Product Functies Prijzen Meer

Adressen

Gebruik de zoekbalk of klik op een perceel voor informatie over de adressen binnen dit perceel.
Locatie
Meten
Lagen
Download

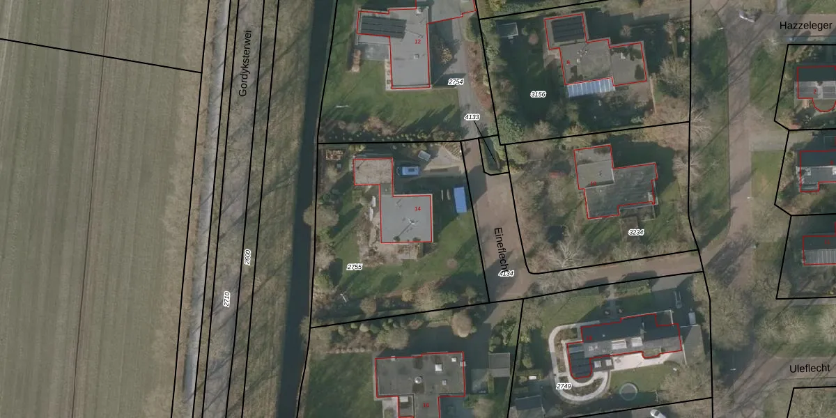
Eineflecht 14

9244EN, Beetsterzwaag

1519312 Wat moet ik bieden voor deze woning?
187 m²
woonfunctie
1.580 m² perceeloppervlakte
D

Het adres Eineflecht 14 bevindt zich in de plaats Beetsterzwaag, in de gemeente Beetsterzwaag en de provincie Friesland. De oppervlakte van het verblijfsobject is met 187 m² aan de grote kant. Het perceel heeft een oppervlakte van 1580 m². Het adres is klein vergeleken met andere objecten in de straat. Het grootste object in de straat heeft een oppervlakte van 306 m², het kleinste is 144 m² groot. De gemiddelde bouwperiode van gebouwen in Nederland ligt tussen de jaren 1965-1984. Dat geldt ook voor het bouwjaar van Eineflecht 14: het is gebouwd in het jaar 1970. Het nieuwste gebouw in de straat komt uit 2004 en het oudste uit 1964. Dit object is relatief oud. Het verblijfsobject heeft de volgende gebruiksdoelen: 'woonfunctie'.

Verkoopdata beschikbaar

Deze woning is voor het laatst verkocht op 1 februari 2024. Meer informatie over deze transactie? Bestel het Woningtransactierapport om de verkoopprijs en andere informatie te zien.

Perceel

Het adres ligt op het perceel BSZ00-B-2755, dat zich in de kadastrale gemeente Beetsterzwaag bevindt. Het perceel is kleiner dan gemiddeld in Beetsterzwaag. Het perceel is 1580 m² groot, terwijl het gemiddelde ligt op 1,0 ha. Het kleinste perceel in de kadastrale gemeente is 0 m² groot. De grootste perceeloppervlakte is 65,5 ha. Op het perceel bevinden zich geen andere adressen. In de Basisregistratie Kadaster (BRK) werden de grenzen van het perceel geregistreerd op 21-07-2009.

Energielabel en status

Het adres ligt in een gebouw van het type 'vrijstaande woning'. Bij de laatste meting is voor het adres het energielabel D geregistreerd. Het hoogste energielabel in de straat is A+++; het laagste is G. Het gemiddelde energielabel is er B. Het adres Eineflecht 14 heeft als status: 'verblijfsobject in gebruik'. Het pand waarin dit adres ligt heeft als status: 'pand in gebruik'.

Meer lezen

Adres

Gebruiksoppervlakte
187 m²
Bruto vloeroppervlakte
KHnurUpGU Y68wmVoM4brUpgrade naar KadastraleKaart Pro
Gebruiksdoel(en)
Woonfunctie
Status
Verblijfsobject in gebruik
Type
Vrijstaande woning
Gasloos
iP3sobMR56 d8 yZvGUpgrade naar KadastraleKaart Pro
Gebeurtenissen
Appartementsrechten
oWI bJufCSQ2Nt0CKUpgrade naar KadastraleKaart Pro
Eigenaar
Eigendomsinformatie 12,95
Adresinformatie bestellen
Adrespakket 34,95
VBO ID
0086010000394668
Woning laatst verkocht in
2024 -
Verkoopprijs opvragen 8,95

Pand

Bouwjaar pand
1970
Aantal adressen in dit gebouw
1 adres
Hoogte pand
TsGcl HZnUpgrade naar KadastraleKaart Pro
Aantal bouwlagen (schatting)
94P rZ GlZJpop giHdUpgrade naar KadastraleKaart Pro
Volume
qV0wL6eTKHEfSI dlO NUpgrade naar KadastraleKaart Pro
Oppervlakte dak
reB0VHrhfjxjeoSFoUpgrade naar KadastraleKaart Pro
Oppervlakte buitenmuur
qqj uJOD ZQj9tZgO4wf62oUpgrade naar KadastraleKaart Pro
Status pand
Pand in gebruik
Pand ID
0086100000356641

Perceel

Kadastrale aanduiding
Beetsterzwaag B 2755 (BSZ00 B 2755)
Oppervlakte
1.580 m²
Maatvoering
Kadastrale kaart met maatvoering 59,95
Omtrek
161 meter
Datum laatst gewijzigd
21/07/2009
Aantal adressen op perceel
1
Hoogte boven N.A.P.
SXnfTkEgZ0G21Flw6SfxUpgrade naar KadastraleKaart Pro

Veelgestelde vragen

Eineflecht 14 is een adres gelegen in de gemeente Opsterland, provincie Friesland. Dit adres is geregistreerd in de Basisregistratie Adressen en Gebouwen (BAG) met als unieke identificatie 0086010000394668.

Het pand op Eineflecht 14 is gebouwd in 1970, wat betekent dat het 56 jaar oud is. Dit is een ouder pand. Het pand heeft mogelijk aanzienlijke renovaties nodig om aan de huidige standaarden te voldoen.

De woning op Eineflecht 14 heeft een gebruiksoppervlakte van 187 m². Dit is ruim vergeleken met de gemiddelde Nederlandse woning, die een oppervlakte heeft van ongeveer 119 m². De gebruiksoppervlakte is de maat die wordt gebruikt in de BAG-registratie, de landelijke registratie van de Nederlandse overheid.

Eineflecht 14 heeft als functie: wonen. Deze gebruiksfunctie(s) zijn vastgelegd in de BAG-registratie en geven aan waarvoor het adres officieel mag worden gebruikt.

Eineflecht 14 is gelegen op kadastraal perceel BSZ00B2755. Deze kadastrale aanduiding is uniek en wordt gebruikt door het Kadaster om eigendomsrechten en andere zakelijke rechten vast te leggen. Het perceel maakt onderdeel uit van de kadastrale gemeente Beetsterzwaag.

Het perceel waarop Eineflecht 14 staat heeft een oppervlakte van 1580 m². Dit is een zeer groot perceel. De perceeloppervlakte wordt geregistreerd door het Kadaster. Gedetailleerde informatie over de maten van dit perceel kunt u vinden in het rapport Kadastrale kaart met maatvoering van Eineflecht 14.

De eigenaar van Eineflecht 14 is op te vragen op deze pagina

De informatie over dit adres is afkomstig uit officiële overheidsregistraties, voornamelijk de Basisregistratie Adressen en Gebouwen (BAG) en de Basisregistratie Kadaster (BRK). Deze gegevens worden beheerd door respectievelijk gemeenten en het Kadaster, en worden regelmatig bijgewerkt. Energielabelgegevens komen uit de database van de Rijksdienst voor Ondernemend Nederland (RVO).

Maatvoeringsrapport

Biedadvies

Loop uw droomhuis niet mis met ons biedadvies.
Loop uw droomhuis niet mis met ons biedadvies.
Maatvoeringsrapport

Bestel het adrespakket

Kom alles te weten over Eineflecht 14 met het adrespakket.
Kom alles te weten over Eineflecht 14 met het adrespakket.

360°-foto's van de omgeving

Google Street View
Upgrade nu voor 360° Street View foto's

Zon en schaduw rondom adres

Buurt
Beetsterzwaag-Hup strjitten
Inwoners: 290
Woningen: 120
Wijk
Beetsterzwaag
Inwoners: 3.720
Woningen: 1.994
Gemeente
Opsterland
Inwoners: 30.059
Woningen: 13.282