
Het adres Zandsestraat 26-b-1 bevindt zich in de plaats Bemmel, in de gemeente Bemmel en de provincie Gelderland. Het verblijfsobject is vergeleken met het Nederlandse gemiddelde aan de kleine kant: de oppervlakte is 92 m². Het perceel waarop het adres zich bevindt heeft een oppervlakte van 1139 m². Het object is klein ten opzichte van de andere adressen in de straat. Het grootste verblijfsobject is 1040 m² groot en het kleinste is 65 m². Het pand waarin Zandsestraat 26-b-1 ligt is gebouwd in het jaar 2022. Panden die gebouwd zijn na het jaar 1984 noemen we hier relatief nieuw. Dit object is relatief nieuw in de straat. Het nieuwste gebouw komt er uit het jaar 2025 en het oudste uit het jaar 1680. Het verblijfsobject heeft de volgende gebruiksdoelen: 'woonfunctie'.
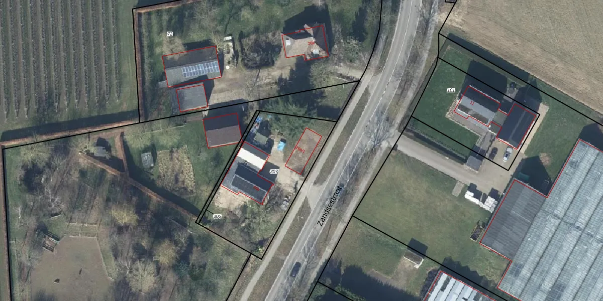
Het perceel waarop het adres ligt is RSN02-C-307. De afkorting 'RSN02' staat voor kadastrale gemeente Ressen. Het perceel is kleiner dan gemiddeld in Ressen. Het perceel is 1139 m² groot, terwijl het gemiddelde ligt op 7679,84 m². Het kleinste perceel in de kadastrale gemeente is 5 m² groot. De grootste perceeloppervlakte is 26,4 ha. Op het perceel liggen in totaal 2 adressen. In de Basisregistratie Kadaster (BRK) werden de grenzen van het perceel geregistreerd op 06-05-2022.
Er is geen energielabel geregistreerd voor het adres. Het hoogste energielabel in de straat is C; het laagste is G. Het gemiddelde energielabel is er F. Het adres Zandsestraat 26-b-1 heeft als status: 'verblijfsobject in gebruik'. Het pand waarin dit adres ligt heeft als status: 'pand in gebruik'.
Zandsestraat 26-b-1 is een adres gelegen in de gemeente Lingewaard, provincie Gelderland. Dit adres is geregistreerd in de Basisregistratie Adressen en Gebouwen (BAG) met als unieke identificatie 1705010000039361.
Het pand op Zandsestraat 26-b-1 is gebouwd in 2022, wat betekent dat het 4 jaar oud is. Dit is een vrij nieuw pand. Het pand is dus waarschijnlijk goed geïsoleerd, geluidsdicht en voldoet aan de huidige bouwstandaarden. Op korte termijn zijn er waarschijnlijk weinig onderhoudskosten.
De woning op Zandsestraat 26-b-1 heeft een gebruiksoppervlakte van 92 m². Dit is onder het gemiddelde vergeleken met de gemiddelde Nederlandse woning, die een oppervlakte heeft van ongeveer 119 m². De gebruiksoppervlakte is de maat die wordt gebruikt in de BAG-registratie, de landelijke registratie van de Nederlandse overheid.
Zandsestraat 26-b-1 heeft als functie: wonen. Deze gebruiksfunctie(s) zijn vastgelegd in de BAG-registratie en geven aan waarvoor het adres officieel mag worden gebruikt.
Zandsestraat 26-b-1 is gelegen op kadastraal perceel RSN02C307. Deze kadastrale aanduiding is uniek en wordt gebruikt door het Kadaster om eigendomsrechten en andere zakelijke rechten vast te leggen. Het perceel maakt onderdeel uit van de kadastrale gemeente Ressen.
Het perceel waarop Zandsestraat 26-b-1 staat heeft een oppervlakte van 1139 m². Dit is een zeer groot perceel. De perceeloppervlakte wordt geregistreerd door het Kadaster. Gedetailleerde informatie over de maten van dit perceel kunt u vinden in het rapport Kadastrale kaart met maatvoering van Zandsestraat 26-b-1.
De eigenaar van Zandsestraat 26-b-1 is op te vragen op deze pagina.
De informatie over dit adres is afkomstig uit officiële overheidsregistraties, voornamelijk de Basisregistratie Adressen en Gebouwen (BAG) en de Basisregistratie Kadaster (BRK). Deze gegevens worden beheerd door respectievelijk gemeenten en het Kadaster, en worden regelmatig bijgewerkt. Energielabelgegevens komen uit de database van de Rijksdienst voor Ondernemend Nederland (RVO).
