
Het adres Klein Paradijs 70-146 bevindt zich in de plaats Beekbergen, in de gemeente Beekbergen en de provincie Gelderland. Het perceel waarop het adres gelegen is heeft een oppervlakte van 277 m². Het verblijfsobject is met 55 m² relatief klein. Het object is klein ten opzichte van de andere adressen in de straat. Het grootste verblijfsobject is 247 m² groot en het kleinste is 22 m². Klein Paradijs 70-146 bevindt zich in een pand uit het jaar null. Daarmee behoort het tot de groep relatief oude panden in Nederland die gebouwd zijn vóór 1965. Het gemiddelde bouwjaar in de straat is 1996 en dat van het nieuwste object 2021. In de straat is dit het oudste pand. Voor het verblijfsobject gelden deze gebruiksdoelen: 'standplaats'.
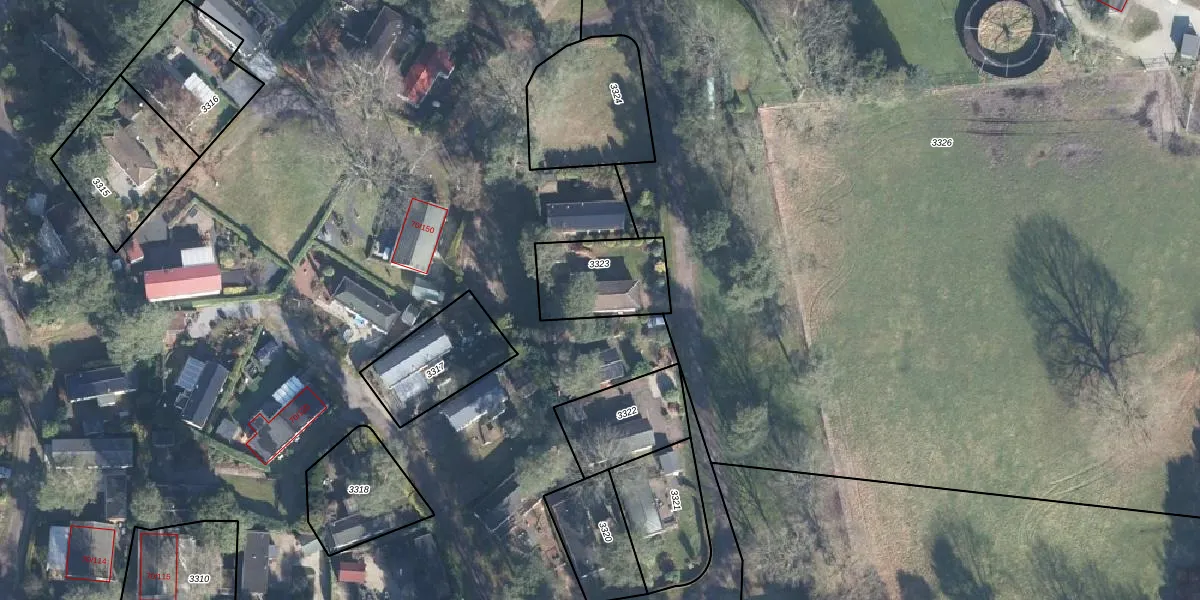
Het perceel waarop het adres ligt is BBG01-L-3323. De afkorting 'BBG01' staat voor kadastrale gemeente Beekbergen. De gemiddelde perceelgrootte in Beekbergen is 9047,03 m². Dit perceel is kleiner: de perceeloppervlakte bedraagt 277 m². Het grootste perceel in de kadastrale gemeente is 1,65 km². Het kleinste perceel heeft een oppervlakte van 0 m². Dit is het enige adres dat aanwezig is op het perceel. In de Basisregistratie Kadaster (BRK) werden de grenzen van het perceel geregistreerd op 14-03-2001.
Er is geen energielabel geregistreerd voor het adres. Het hoogste energielabel in de straat is A; het laagste is G. Het gemiddelde energielabel is er D. Het adres Klein Paradijs 70-146 heeft als status: 'plaats aangewezen'. Het pand waarin dit adres ligt heeft als status: 'undefined'.
Klein Paradijs 70-146 is een adres gelegen in de gemeente Apeldoorn, provincie Gelderland. Dit adres is geregistreerd in de Basisregistratie Adressen en Gebouwen (BAG) met als unieke identificatie 0200030003974887.
De woning op Klein Paradijs 70-146 heeft een gebruiksoppervlakte van 55 m². Dit is relatief klein vergeleken met de gemiddelde Nederlandse woning, die een oppervlakte heeft van ongeveer 119 m². De gebruiksoppervlakte is de maat die wordt gebruikt in de BAG-registratie, de landelijke registratie van de Nederlandse overheid.
Klein Paradijs 70-146 heeft als functie: standplaats. Deze gebruiksfunctie(s) zijn vastgelegd in de BAG-registratie en geven aan waarvoor het adres officieel mag worden gebruikt.
Klein Paradijs 70-146 is gelegen op kadastraal perceel BBG01L3323. Deze kadastrale aanduiding is uniek en wordt gebruikt door het Kadaster om eigendomsrechten en andere zakelijke rechten vast te leggen. Het perceel maakt onderdeel uit van de kadastrale gemeente Beekbergen.
Het perceel waarop Klein Paradijs 70-146 staat heeft een oppervlakte van 277 m². Dit is een middelgroot perceel. De perceeloppervlakte wordt geregistreerd door het Kadaster. Gedetailleerde informatie over de maten van dit perceel kunt u vinden in het rapport Kadastrale kaart met maatvoering van Klein Paradijs 70-146.
De eigenaar van Klein Paradijs 70-146 is op te vragen op deze pagina.
De informatie over dit adres is afkomstig uit officiële overheidsregistraties, voornamelijk de Basisregistratie Adressen en Gebouwen (BAG) en de Basisregistratie Kadaster (BRK). Deze gegevens worden beheerd door respectievelijk gemeenten en het Kadaster, en worden regelmatig bijgewerkt. Energielabelgegevens komen uit de database van de Rijksdienst voor Ondernemend Nederland (RVO).
