
Het adres Prins Constantijnlaan 1 bevindt zich in de plaats Bathmen, in de gemeente Bathmen en de provincie Overijssel. De oppervlakte van het verblijfsobject is met 1256 m² aan de grote kant. Het perceel heeft een oppervlakte van 3648 m². Dit is het adres met de grootste oppervlakte van alle adressen in de straat. Gemiddeld hebben de objecten in de straat een oppervlakte van 190 m². De kleinste oppervlakte is er 81 m². Het pand waarin Prins Constantijnlaan 1 ligt is gebouwd in het jaar 1990. Panden die gebouwd zijn na het jaar 1984 noemen we hier relatief nieuw. Dit object is relatief nieuw in de straat. Het nieuwste gebouw komt er uit het jaar 2011 en het oudste uit het jaar 1975. Het verblijfsobject heeft de volgende gebruiksdoelen: 'onderwijsfunctie'.
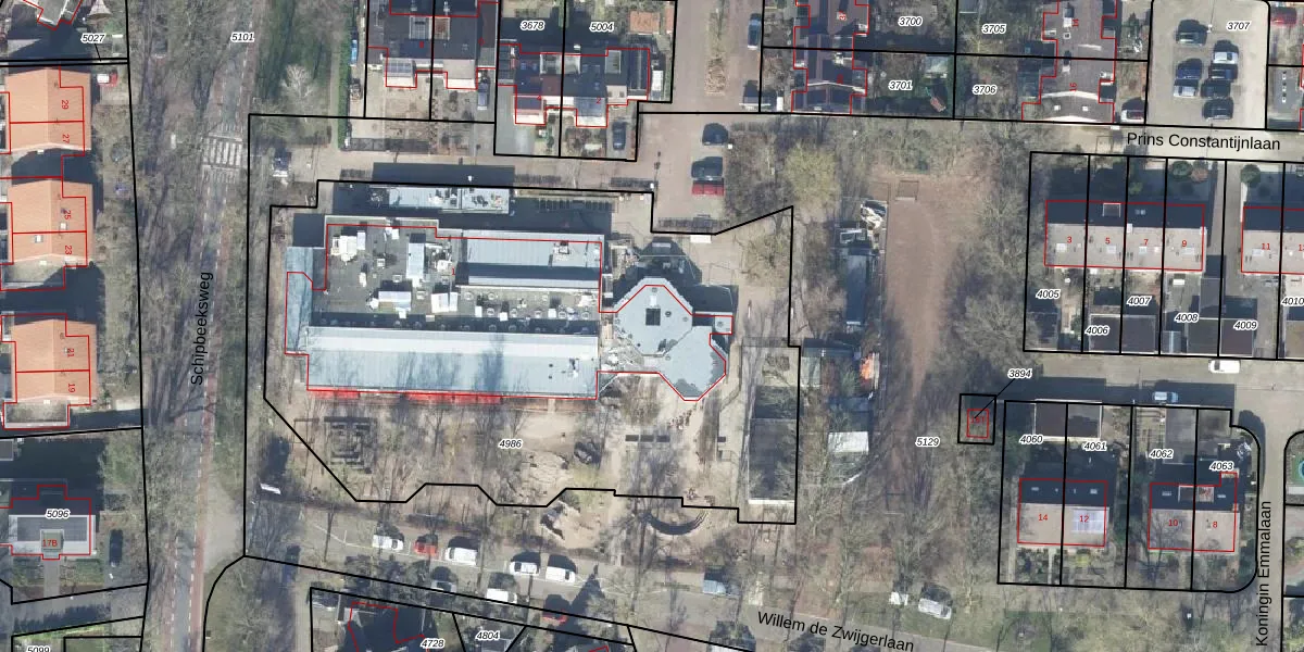
Het adres ligt op het perceel BMN02-A-4986, dat zich in de kadastrale gemeente Bathmen bevindt. Het perceel is kleiner dan gemiddeld in Bathmen. Het perceel is 3648 m² groot, terwijl het gemiddelde ligt op 6193,43 m². Het kleinste perceel in de kadastrale gemeente is 0 m² groot. De grootste perceeloppervlakte is 31,5 ha. Op het perceel bevinden zich geen andere adressen. In de Basisregistratie Kadaster (BRK) werden de grenzen van het perceel geregistreerd op 15-09-2010.
Er is geen energielabel geregistreerd voor het adres. Het hoogste energielabel in de straat is C; het laagste is G. Het gemiddelde energielabel is er C. Het adres Prins Constantijnlaan 1 heeft als status: 'verblijfsobject in gebruik'. Het pand waarin dit adres ligt heeft als status: 'pand in gebruik'.
Prins Constantijnlaan 1 is een adres gelegen in de gemeente Deventer, provincie Overijssel. Dit adres is geregistreerd in de Basisregistratie Adressen en Gebouwen (BAG) met als unieke identificatie 0150010000037213.
Het pand op Prins Constantijnlaan 1 is gebouwd in 1990, wat betekent dat het 36 jaar oud is. Dit is een pand van middelbare leeftijd. Het pand is van gemiddelde leeftijd en zal waarschijnlijk verouderde elementen bevatten.
De woning op Prins Constantijnlaan 1 heeft een gebruiksoppervlakte van 1256 m². Dit is ruim vergeleken met de gemiddelde Nederlandse woning, die een oppervlakte heeft van ongeveer 119 m². De gebruiksoppervlakte is de maat die wordt gebruikt in de BAG-registratie, de landelijke registratie van de Nederlandse overheid.
Prins Constantijnlaan 1 heeft als functie: onderwijs. Deze gebruiksfunctie(s) zijn vastgelegd in de BAG-registratie en geven aan waarvoor het adres officieel mag worden gebruikt.
Prins Constantijnlaan 1 is gelegen op kadastraal perceel BMN02A4986. Deze kadastrale aanduiding is uniek en wordt gebruikt door het Kadaster om eigendomsrechten en andere zakelijke rechten vast te leggen. Het perceel maakt onderdeel uit van de kadastrale gemeente Bathmen.
Het perceel waarop Prins Constantijnlaan 1 staat heeft een oppervlakte van 3648 m². Dit is een zeer groot perceel. De perceeloppervlakte wordt geregistreerd door het Kadaster. Gedetailleerde informatie over de maten van dit perceel kunt u vinden in het rapport Kadastrale kaart met maatvoering van Prins Constantijnlaan 1.
De eigenaar van Prins Constantijnlaan 1 is op te vragen op deze pagina.
De informatie over dit adres is afkomstig uit officiële overheidsregistraties, voornamelijk de Basisregistratie Adressen en Gebouwen (BAG) en de Basisregistratie Kadaster (BRK). Deze gegevens worden beheerd door respectievelijk gemeenten en het Kadaster, en worden regelmatig bijgewerkt. Energielabelgegevens komen uit de database van de Rijksdienst voor Ondernemend Nederland (RVO).
