
Het adres 1e Zuider Pierkesmarsweg 5 bevindt zich in de plaats Bathmen, in de gemeente Bathmen en de provincie Overijssel. Het object heeft een oppervlakte van 177 m², wat relatief groot is. Het perceel waarop het adres ligt is 4396 m² groot. De oppervlakte van dit adres is groot vergeleken met de oppervlaktes van andere adressen in de straat. De kleinste oppervlakte bedraagt er 118 m², de grootste 231 m². In Nederland komt het grootste deel van de gebouwen uit de periode 1965-1984. Ook het bouwjaar van 1e Zuider Pierkesmarsweg 5 is afkomstig uit die periode: het betreft namelijk een pand uit 1974. Het bouwjaar is oud vergeleken met dat van de andere panden in de straat. Het oudste bouwjaar is er 1933 en de nieuwste is 2019. De volgende gebruiksdoelen zijn geregistreerd voor dit adres: 'woonfunctie'.
Deze woning is voor het laatst verkocht op 1 augustus 2015. Meer informatie over deze transactie? Bestel het Woningtransactierapport om de verkoopprijs en andere informatie te zien.
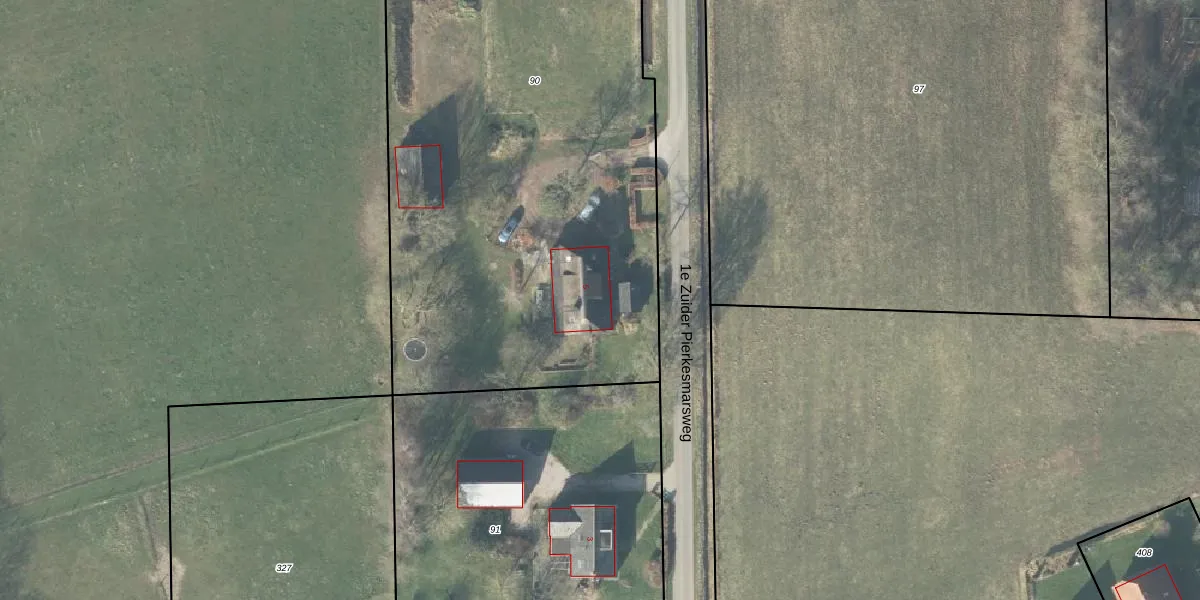
Het adres ligt op het perceel BMN02-E-90, dat zich in de kadastrale gemeente Bathmen bevindt. Het perceel is 4396 m² groot. Dat is kleiner dan de gemiddelde perceeloppervlakte in Bathmen, dat op 6184,73 m² ligt. Het grootste perceel in de kadastrale gemeente is 31,5 ha. Het kleinste perceel heeft een oppervlakte van 0 m². Dit is het enige adres dat aanwezig is op het perceel. In de Basisregistratie Kadaster (BRK) werden de grenzen van het perceel geregistreerd op 07-01-2003.
Er is geen energielabel geregistreerd voor het adres. Het hoogste energielabel in de straat is A; het laagste is G. Het gemiddelde energielabel is er C. Het adres 1e Zuider Pierkesmarsweg 5 heeft als status: 'verblijfsobject in gebruik'. Het pand waarin dit adres ligt heeft als status: 'pand in gebruik'.
1e Zuider Pierkesmarsweg 5 is een adres gelegen in de gemeente Deventer, provincie Overijssel. Dit adres is geregistreerd in de Basisregistratie Adressen en Gebouwen (BAG) met als unieke identificatie 0150010000028411.
Het pand op 1e Zuider Pierkesmarsweg 5 is gebouwd in 1974, wat betekent dat het 52 jaar oud is. Dit is een ouder pand. Het pand heeft mogelijk aanzienlijke renovaties nodig om aan de huidige standaarden te voldoen.
De woning op 1e Zuider Pierkesmarsweg 5 heeft een gebruiksoppervlakte van 177 m². Dit is ruim vergeleken met de gemiddelde Nederlandse woning, die een oppervlakte heeft van ongeveer 119 m². De gebruiksoppervlakte is de maat die wordt gebruikt in de BAG-registratie, de landelijke registratie van de Nederlandse overheid.
1e Zuider Pierkesmarsweg 5 heeft als functie: wonen. Deze gebruiksfunctie(s) zijn vastgelegd in de BAG-registratie en geven aan waarvoor het adres officieel mag worden gebruikt.
1e Zuider Pierkesmarsweg 5 is gelegen op kadastraal perceel BMN02E90. Deze kadastrale aanduiding is uniek en wordt gebruikt door het Kadaster om eigendomsrechten en andere zakelijke rechten vast te leggen. Het perceel maakt onderdeel uit van de kadastrale gemeente Bathmen.
Het perceel waarop 1e Zuider Pierkesmarsweg 5 staat heeft een oppervlakte van 4396 m². Dit is een zeer groot perceel. De perceeloppervlakte wordt geregistreerd door het Kadaster. Gedetailleerde informatie over de maten van dit perceel kunt u vinden in het rapport Kadastrale kaart met maatvoering van 1e Zuider Pierkesmarsweg 5.
De eigenaar van 1e Zuider Pierkesmarsweg 5 is op te vragen op deze pagina.
De informatie over dit adres is afkomstig uit officiële overheidsregistraties, voornamelijk de Basisregistratie Adressen en Gebouwen (BAG) en de Basisregistratie Kadaster (BRK). Deze gegevens worden beheerd door respectievelijk gemeenten en het Kadaster, en worden regelmatig bijgewerkt. Energielabelgegevens komen uit de database van de Rijksdienst voor Ondernemend Nederland (RVO).
