
Verlengde Oosterdiep OZ 108 is gelegen in de plaats Barger-Compascuum, de gemeente Emmen en de provincie Drenthe. Het object heeft een oppervlakte van 509 m², wat relatief groot is. Het perceel waarop het adres ligt is 1170 m² groot. De oppervlakte van dit adres is groot vergeleken met de oppervlaktes van andere adressen in de straat. De kleinste oppervlakte bedraagt er 17 m², de grootste 1555 m². Het adres Verlengde Oosterdiep OZ 108 ligt in een relatief oud pand uit het jaar 1920. Panden van vóór het jaar 1965 hebben we hier geclassificeerd als oud. Het bouwjaar is oud vergeleken met dat van de andere panden in de straat. Het oudste bouwjaar is er 1905 en de nieuwste is 2024. Voor het verblijfsobject gelden deze gebruiksdoelen: 'woonfunctie' en 'bijeenkomstfunctie'.
Deze woning is voor het laatst verkocht op 1 augustus 2023. Meer informatie over deze transactie? Bestel het Woningtransactierapport om de verkoopprijs en andere informatie te zien.
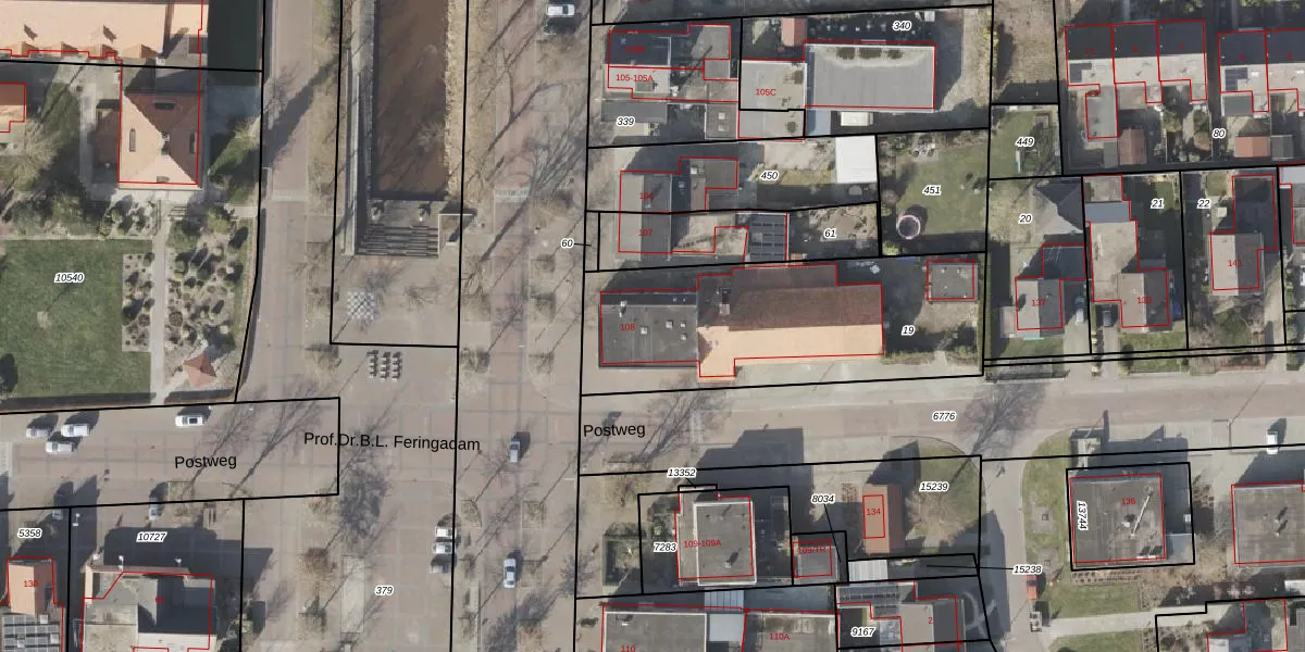
Het adres ligt op het perceel EMN00-R-19, dat zich in de kadastrale gemeente Emmen bevindt. De gemiddelde perceelgrootte in Emmen is 5227,7 m². Dit perceel is kleiner: de perceeloppervlakte bedraagt 1170 m². De grootste perceeloppervlakte in de kadastrale gemeente is 1,29 km². De kleinste oppervlakte bedraagt 0 m². Dit is het enige adres dat aanwezig is op het perceel. De laatste wijziging in het de Basisregistratie Kadaster (BRK) was op 22-08-2016.
Er is geen energielabel geregistreerd voor het adres. Het hoogste energielabel in de straat is A+++; het laagste is G. Het gemiddelde energielabel is er D. Het adres Verlengde Oosterdiep OZ 108 heeft als status: 'verblijfsobject in gebruik'. Het pand waarin dit adres ligt heeft als status: 'pand in gebruik'.
Verlengde Oosterdiep OZ 108 is een adres gelegen in de gemeente Emmen, provincie Drenthe. Dit adres is geregistreerd in de Basisregistratie Adressen en Gebouwen (BAG) met als unieke identificatie 0114010000395619.
Het pand op Verlengde Oosterdiep OZ 108 is gebouwd in 1920, wat betekent dat het 106 jaar oud is. Dit is een ouder pand. Het pand heeft mogelijk aanzienlijke renovaties nodig om aan de huidige standaarden te voldoen.
De woning op Verlengde Oosterdiep OZ 108 heeft een gebruiksoppervlakte van 509 m². Dit is ruim vergeleken met de gemiddelde Nederlandse woning, die een oppervlakte heeft van ongeveer 119 m². De gebruiksoppervlakte is de maat die wordt gebruikt in de BAG-registratie, de landelijke registratie van de Nederlandse overheid.
Verlengde Oosterdiep OZ 108 heeft als functie: wonen en bijeenkomsten. Deze gebruiksfunctie(s) zijn vastgelegd in de BAG-registratie en geven aan waarvoor het adres officieel mag worden gebruikt.
Verlengde Oosterdiep OZ 108 is gelegen op kadastraal perceel EMN00R19. Deze kadastrale aanduiding is uniek en wordt gebruikt door het Kadaster om eigendomsrechten en andere zakelijke rechten vast te leggen. Het perceel maakt onderdeel uit van de kadastrale gemeente Emmen.
Het perceel waarop Verlengde Oosterdiep OZ 108 staat heeft een oppervlakte van 1170 m². Dit is een zeer groot perceel. De perceeloppervlakte wordt geregistreerd door het Kadaster. Gedetailleerde informatie over de maten van dit perceel kunt u vinden in het rapport Kadastrale kaart met maatvoering van Verlengde Oosterdiep OZ 108.
De eigenaar van Verlengde Oosterdiep OZ 108 is op te vragen op deze pagina.
De informatie over dit adres is afkomstig uit officiële overheidsregistraties, voornamelijk de Basisregistratie Adressen en Gebouwen (BAG) en de Basisregistratie Kadaster (BRK). Deze gegevens worden beheerd door respectievelijk gemeenten en het Kadaster, en worden regelmatig bijgewerkt. Energielabelgegevens komen uit de database van de Rijksdienst voor Ondernemend Nederland (RVO).
