
Saxenrodeweg 38 is een adres in Bentveld, dat zich bevindt binnen de gemeentegrenzen van Bentveld en de grenzen van de provincie Noord-Holland. Het verblijfsobject is 111 m² groot en bevindt zich op een perceel met een oppervlakte van 3565 m². Gemiddeld hebben adressen in Nederland een oppervlakte van 119 m². De oppervlakte van dit adres is groot vergeleken met de oppervlaktes van andere adressen in de straat. De kleinste oppervlakte bedraagt er 12 m², de grootste 318 m². In Nederland komt het grootste deel van de gebouwen uit de periode 1965-1984. Ook het bouwjaar van Saxenrodeweg 38 is afkomstig uit die periode: het betreft namelijk een pand uit 1970. Vergeleken met de andere panden in de straat is dit gebouw nieuw. Het vroegste bouwjaar is er 1966 en het laatste is 1998. De volgende gebruiksdoelen zijn geregistreerd voor dit adres: 'woonfunctie'.
Deze woning is voor het laatst verkocht op 1 december 2014. Meer informatie over deze transactie? Bestel het Woningtransactierapport om de verkoopprijs en andere informatie te zien.
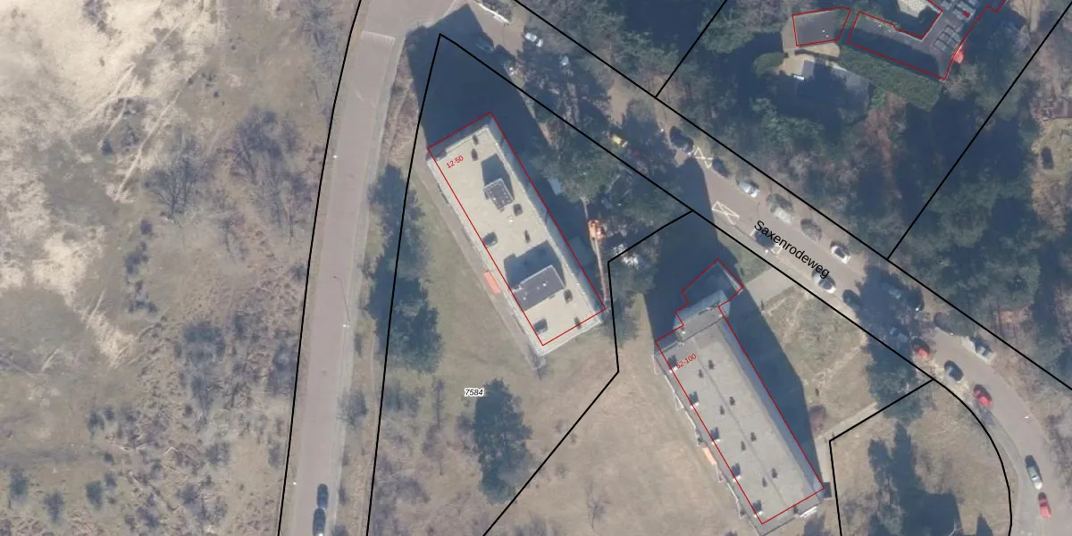
Het adres ligt op het perceel ZVT00-B-7584, dat zich in de kadastrale gemeente Zandvoort bevindt. Het perceel is 3565 m² groot. Dat is kleiner dan de gemiddelde perceeloppervlakte in Zandvoort, dat op 6695,71 m² ligt. Het grootste perceel in de kadastrale gemeente is 10,69 km². Het kleinste perceel heeft een oppervlakte van 0 m². Er zijn 19 adressen aanwezig op het perceel. De huidige grenzen van het perceel zijn digitaal in de Basisregistratie Kadaster (BRK) geregistreerd op 11-03-1999.
Er is geen energielabel geregistreerd voor het adres. Het hoogste energielabel in de straat is A; het laagste is G. Het gemiddelde energielabel is er D. Het adres Saxenrodeweg 38 heeft als status: 'verblijfsobject in gebruik'. Het pand waarin dit adres ligt heeft als status: 'pand in gebruik'.
Saxenrodeweg 38 is een adres gelegen in de gemeente Zandvoort, provincie Noord-Holland. Dit adres is geregistreerd in de Basisregistratie Adressen en Gebouwen (BAG) met als unieke identificatie 0473010000000015.
Het pand op Saxenrodeweg 38 is gebouwd in 1970, wat betekent dat het 56 jaar oud is. Dit is een ouder pand. Het pand heeft mogelijk aanzienlijke renovaties nodig om aan de huidige standaarden te voldoen.
De woning op Saxenrodeweg 38 heeft een gebruiksoppervlakte van 111 m². Dit is onder het gemiddelde vergeleken met de gemiddelde Nederlandse woning, die een oppervlakte heeft van ongeveer 119 m². De gebruiksoppervlakte is de maat die wordt gebruikt in de BAG-registratie, de landelijke registratie van de Nederlandse overheid.
Saxenrodeweg 38 heeft als functie: wonen. Deze gebruiksfunctie(s) zijn vastgelegd in de BAG-registratie en geven aan waarvoor het adres officieel mag worden gebruikt.
Saxenrodeweg 38 is gelegen op kadastraal perceel ZVT00B7584. Deze kadastrale aanduiding is uniek en wordt gebruikt door het Kadaster om eigendomsrechten en andere zakelijke rechten vast te leggen. Het perceel maakt onderdeel uit van de kadastrale gemeente Zandvoort.
Het perceel waarop Saxenrodeweg 38 staat heeft een oppervlakte van 3565 m². Dit is een zeer groot perceel. De perceeloppervlakte wordt geregistreerd door het Kadaster. Gedetailleerde informatie over de maten van dit perceel kunt u vinden in het rapport Kadastrale kaart met maatvoering van Saxenrodeweg 38.
De eigenaar van Saxenrodeweg 38 is op te vragen op deze pagina.
De informatie over dit adres is afkomstig uit officiële overheidsregistraties, voornamelijk de Basisregistratie Adressen en Gebouwen (BAG) en de Basisregistratie Kadaster (BRK). Deze gegevens worden beheerd door respectievelijk gemeenten en het Kadaster, en worden regelmatig bijgewerkt. Energielabelgegevens komen uit de database van de Rijksdienst voor Ondernemend Nederland (RVO).
