Product Functies Prijzen Meer

Adressen

Gebruik de zoekbalk of klik op een perceel voor informatie over de adressen binnen dit perceel.
Locatie
Meten
Lagen
Download

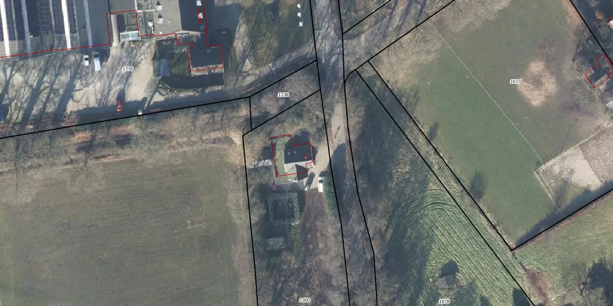
Bovenbuurtweg 52

6721MN, Bennekom

€ 1519312 Wat moet ik bieden voor deze woning?
169 m²
woonfunctie
2.765 m² perceeloppervlakte
G

Bovenbuurtweg 52 is gelegen in de plaats Bennekom, de gemeente Ede en de provincie Gelderland. Het object heeft een oppervlakte van 169 m², wat relatief groot is. Het perceel waarop het adres ligt is 2765 m² groot. Het adres is klein vergeleken met andere objecten in de straat. Het grootste object in de straat heeft een oppervlakte van 3212 m², het kleinste is 30 m² groot. Het gebouw waarin Bovenbuurtweg 52 ligt komt uit het jaar 1927. Objecten die gebouwd zijn vóór 1965 classificeren we hier als oud. Het bouwjaar is oud vergeleken met dat van de andere panden in de straat. Het oudste bouwjaar is er 1830 en de nieuwste is 2020. De volgende gebruiksdoelen zijn geregistreerd voor dit adres: 'woonfunctie'.

Perceel

Het adres ligt op het perceel BNK01-C-2300, dat zich in de kadastrale gemeente Bennekom bevindt. Het perceel is 2765 m² groot. Dat is kleiner dan de gemiddelde perceeloppervlakte in Bennekom, dat op 3163,91 m² ligt. Het kleinste perceel in de kadastrale gemeente is 0 m² groot. De grootste perceeloppervlakte is 63,3 ha. Dit is het enige adres dat aanwezig is op het perceel. De laatste wijziging in het de Basisregistratie Kadaster (BRK) was op 27-03-2024.

Energielabel en status

Het adres ligt in een gebouw van het type 'vrijstaande woning'. Bij de laatste meting is voor het adres het energielabel G geregistreerd. Het hoogste energielabel in de straat is A+; het laagste is G. Het gemiddelde energielabel is er D. Het adres Bovenbuurtweg 52 heeft als status: 'verblijfsobject in gebruik'. Het pand waarin dit adres ligt heeft als status: 'pand in gebruik'.

Meer lezen

Adres

Gebruiksoppervlakte
169 m²
Bruto vloeroppervlakte
ojNJFsyneNMUpgrade naar KadastraleKaart Pro
Gebruiksdoel(en)
Woonfunctie
Status
Verblijfsobject in gebruik
Type
Vrijstaande woning
Gasloos
atvpI1cd3h8zcbk1 Upgrade naar KadastraleKaart Pro
Gebeurtenissen
Appartementsrechten
TOuACX0UwNdN Ai ancn25Upgrade naar KadastraleKaart Pro
Eigenaar
Eigendomsinformatie 12,95
Adresinformatie bestellen
Adrespakket 34,95
VBO ID
0228010000000430

Pand

Bouwjaar pand
1927
Aantal adressen in dit gebouw
1 adres
Hoogte pand
Wl L1W9PcZ f2 F PrbjUpgrade naar KadastraleKaart Pro
Aantal bouwlagen (schatting)
Wiu9FtypUoMu7b24PxUpgrade naar KadastraleKaart Pro
Volume
tpQWy8KM1aVNE4 XsD4vUpgrade naar KadastraleKaart Pro
Oppervlakte dak
oN3joFF4G807zrSb34yUpgrade naar KadastraleKaart Pro
Oppervlakte buitenmuur
xtWgAieHUpgrade naar KadastraleKaart Pro
Status pand
Pand in gebruik
Pand ID
0228100000016087

Perceel Toon alle percelen   Pro

Kadastrale aanduiding
Bennekom C 2300 (BNK01 C 2300)
Oppervlakte
2.765 m²
Maatvoering
Kadastrale kaart met maatvoering 59,95
Omtrek
248 meter
Datum laatst gewijzigd
27/03/2024
Aantal adressen op perceel
1
Hoogte boven N.A.P.
SHGYNM rF TXAl KriUpgrade naar KadastraleKaart Pro

Veelgestelde vragen

Bovenbuurtweg 52 is een adres gelegen in de gemeente Ede, provincie Gelderland. Dit adres is geregistreerd in de Basisregistratie Adressen en Gebouwen (BAG) met als unieke identificatie 0228010000000430.

Het pand op Bovenbuurtweg 52 is gebouwd in 1927, wat betekent dat het 99 jaar oud is. Dit is een ouder pand. Het pand heeft mogelijk aanzienlijke renovaties nodig om aan de huidige standaarden te voldoen.

De woning op Bovenbuurtweg 52 heeft een gebruiksoppervlakte van 169 m². Dit is ruim vergeleken met de gemiddelde Nederlandse woning, die een oppervlakte heeft van ongeveer 119 m². De gebruiksoppervlakte is de maat die wordt gebruikt in de BAG-registratie, de landelijke registratie van de Nederlandse overheid.

Bovenbuurtweg 52 heeft als functie: wonen. Deze gebruiksfunctie(s) zijn vastgelegd in de BAG-registratie en geven aan waarvoor het adres officieel mag worden gebruikt.

Bovenbuurtweg 52 is gelegen op kadastraal perceel BNK01C2300. Deze kadastrale aanduiding is uniek en wordt gebruikt door het Kadaster om eigendomsrechten en andere zakelijke rechten vast te leggen. Het perceel maakt onderdeel uit van de kadastrale gemeente Bennekom.

Het perceel waarop Bovenbuurtweg 52 staat heeft een oppervlakte van 2765 m². Dit is een zeer groot perceel. De perceeloppervlakte wordt geregistreerd door het Kadaster. Gedetailleerde informatie over de maten van dit perceel kunt u vinden in het rapport Kadastrale kaart met maatvoering van Bovenbuurtweg 52.

De eigenaar van Bovenbuurtweg 52 is op te vragen op deze pagina

De informatie over dit adres is afkomstig uit officiële overheidsregistraties, voornamelijk de Basisregistratie Adressen en Gebouwen (BAG) en de Basisregistratie Kadaster (BRK). Deze gegevens worden beheerd door respectievelijk gemeenten en het Kadaster, en worden regelmatig bijgewerkt. Energielabelgegevens komen uit de database van de Rijksdienst voor Ondernemend Nederland (RVO).

Maatvoeringsrapport

Biedadvies

Loop uw droomhuis niet mis met ons biedadvies.
Loop uw droomhuis niet mis met ons biedadvies.
Maatvoeringsrapport

Bestel het adrespakket

Kom alles te weten over Bovenbuurtweg 52 met het adrespakket.
Kom alles te weten over Bovenbuurtweg 52 met het adrespakket.

360°-foto's van de omgeving

Google Street View
Upgrade nu voor 360° Street View foto's

Zon en schaduw rondom adres

Buurt
Halderbrink
Inwoners: 4.280
Woningen: 1.923
Wijk
Bennekom
Inwoners: 15.215
Woningen: 6.762
Gemeente
Ede
Inwoners: 123.532
Woningen: 50.743