Product Functies Prijzen Meer

Adressen

Gebruik de zoekbalk of klik op een perceel voor informatie over de adressen binnen dit perceel.
Locatie
Meten
Lagen
Download

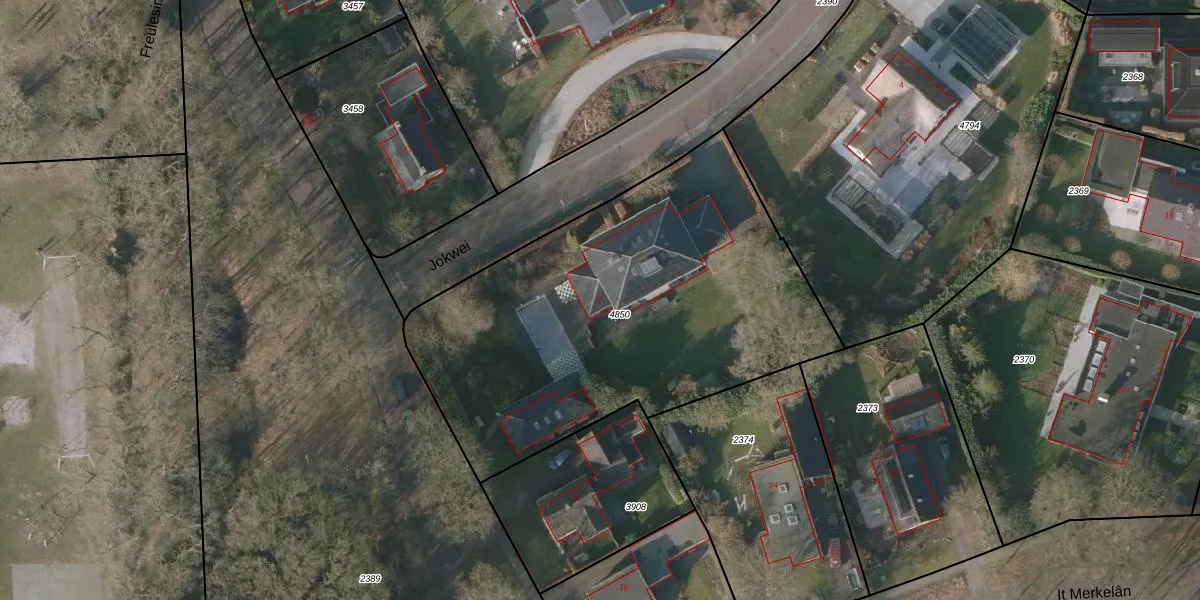
Jokwei 2

9244CV, Beetsterzwaag

1519312 Wat moet ik bieden voor deze woning?
407 m²
woonfunctie
2.215 m² perceeloppervlakte
?

Jokwei 2 is een adres in Beetsterzwaag, dat zich bevindt binnen de gemeentegrenzen van Beetsterzwaag en de grenzen van de provincie Friesland. Het object heeft een oppervlakte van 407 m², wat relatief groot is. Het perceel waarop het adres ligt is 2215 m² groot. De oppervlakte van dit adres is groot vergeleken met de oppervlaktes van andere adressen in de straat. De kleinste oppervlakte bedraagt er 141 m², de grootste 434 m². Het pand waarin Jokwei 2 ligt is gebouwd in het jaar 2007. Panden die gebouwd zijn na het jaar 1984 noemen we hier relatief nieuw. Vergeleken met de andere panden in de straat is dit gebouw nieuw. Het vroegste bouwjaar is er 1950 en het laatste is 2012. Voor het verblijfsobject gelden deze gebruiksdoelen: 'woonfunctie'.

Verkoopdata beschikbaar

Deze woning is voor het laatst verkocht op 1 mei 2006. Meer informatie over deze transactie? Bestel het Woningtransactierapport om de verkoopprijs en andere informatie te zien.

Perceel

Het adres ligt op het perceel BSZ00-B-4850, dat zich in de kadastrale gemeente Beetsterzwaag bevindt. De gemiddelde perceelgrootte in Beetsterzwaag is 1,0 ha. Dit perceel is kleiner: de perceeloppervlakte bedraagt 2215 m². Het kleinste perceel in de kadastrale gemeente is 0 m² groot. De grootste perceeloppervlakte is 65,5 ha. Dit is het enige adres dat aanwezig is op het perceel. De huidige grenzen van het perceel zijn digitaal in de Basisregistratie Kadaster (BRK) geregistreerd op 15-04-2021.

Energielabel en status

Er is geen energielabel geregistreerd voor het adres. Het hoogste energielabel in de straat is A; het laagste is G. Het gemiddelde energielabel is er C. Het adres Jokwei 2 heeft als status: 'verblijfsobject in gebruik'. Het pand waarin dit adres ligt heeft als status: 'pand in gebruik'.

Meer lezen

Adres

Gebruiksoppervlakte
407 m²
Bruto vloeroppervlakte
y7MPUR2pZUpgrade naar KadastraleKaart Pro
Gebruiksdoel(en)
Woonfunctie
Status
Verblijfsobject in gebruik
Type
Onbekend
Gasloos
4jAqpcv Upgrade naar KadastraleKaart Pro
Gebeurtenissen
Appartementsrechten
Aj2ldnmdAmf272A7 BUpgrade naar KadastraleKaart Pro
Eigenaar
Eigendomsinformatie 12,95
Adresinformatie bestellen
Adrespakket 34,95
VBO ID
0086010000392524
Woning laatst verkocht in
2006 -
Verkoopprijs opvragen 8,95

Pand

Bouwjaar pand
2007
Aantal adressen in dit gebouw
1 adres
Hoogte pand
4 rV76m5 4jIwcDK88yUpgrade naar KadastraleKaart Pro
Aantal bouwlagen (schatting)
e77X7tPUh 2G4Upgrade naar KadastraleKaart Pro
Volume
cs2edXT LboS5dy3YsUpgrade naar KadastraleKaart Pro
Oppervlakte dak
Gx4si1eqS9i Upgrade naar KadastraleKaart Pro
Oppervlakte buitenmuur
g hYJY4z CUpgrade naar KadastraleKaart Pro
Status pand
Pand in gebruik
Pand ID
0086100000355830

Perceel

Kadastrale aanduiding
Beetsterzwaag B 4850 (BSZ00 B 4850)
Oppervlakte
2.215 m²
Maatvoering
Kadastrale kaart met maatvoering 59,95
Omtrek
203 meter
Datum laatst gewijzigd
15/04/2021
Aantal adressen op perceel
1
Hoogte boven N.A.P.
6w qcIPd5e7Ta8pkgI Upgrade naar KadastraleKaart Pro

Veelgestelde vragen

Jokwei 2 is een adres gelegen in de gemeente Opsterland, provincie Friesland. Dit adres is geregistreerd in de Basisregistratie Adressen en Gebouwen (BAG) met als unieke identificatie 0086010000392524.

Het pand op Jokwei 2 is gebouwd in 2007, wat betekent dat het 19 jaar oud is. Dit is een relatief modern pand. Ten opzichte van de nationale woningvoorraad is het pand relatief modern, maar er kunnen enkele verouderde elementen zijn die aandacht nodig hebben.

De woning op Jokwei 2 heeft een gebruiksoppervlakte van 407 m². Dit is ruim vergeleken met de gemiddelde Nederlandse woning, die een oppervlakte heeft van ongeveer 119 m². De gebruiksoppervlakte is de maat die wordt gebruikt in de BAG-registratie, de landelijke registratie van de Nederlandse overheid.

Jokwei 2 heeft als functie: wonen. Deze gebruiksfunctie(s) zijn vastgelegd in de BAG-registratie en geven aan waarvoor het adres officieel mag worden gebruikt.

Jokwei 2 is gelegen op kadastraal perceel BSZ00B4850. Deze kadastrale aanduiding is uniek en wordt gebruikt door het Kadaster om eigendomsrechten en andere zakelijke rechten vast te leggen. Het perceel maakt onderdeel uit van de kadastrale gemeente Beetsterzwaag.

Het perceel waarop Jokwei 2 staat heeft een oppervlakte van 2215 m². Dit is een zeer groot perceel. De perceeloppervlakte wordt geregistreerd door het Kadaster. Gedetailleerde informatie over de maten van dit perceel kunt u vinden in het rapport Kadastrale kaart met maatvoering van Jokwei 2.

De eigenaar van Jokwei 2 is op te vragen op deze pagina.

De informatie over dit adres is afkomstig uit officiële overheidsregistraties, voornamelijk de Basisregistratie Adressen en Gebouwen (BAG) en de Basisregistratie Kadaster (BRK). Deze gegevens worden beheerd door respectievelijk gemeenten en het Kadaster, en worden regelmatig bijgewerkt. Energielabelgegevens komen uit de database van de Rijksdienst voor Ondernemend Nederland (RVO).

Maatvoeringsrapport

Wie is de eigenaar?

Bekijk de eigenaar van Jokwei 2 met de eigendomsinformatie.
Bekijk de eigenaar van dit adres.
Maatvoeringsrapport

Maatvoering van het perceel

Bestel de maatvoering voor Jokwei 2 met het maatvoeringsrapport.
Bestel de maatvoering voor dit adres.

360°-foto's van de omgeving

Google Street View
Upgrade nu voor 360° Street View foto's

Zon en schaduw rondom adres

Buurt
Beetsterzwaag-Merkelân
Inwoners: 645
Woningen: 335
Wijk
Beetsterzwaag
Inwoners: 3.720
Woningen: 1.994
Gemeente
Opsterland
Inwoners: 30.059
Woningen: 13.282