborgseweg 4 is een adres gelegen in de gemeente Lochem, provincie Gelderland. Dit adres is geregistreerd in de Basisregistratie Adressen en Gebouwen (BAG) met als unieke identificatie 0262010000001415.
Het pand op Wildenborgseweg 4 is gebouwd in 1977, wat betekent dat het 49 jaar oud is. Dit is een pand van middelbare leeftijd. Het pand is van gemiddelde leeftijd en zal waarschijnlijk verouderde elementen bevatten.
De woning op Wildenborgseweg 4 heeft een gebruiksoppervlakte van 167 m². Dit is ruim vergeleken met de gemiddelde Nederlandse woning, die een oppervlakte heeft van ongeveer 119 m². De gebruiksoppervlakte is de maat die wordt gebruikt in de BAG-registratie, de landelijke registratie van de Nederlandse overheid.
Wildenborgseweg 4 heeft als functie: wonen en industrie. Deze gebruiksfunctie(s) zijn vastgelegd in de BAG-registratie en geven aan waarvoor het adres officieel mag worden gebruikt.
Wildenborgseweg 4 is gelegen op kadastraal perceel LCM00H193. Deze kadastrale aanduiding is uniek en wordt gebruikt door het Kadaster om eigendomsrechten en andere zakelijke rechten vast te leggen. Het perceel maakt onderdeel uit van de kadastrale gemeente Lochem.
Het perceel waarop Wildenborgseweg 4 staat heeft een oppervlakte van 617 m². Dit is een groot perceel. De perceeloppervlakte wordt geregistreerd door het Kadaster. Gedetailleerde informatie over de maten van dit perceel kunt u vinden in het rapport Kadastrale kaart met maatvoering van Wildenborgseweg 4.
De eigenaar van Wildenborgseweg 4 is op te vragen op deze pagina.
De informatie over dit adres is afkomstig uit officiële overheidsregistraties, voornamelijk de Basisregistratie Adressen en Gebouwen (BAG) en de Basisregistratie Kadaster (BRK). Deze gegevens worden beheerd door respectievelijk gemeenten en het Kadaster, en worden regelmatig bijgewerkt. Energielabelgegevens komen uit de database van de Rijksdienst voor Ondernemend Nederland (RVO).
