
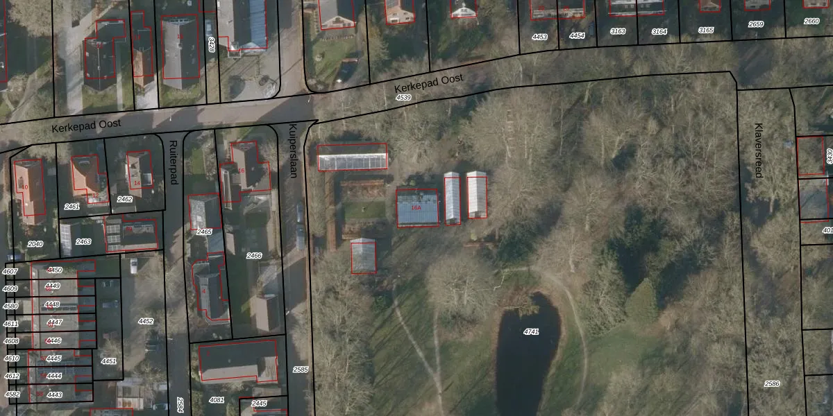
Het adres Kerkepad Oost 16-A bevindt zich in de plaats Beetsterzwaag, in de gemeente Beetsterzwaag en de provincie Friesland. Het perceel waarop het adres gelegen is heeft een oppervlakte van 1,2 ha. Het verblijfsobject is met 76 m² relatief klein. Dit is het kleinste object van de straat. De gemiddelde oppervlakte van verblijfsobjecten is er 200 m². De grootste oppervlakte in de straat is 795 m². Kerkepad Oost 16-A bevindt zich in een pand uit het jaar 1869. Daarmee behoort het tot de groep relatief oude panden in Nederland die gebouwd zijn vóór 1965. Het bouwjaar is oud vergeleken met dat van de andere panden in de straat. Het oudste bouwjaar is er 1858 en de nieuwste is 2000. Voor het verblijfsobject gelden deze gebruiksdoelen: 'industriefunctie'.
Het adres is gelegen op perceel 4741 in de sectie B en de kadastrale gemeente Beetsterzwaag. De kadastrale aanduiding is aldus BSZ00-B-4741. Het perceel is met 1,2 ha relatief groot. Het gemiddelde ligt in de kadastrale gemeente Beetsterzwaag op 1,0 ha. Het grootste perceel in de kadastrale gemeente is 65,5 ha. Het kleinste perceel heeft een oppervlakte van 0 m². Dit is het enige adres dat aanwezig is op het perceel. In de Basisregistratie Kadaster (BRK) werden de grenzen van het perceel geregistreerd op 26-07-2017.
Er is geen energielabel geregistreerd voor het adres. Het hoogste energielabel in de straat is A+; het laagste is G. Het gemiddelde energielabel is er D. Het adres Kerkepad Oost 16-A heeft als status: 'verblijfsobject in gebruik'. Het pand waarin dit adres ligt heeft als status: 'pand in gebruik'.
Kerkepad Oost 16-A is een adres gelegen in de gemeente Opsterland, provincie Friesland. Dit adres is geregistreerd in de Basisregistratie Adressen en Gebouwen (BAG) met als unieke identificatie 0086010000383611.
Het pand op Kerkepad Oost 16-A is gebouwd in 1869, wat betekent dat het 157 jaar oud is. Dit is een ouder pand. Het pand heeft mogelijk aanzienlijke renovaties nodig om aan de huidige standaarden te voldoen.
De woning op Kerkepad Oost 16-A heeft een gebruiksoppervlakte van 76 m². Dit is onder het gemiddelde vergeleken met de gemiddelde Nederlandse woning, die een oppervlakte heeft van ongeveer 119 m². De gebruiksoppervlakte is de maat die wordt gebruikt in de BAG-registratie, de landelijke registratie van de Nederlandse overheid.
Kerkepad Oost 16-A heeft als functie: industrie. Deze gebruiksfunctie(s) zijn vastgelegd in de BAG-registratie en geven aan waarvoor het adres officieel mag worden gebruikt.
Kerkepad Oost 16-A is gelegen op kadastraal perceel BSZ00B4741. Deze kadastrale aanduiding is uniek en wordt gebruikt door het Kadaster om eigendomsrechten en andere zakelijke rechten vast te leggen. Het perceel maakt onderdeel uit van de kadastrale gemeente Beetsterzwaag.
Het perceel waarop Kerkepad Oost 16-A staat heeft een oppervlakte van 1,2 ha. Dit is een zeer groot perceel. De perceeloppervlakte wordt geregistreerd door het Kadaster. Gedetailleerde informatie over de maten van dit perceel kunt u vinden in het rapport Kadastrale kaart met maatvoering van Kerkepad Oost 16-A.
De eigenaar van Kerkepad Oost 16-A is op te vragen op deze pagina.
De informatie over dit adres is afkomstig uit officiële overheidsregistraties, voornamelijk de Basisregistratie Adressen en Gebouwen (BAG) en de Basisregistratie Kadaster (BRK). Deze gegevens worden beheerd door respectievelijk gemeenten en het Kadaster, en worden regelmatig bijgewerkt. Energielabelgegevens komen uit de database van de Rijksdienst voor Ondernemend Nederland (RVO).
