
Het adres Kuiltjesweg 44-276 bevindt zich in de plaats Beekbergen, in de gemeente Beekbergen en de provincie Gelderland. De oppervlakte van het object bedraagt 60 m². Dat is klein vergeleken met het Nederlandse gemiddelde. Het perceel waarop het adres ligt is 545 m² groot. Het adres is klein vergeleken met andere objecten in de straat. Het grootste object in de straat heeft een oppervlakte van 1,2 ha, het kleinste is 24 m² groot. In het jaar 2020 is het pand waarin Kuiltjesweg 44-276 ligt gebouwd. Dat is relatief recent: de meeste gebouwen in Nederland zijn gebouwd in de periode 1965-1984. Veel andere gebouwen in de straat zijn ouder dan dit pand. Het oudste pand komt uit het jaar 1931 en het nieuwste uit 2026. Het verblijfsobject heeft de volgende gebruiksdoelen: 'logiesfunctie'.
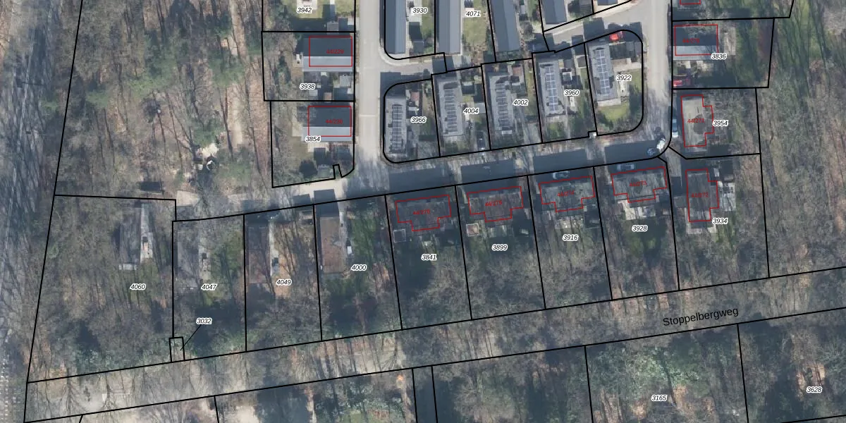
Het adres ligt op het perceel BBG01-L-3841, dat zich in de kadastrale gemeente Beekbergen bevindt. Het perceel is kleiner dan gemiddeld in Beekbergen. Het perceel is 545 m² groot, terwijl het gemiddelde ligt op 9047,03 m². De grootste perceeloppervlakte in de kadastrale gemeente is 1,65 km². De kleinste oppervlakte bedraagt 0 m². Er zijn geen andere adressen aanwezig op het perceel. In de Basisregistratie Kadaster (BRK) werden de grenzen van het perceel geregistreerd op 26-09-2022.
Het adres ligt in een gebouw van het type 'logieswoning'. Bij de laatste meting is voor het adres het energielabel C geregistreerd. Het hoogste energielabel in de straat is A++; het laagste is G. Het gemiddelde energielabel is er C. Het adres Kuiltjesweg 44-276 heeft als status: 'verblijfsobject in gebruik'. Het pand waarin dit adres ligt heeft als status: 'pand in gebruik'.
Kuiltjesweg 44-276 is een adres gelegen in de gemeente Apeldoorn, provincie Gelderland. Dit adres is geregistreerd in de Basisregistratie Adressen en Gebouwen (BAG) met als unieke identificatie 0200010003922142.
Het pand op Kuiltjesweg 44-276 is gebouwd in 2020, wat betekent dat het 6 jaar oud is. Dit is een vrij nieuw pand. Het pand is dus waarschijnlijk goed geïsoleerd, geluidsdicht en voldoet aan de huidige bouwstandaarden. Op korte termijn zijn er waarschijnlijk weinig onderhoudskosten.
De woning op Kuiltjesweg 44-276 heeft een gebruiksoppervlakte van 60 m². Dit is relatief klein vergeleken met de gemiddelde Nederlandse woning, die een oppervlakte heeft van ongeveer 119 m². De gebruiksoppervlakte is de maat die wordt gebruikt in de BAG-registratie, de landelijke registratie van de Nederlandse overheid.
Kuiltjesweg 44-276 heeft als functie: logies/verblijf. Deze gebruiksfunctie(s) zijn vastgelegd in de BAG-registratie en geven aan waarvoor het adres officieel mag worden gebruikt.
Kuiltjesweg 44-276 is gelegen op kadastraal perceel BBG01L3841. Deze kadastrale aanduiding is uniek en wordt gebruikt door het Kadaster om eigendomsrechten en andere zakelijke rechten vast te leggen. Het perceel maakt onderdeel uit van de kadastrale gemeente Beekbergen.
Het perceel waarop Kuiltjesweg 44-276 staat heeft een oppervlakte van 545 m². Dit is een groot perceel. De perceeloppervlakte wordt geregistreerd door het Kadaster. Gedetailleerde informatie over de maten van dit perceel kunt u vinden in het rapport Kadastrale kaart met maatvoering van Kuiltjesweg 44-276.
De eigenaar van Kuiltjesweg 44-276 is op te vragen op deze pagina.
De informatie over dit adres is afkomstig uit officiële overheidsregistraties, voornamelijk de Basisregistratie Adressen en Gebouwen (BAG) en de Basisregistratie Kadaster (BRK). Deze gegevens worden beheerd door respectievelijk gemeenten en het Kadaster, en worden regelmatig bijgewerkt. Energielabelgegevens komen uit de database van de Rijksdienst voor Ondernemend Nederland (RVO).
