
Het adres Vlist 8-h bevindt zich in de plaats Barendrecht, in de gemeente Barendrecht en de provincie Zuid-Holland. Het verblijfsobject is vergeleken met het Nederlandse gemiddelde aan de kleine kant: de oppervlakte is 21 m². Het perceel waarop het adres zich bevindt heeft een oppervlakte van 21 m². Het adres is klein vergeleken met andere objecten in de straat. Het grootste object in de straat heeft een oppervlakte van 200 m², het kleinste is 20 m² groot. In Nederland komt het grootste deel van de gebouwen uit de periode 1965-1984. Ook het bouwjaar van Vlist 8-h is afkomstig uit die periode: het betreft namelijk een pand uit 1969. Dit pand is het meest recent exemplaar in de straat. Het oudste object komt er uit 1969 en het gemiddelde bouwjaar is 1969. Het verblijfsobject heeft de volgende gebruiksdoelen: 'overige gebruiksfunctie'.
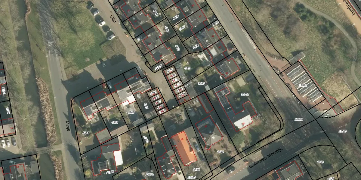
Het adres ligt op het perceel BRD00-D-5374, dat zich in de kadastrale gemeente Barendrecht bevindt. Het perceel is kleiner dan gemiddeld in Barendrecht. Het perceel is 21 m² groot, terwijl het gemiddelde ligt op 1189,09 m². Het grootste perceel in de kadastrale gemeente is 58,2 ha. Het kleinste perceel heeft een oppervlakte van 0 m². Op het perceel bevinden zich geen andere adressen. In de Basisregistratie Kadaster (BRK) werden de grenzen van het perceel geregistreerd op 25-11-2008.
Er is geen energielabel geregistreerd voor het adres. Het hoogste energielabel in de straat is D; het laagste is G. Het gemiddelde energielabel is er D. Het adres Vlist 8-h heeft als status: 'verblijfsobject in gebruik'. Het pand waarin dit adres ligt heeft als status: 'pand in gebruik'.
Vlist 8-h is een adres gelegen in de gemeente Barendrecht, provincie Zuid-Holland. Dit adres is geregistreerd in de Basisregistratie Adressen en Gebouwen (BAG) met als unieke identificatie 0489010000219992.
Het pand op Vlist 8-h is gebouwd in 1969, wat betekent dat het 57 jaar oud is. Dit is een ouder pand. Het pand heeft mogelijk aanzienlijke renovaties nodig om aan de huidige standaarden te voldoen.
De woning op Vlist 8-h heeft een gebruiksoppervlakte van 21 m². Dit is relatief klein vergeleken met de gemiddelde Nederlandse woning, die een oppervlakte heeft van ongeveer 119 m². De gebruiksoppervlakte is de maat die wordt gebruikt in de BAG-registratie, de landelijke registratie van de Nederlandse overheid.
Vlist 8-h heeft als functie: overige doeleinden. Deze gebruiksfunctie(s) zijn vastgelegd in de BAG-registratie en geven aan waarvoor het adres officieel mag worden gebruikt.
Vlist 8-h is gelegen op kadastraal perceel BRD00D5374. Deze kadastrale aanduiding is uniek en wordt gebruikt door het Kadaster om eigendomsrechten en andere zakelijke rechten vast te leggen. Het perceel maakt onderdeel uit van de kadastrale gemeente Barendrecht.
Het perceel waarop Vlist 8-h staat heeft een oppervlakte van 21 m². Dit is een klein perceel. De perceeloppervlakte wordt geregistreerd door het Kadaster. Gedetailleerde informatie over de maten van dit perceel kunt u vinden in het rapport Kadastrale kaart met maatvoering van Vlist 8-h.
De eigenaar van Vlist 8-h is op te vragen op deze pagina
De informatie over dit adres is afkomstig uit officiële overheidsregistraties, voornamelijk de Basisregistratie Adressen en Gebouwen (BAG) en de Basisregistratie Kadaster (BRK). Deze gegevens worden beheerd door respectievelijk gemeenten en het Kadaster, en worden regelmatig bijgewerkt. Energielabelgegevens komen uit de database van de Rijksdienst voor Ondernemend Nederland (RVO).
