
Het adres Mendellaan 1 bevindt zich in de plaats Bennekom, in de gemeente Bennekom en de provincie Gelderland. Het perceel waarop het verblijfsobject staat is 1123 m² groot. De oppervlakte van het adres is 132 m², wat zich rond het Nederlandse gemiddelde van 119 m² bevindt. Er zijn geen kleinere objecten in deze straat. De gemiddelde oppervlakte is er 189 m². Het grootste verblijfsobject is 308 m². In Nederland komt het grootste deel van de gebouwen uit de periode 1965-1984. Ook het bouwjaar van Mendellaan 1 is afkomstig uit die periode: het betreft namelijk een pand uit 1967. In de straat komt het nieuwste gebouw uit het jaar 2012 en het oudste uit 1964. Het bouwjaar van dit object is relatief oud. Voor het verblijfsobject gelden deze gebruiksdoelen: 'woonfunctie'.
Deze woning is voor het laatst verkocht op 1 juni 2023. Meer informatie over deze transactie? Bestel het Woningtransactierapport om de verkoopprijs en andere informatie te zien.
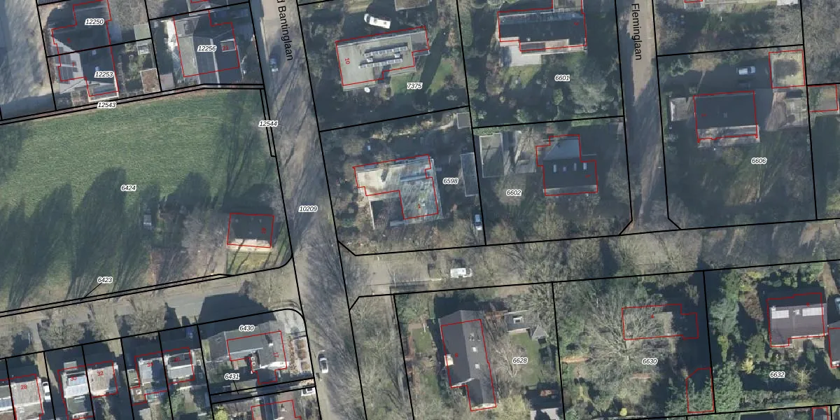
Het adres ligt op het perceel BNK01-E-6598, dat zich in de kadastrale gemeente Bennekom bevindt. De gemiddelde perceelgrootte in Bennekom is 3163,51 m². Dit perceel is kleiner: de perceeloppervlakte bedraagt 1123 m². Het grootste perceel in de kadastrale gemeente is 63,3 ha. Het kleinste perceel heeft een oppervlakte van 0 m². Er zijn geen andere adressen aanwezig op het perceel. In de Basisregistratie Kadaster (BRK) werden de grenzen van het perceel geregistreerd op 10-10-2002.
Het adres ligt in een gebouw van het type 'vrijstaande woning'. Bij de laatste meting is voor het adres het energielabel D geregistreerd. Het hoogste energielabel in de straat is A; het laagste is G. Het gemiddelde energielabel is er B. Het adres Mendellaan 1 heeft als status: 'verblijfsobject in gebruik'. Het pand waarin dit adres ligt heeft als status: 'pand in gebruik'.
Mendellaan 1 is een adres gelegen in de gemeente Ede, provincie Gelderland. Dit adres is geregistreerd in de Basisregistratie Adressen en Gebouwen (BAG) met als unieke identificatie 0228010000002713.
Het pand op Mendellaan 1 is gebouwd in 1967, wat betekent dat het 59 jaar oud is. Dit is een ouder pand. Het pand heeft mogelijk aanzienlijke renovaties nodig om aan de huidige standaarden te voldoen.
De woning op Mendellaan 1 heeft een gebruiksoppervlakte van 132 m². Dit is gemiddeld vergeleken met de gemiddelde Nederlandse woning, die een oppervlakte heeft van ongeveer 119 m². De gebruiksoppervlakte is de maat die wordt gebruikt in de BAG-registratie, de landelijke registratie van de Nederlandse overheid.
Mendellaan 1 heeft als functie: wonen. Deze gebruiksfunctie(s) zijn vastgelegd in de BAG-registratie en geven aan waarvoor het adres officieel mag worden gebruikt.
Mendellaan 1 is gelegen op kadastraal perceel BNK01E6598. Deze kadastrale aanduiding is uniek en wordt gebruikt door het Kadaster om eigendomsrechten en andere zakelijke rechten vast te leggen. Het perceel maakt onderdeel uit van de kadastrale gemeente Bennekom.
Het perceel waarop Mendellaan 1 staat heeft een oppervlakte van 1123 m². Dit is een zeer groot perceel. De perceeloppervlakte wordt geregistreerd door het Kadaster. Gedetailleerde informatie over de maten van dit perceel kunt u vinden in het rapport Kadastrale kaart met maatvoering van Mendellaan 1.
De eigenaar van Mendellaan 1 is op te vragen op deze pagina.
De informatie over dit adres is afkomstig uit officiële overheidsregistraties, voornamelijk de Basisregistratie Adressen en Gebouwen (BAG) en de Basisregistratie Kadaster (BRK). Deze gegevens worden beheerd door respectievelijk gemeenten en het Kadaster, en worden regelmatig bijgewerkt. Energielabelgegevens komen uit de database van de Rijksdienst voor Ondernemend Nederland (RVO).
