
Spoekweg 49-477 is gelegen in de plaats Beekbergen, de gemeente Apeldoorn en de provincie Gelderland. Het perceel waarop het adres gelegen is heeft een oppervlakte van 23,8 ha. Het verblijfsobject is met 50 m² relatief klein. In vergelijking met de andere adressen in de straat is de oppervlakte van dit object relatief groot. Het grootste verblijfsobject heeft een oppervlakte van 660 m², de oppervlakte van het kleinste object bedraagt 10 m². Spoekweg 49-477 bevindt zich in een pand uit het jaar null. Daarmee behoort het tot de groep relatief oude panden in Nederland die gebouwd zijn vóór 1965. Het gemiddelde bouwjaar in de straat is 1991 en dat van het nieuwste object 2024. In de straat is dit het oudste pand. De volgende gebruiksdoelen zijn geregistreerd voor dit adres: 'standplaats'.
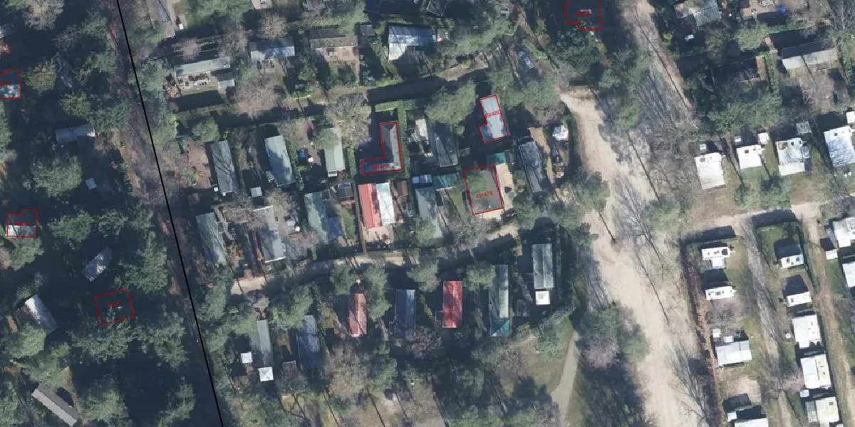
Het perceel waarop het adres ligt is BBG01-F-5644. De afkorting 'BBG01' staat voor kadastrale gemeente Beekbergen. De oppervlakte van het perceel is 23,8 ha. Dat is groter dan gemiddeld in Beekbergen, waar de gemiddelde perceeloppervlakte op 9062,15 m² ligt. Het grootste perceel in de kadastrale gemeente is 1,65 km². Het kleinste perceel heeft een oppervlakte van 0 m². Er zijn 323 adressen aanwezig op het perceel. De laatste wijziging in het de Basisregistratie Kadaster (BRK) was op 06-10-2005.
Er is geen energielabel geregistreerd voor het adres. Het hoogste energielabel in de straat is A+; het laagste is G. Het gemiddelde energielabel is er A+. Het adres Spoekweg 49-477 heeft als status: 'plaats aangewezen'. Het pand waarin dit adres ligt heeft als status: 'undefined'.
Spoekweg 49-477 is een adres gelegen in de gemeente Apeldoorn, provincie Gelderland. Dit adres is geregistreerd in de Basisregistratie Adressen en Gebouwen (BAG) met als unieke identificatie 0200030003978408.
De woning op Spoekweg 49-477 heeft een gebruiksoppervlakte van 50 m². Dit is relatief klein vergeleken met de gemiddelde Nederlandse woning, die een oppervlakte heeft van ongeveer 119 m². De gebruiksoppervlakte is de maat die wordt gebruikt in de BAG-registratie, de landelijke registratie van de Nederlandse overheid.
Spoekweg 49-477 heeft als functie: standplaats. Deze gebruiksfunctie(s) zijn vastgelegd in de BAG-registratie en geven aan waarvoor het adres officieel mag worden gebruikt.
Spoekweg 49-477 is gelegen op kadastraal perceel BBG01F5644. Deze kadastrale aanduiding is uniek en wordt gebruikt door het Kadaster om eigendomsrechten en andere zakelijke rechten vast te leggen. Het perceel maakt onderdeel uit van de kadastrale gemeente Beekbergen.
Het perceel waarop Spoekweg 49-477 staat heeft een oppervlakte van 23,8 ha. Dit is een zeer groot perceel. De perceeloppervlakte wordt geregistreerd door het Kadaster. Gedetailleerde informatie over de maten van dit perceel kunt u vinden in het rapport Kadastrale kaart met maatvoering van Spoekweg 49-477.
De eigenaar van Spoekweg 49-477 is op te vragen op deze pagina
De informatie over dit adres is afkomstig uit officiële overheidsregistraties, voornamelijk de Basisregistratie Adressen en Gebouwen (BAG) en de Basisregistratie Kadaster (BRK). Deze gegevens worden beheerd door respectievelijk gemeenten en het Kadaster, en worden regelmatig bijgewerkt. Energielabelgegevens komen uit de database van de Rijksdienst voor Ondernemend Nederland (RVO).
