
Het adres Verlengde Oosterdiep OZ 178 bevindt zich in de plaats Barger-Compascuum, in de gemeente Barger-Compascuum en de provincie Drenthe. Het perceel waarop het verblijfsobject staat is 1435 m² groot. De oppervlakte van het adres is 117 m², wat zich rond het Nederlandse gemiddelde van 119 m² bevindt. Het object is klein ten opzichte van de andere adressen in de straat. Het grootste verblijfsobject is 1555 m² groot en het kleinste is 17 m². Het adres Verlengde Oosterdiep OZ 178 ligt in een relatief oud pand uit het jaar 1958. Panden van vóór het jaar 1965 hebben we hier geclassificeerd als oud. Veel andere gebouwen in de straat zijn ouder dan dit pand. Het oudste pand komt uit het jaar 1905 en het nieuwste uit 2024. Het verblijfsobject heeft de volgende gebruiksdoelen: 'woonfunctie'.
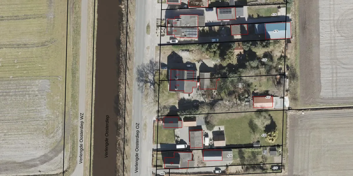
Het perceel waarop het adres ligt is EMN00-AD-437. De afkorting 'EMN00' staat voor kadastrale gemeente Emmen. Het perceel is kleiner dan gemiddeld in Emmen. Het perceel is 1435 m² groot, terwijl het gemiddelde ligt op 5227,7 m². De grootste perceeloppervlakte in de kadastrale gemeente is 1,29 km². De kleinste oppervlakte bedraagt 0 m². Er zijn geen andere adressen aanwezig op het perceel. In de Basisregistratie Kadaster (BRK) werden de grenzen van het perceel geregistreerd op 26-06-2024.
Er is geen energielabel geregistreerd voor het adres. Het hoogste energielabel in de straat is A+++; het laagste is G. Het gemiddelde energielabel is er D. Het adres Verlengde Oosterdiep OZ 178 heeft als status: 'verblijfsobject in gebruik'. Het pand waarin dit adres ligt heeft als status: 'pand in gebruik'.
Verlengde Oosterdiep OZ 178 is een adres gelegen in de gemeente Emmen, provincie Drenthe. Dit adres is geregistreerd in de Basisregistratie Adressen en Gebouwen (BAG) met als unieke identificatie 0114010000370565.
Het pand op Verlengde Oosterdiep OZ 178 is gebouwd in 1958, wat betekent dat het 68 jaar oud is. Dit is een ouder pand. Het pand heeft mogelijk aanzienlijke renovaties nodig om aan de huidige standaarden te voldoen.
De woning op Verlengde Oosterdiep OZ 178 heeft een gebruiksoppervlakte van 117 m². Dit is onder het gemiddelde vergeleken met de gemiddelde Nederlandse woning, die een oppervlakte heeft van ongeveer 119 m². De gebruiksoppervlakte is de maat die wordt gebruikt in de BAG-registratie, de landelijke registratie van de Nederlandse overheid.
Verlengde Oosterdiep OZ 178 heeft als functie: wonen. Deze gebruiksfunctie(s) zijn vastgelegd in de BAG-registratie en geven aan waarvoor het adres officieel mag worden gebruikt.
Verlengde Oosterdiep OZ 178 is gelegen op kadastraal perceel EMN00AD437. Deze kadastrale aanduiding is uniek en wordt gebruikt door het Kadaster om eigendomsrechten en andere zakelijke rechten vast te leggen. Het perceel maakt onderdeel uit van de kadastrale gemeente Emmen.
Het perceel waarop Verlengde Oosterdiep OZ 178 staat heeft een oppervlakte van 1435 m². Dit is een zeer groot perceel. De perceeloppervlakte wordt geregistreerd door het Kadaster. Gedetailleerde informatie over de maten van dit perceel kunt u vinden in het rapport Kadastrale kaart met maatvoering van Verlengde Oosterdiep OZ 178.
De eigenaar van Verlengde Oosterdiep OZ 178 is op te vragen op deze pagina.
De informatie over dit adres is afkomstig uit officiële overheidsregistraties, voornamelijk de Basisregistratie Adressen en Gebouwen (BAG) en de Basisregistratie Kadaster (BRK). Deze gegevens worden beheerd door respectievelijk gemeenten en het Kadaster, en worden regelmatig bijgewerkt. Energielabelgegevens komen uit de database van de Rijksdienst voor Ondernemend Nederland (RVO).
