
Akkerwei 10 is een adres in Bavel, dat zich bevindt binnen de gemeentegrenzen van Bavel en de grenzen van de provincie Noord-Brabant. Het perceel waarop het adres gelegen is heeft een oppervlakte van 869 m². Het verblijfsobject is met 50 m² relatief klein. Er zijn geen kleinere objecten in deze straat. De gemiddelde oppervlakte is er 128 m². Het grootste verblijfsobject is 162 m². Akkerwei 10 ligt in een gebouw uit het jaar 2013. Daarmee behoort het tot de groep panden van na 1984, die we als relatief nieuw bestempelen. Het gemiddelde bouwjaar in de straat is 2015 en dat van het nieuwste object 2017. In de straat is dit het oudste pand. Voor het verblijfsobject gelden deze gebruiksdoelen: 'woonfunctie'.
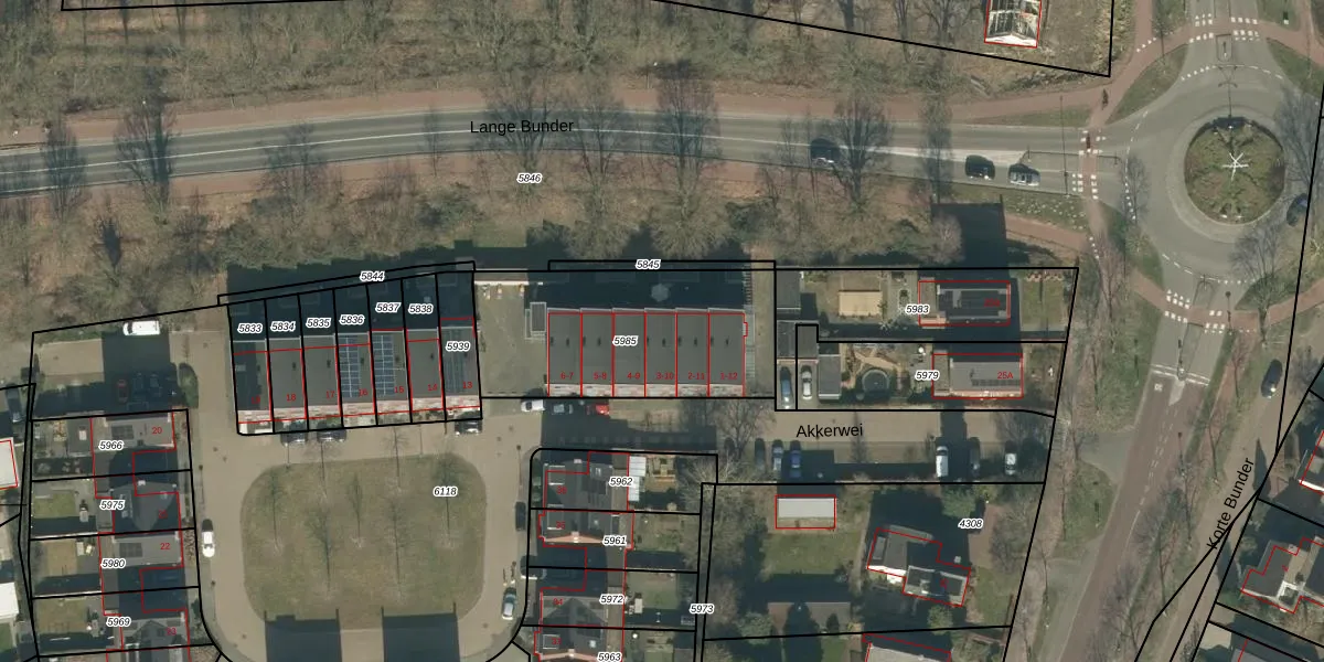
Het adres ligt op het perceel GNK01-K-5985, dat zich in de kadastrale gemeente Nieuw-Ginneken bevindt. De gemiddelde perceelgrootte in Nieuw-Ginneken is 2453,39 m². Dit perceel is kleiner: de perceeloppervlakte bedraagt 869 m². Het grootste perceel in de kadastrale gemeente is 34,2 ha. Het kleinste perceel heeft een oppervlakte van 0 m². Er zijn 12 adressen aanwezig op het perceel. De huidige grenzen van het perceel zijn digitaal in de Basisregistratie Kadaster (BRK) geregistreerd op 13-07-2018.
Het adres ligt in een gebouw van het type 'flatwoning (overig) met het subtype tussendak'. Bij de laatste meting is voor het adres het energielabel A geregistreerd. Het hoogste energielabel in de straat is A++; het laagste is G. Het gemiddelde energielabel is er A. Het adres Akkerwei 10 heeft als status: 'verblijfsobject in gebruik'. Het pand waarin dit adres ligt heeft als status: 'pand in gebruik'.
Akkerwei 10 is een adres gelegen in de gemeente Breda, provincie Noord-Brabant. Dit adres is geregistreerd in de Basisregistratie Adressen en Gebouwen (BAG) met als unieke identificatie 0758010000095170.
Het pand op Akkerwei 10 is gebouwd in 2013, wat betekent dat het 13 jaar oud is. Dit is een relatief modern pand. Ten opzichte van de nationale woningvoorraad is het pand relatief modern, maar er kunnen enkele verouderde elementen zijn die aandacht nodig hebben.
De woning op Akkerwei 10 heeft een gebruiksoppervlakte van 50 m². Dit is relatief klein vergeleken met de gemiddelde Nederlandse woning, die een oppervlakte heeft van ongeveer 119 m². De gebruiksoppervlakte is de maat die wordt gebruikt in de BAG-registratie, de landelijke registratie van de Nederlandse overheid.
Akkerwei 10 heeft als functie: wonen. Deze gebruiksfunctie(s) zijn vastgelegd in de BAG-registratie en geven aan waarvoor het adres officieel mag worden gebruikt.
Akkerwei 10 is gelegen op kadastraal perceel GNK01K5985. Deze kadastrale aanduiding is uniek en wordt gebruikt door het Kadaster om eigendomsrechten en andere zakelijke rechten vast te leggen. Het perceel maakt onderdeel uit van de kadastrale gemeente Nieuw-Ginneken.
Het perceel waarop Akkerwei 10 staat heeft een oppervlakte van 869 m². Dit is een groot perceel. De perceeloppervlakte wordt geregistreerd door het Kadaster. Gedetailleerde informatie over de maten van dit perceel kunt u vinden in het rapport Kadastrale kaart met maatvoering van Akkerwei 10.
De eigenaar van Akkerwei 10 is op te vragen op deze pagina.
De informatie over dit adres is afkomstig uit officiële overheidsregistraties, voornamelijk de Basisregistratie Adressen en Gebouwen (BAG) en de Basisregistratie Kadaster (BRK). Deze gegevens worden beheerd door respectievelijk gemeenten en het Kadaster, en worden regelmatig bijgewerkt. Energielabelgegevens komen uit de database van de Rijksdienst voor Ondernemend Nederland (RVO).
