
Het adres Arnhemseweg 576-4 bevindt zich in de plaats Beekbergen, in de gemeente Beekbergen en de provincie Gelderland. De oppervlakte van het object bedraagt 91 m². Dat is klein vergeleken met het Nederlandse gemiddelde. Het perceel waarop het adres ligt is 1,0 ha groot. De oppervlakte van het adres is klein vergeleken met de andere objecten in de straat. De oppervlakte van het kleinste object in de straat bedraagt 15 m², terwijl het grootste object 1697 m² groot is. De meeste Nederlandse gebouwen zijn gebouwd in de periode 1965-1984. Zo ook het pand waarin Arnhemseweg 576-4 ligt, dat gebouwd is in 1966. Veel andere gebouwen in de straat zijn ouder dan dit pand. Het oudste pand komt uit het jaar 1874 en het nieuwste uit 2025. Het verblijfsobject heeft de volgende gebruiksdoelen: 'logiesfunctie'.
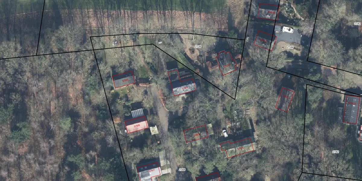
Het adres is gelegen op perceel 2768 in de sectie M en de kadastrale gemeente Beekbergen. De kadastrale aanduiding is aldus BBG01-M-2768. De gemiddelde perceeloppervlakte in de kadastrale gemeente Beekbergen is 9047,03 m². Dit perceel is met zijn 1,0 ha dus groter dan gemiddeld. De grootste perceeloppervlakte in de kadastrale gemeente is 1,65 km². De kleinste oppervlakte bedraagt 0 m². Op het perceel zijn 13 adressen aanwezig. In de Basisregistratie Kadaster (BRK) werden de grenzen van het perceel geregistreerd op 11-11-2005.
Er is geen energielabel geregistreerd voor het adres. Het hoogste energielabel in de straat is A++++; het laagste is G. Het gemiddelde energielabel is er D. Het adres Arnhemseweg 576-4 heeft als status: 'verblijfsobject in gebruik'. Het pand waarin dit adres ligt heeft als status: 'pand in gebruik'.
Arnhemseweg 576-4 is een adres gelegen in de gemeente Apeldoorn, provincie Gelderland. Dit adres is geregistreerd in de Basisregistratie Adressen en Gebouwen (BAG) met als unieke identificatie 0200010000471842.
Het pand op Arnhemseweg 576-4 is gebouwd in 1966, wat betekent dat het 60 jaar oud is. Dit is een ouder pand. Het pand heeft mogelijk aanzienlijke renovaties nodig om aan de huidige standaarden te voldoen.
De woning op Arnhemseweg 576-4 heeft een gebruiksoppervlakte van 91 m². Dit is onder het gemiddelde vergeleken met de gemiddelde Nederlandse woning, die een oppervlakte heeft van ongeveer 119 m². De gebruiksoppervlakte is de maat die wordt gebruikt in de BAG-registratie, de landelijke registratie van de Nederlandse overheid.
Arnhemseweg 576-4 heeft als functie: logies/verblijf. Deze gebruiksfunctie(s) zijn vastgelegd in de BAG-registratie en geven aan waarvoor het adres officieel mag worden gebruikt.
Arnhemseweg 576-4 is gelegen op kadastraal perceel BBG01M2768. Deze kadastrale aanduiding is uniek en wordt gebruikt door het Kadaster om eigendomsrechten en andere zakelijke rechten vast te leggen. Het perceel maakt onderdeel uit van de kadastrale gemeente Beekbergen.
Het perceel waarop Arnhemseweg 576-4 staat heeft een oppervlakte van 1,0 ha. Dit is een zeer groot perceel. De perceeloppervlakte wordt geregistreerd door het Kadaster. Gedetailleerde informatie over de maten van dit perceel kunt u vinden in het rapport Kadastrale kaart met maatvoering van Arnhemseweg 576-4.
De eigenaar van Arnhemseweg 576-4 is op te vragen op deze pagina.
De informatie over dit adres is afkomstig uit officiële overheidsregistraties, voornamelijk de Basisregistratie Adressen en Gebouwen (BAG) en de Basisregistratie Kadaster (BRK). Deze gegevens worden beheerd door respectievelijk gemeenten en het Kadaster, en worden regelmatig bijgewerkt. Energielabelgegevens komen uit de database van de Rijksdienst voor Ondernemend Nederland (RVO).
