
Het adres Spoekweg 55-131 bevindt zich in de plaats Beekbergen, in de gemeente Beekbergen en de provincie Gelderland. Het verblijfsobject is vergeleken met het Nederlandse gemiddelde aan de kleine kant: de oppervlakte is 25 m². Het perceel waarop het adres zich bevindt heeft een oppervlakte van 4,4 ha. Het object is klein ten opzichte van de andere adressen in de straat. Het grootste verblijfsobject is 660 m² groot en het kleinste is 10 m². Spoekweg 55-131 bevindt zich in een pand uit het jaar null. Daarmee behoort het tot de groep relatief oude panden in Nederland die gebouwd zijn vóór 1965. Gemiddeld zijn de gebouwen in de straat gebouwd in 1991. Dit is het oudste pand in de straat. Het meest recente komt uit het jaar 2024. De volgende gebruiksdoelen zijn geregistreerd voor dit adres: 'standplaats'.
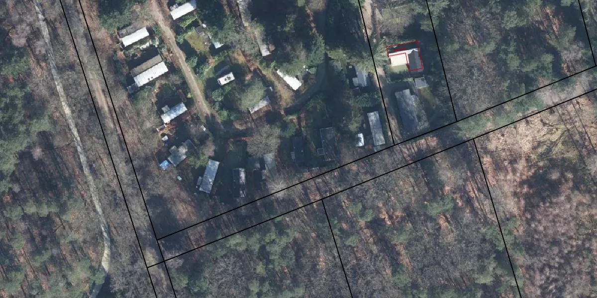
Het perceel waarop het adres ligt is BBG01-F-2221. De afkorting 'BBG01' staat voor kadastrale gemeente Beekbergen. De oppervlakte van het perceel is 4,4 ha. Dat is groter dan gemiddeld in Beekbergen, waar de gemiddelde perceeloppervlakte op 9045,29 m² ligt. Het grootste perceel in de kadastrale gemeente is 1,65 km². Het kleinste perceel heeft een oppervlakte van 0 m². Op het perceel liggen in totaal 81 adressen. In de Basisregistratie Kadaster (BRK) werden de grenzen van het perceel geregistreerd op 17-03-2008.
Er is geen energielabel geregistreerd voor het adres. Het hoogste energielabel in de straat is A+; het laagste is G. Het gemiddelde energielabel is er A. Het adres Spoekweg 55-131 heeft als status: 'plaats aangewezen'. Het pand waarin dit adres ligt heeft als status: 'undefined'.
Spoekweg 55-131 is een adres gelegen in de gemeente Apeldoorn, provincie Gelderland. Dit adres is geregistreerd in de Basisregistratie Adressen en Gebouwen (BAG) met als unieke identificatie 0200030003975157.
De woning op Spoekweg 55-131 heeft een gebruiksoppervlakte van 25 m². Dit is relatief klein vergeleken met de gemiddelde Nederlandse woning, die een oppervlakte heeft van ongeveer 119 m². De gebruiksoppervlakte is de maat die wordt gebruikt in de BAG-registratie, de landelijke registratie van de Nederlandse overheid.
Spoekweg 55-131 heeft als functie: standplaats. Deze gebruiksfunctie(s) zijn vastgelegd in de BAG-registratie en geven aan waarvoor het adres officieel mag worden gebruikt.
Spoekweg 55-131 is gelegen op kadastraal perceel BBG01F2221. Deze kadastrale aanduiding is uniek en wordt gebruikt door het Kadaster om eigendomsrechten en andere zakelijke rechten vast te leggen. Het perceel maakt onderdeel uit van de kadastrale gemeente Beekbergen.
Het perceel waarop Spoekweg 55-131 staat heeft een oppervlakte van 4,4 ha. Dit is een zeer groot perceel. De perceeloppervlakte wordt geregistreerd door het Kadaster. Gedetailleerde informatie over de maten van dit perceel kunt u vinden in het rapport Kadastrale kaart met maatvoering van Spoekweg 55-131.
De eigenaar van Spoekweg 55-131 is op te vragen op deze pagina.
De informatie over dit adres is afkomstig uit officiële overheidsregistraties, voornamelijk de Basisregistratie Adressen en Gebouwen (BAG) en de Basisregistratie Kadaster (BRK). Deze gegevens worden beheerd door respectievelijk gemeenten en het Kadaster, en worden regelmatig bijgewerkt. Energielabelgegevens komen uit de database van de Rijksdienst voor Ondernemend Nederland (RVO).
