
Klappeijenpad 8 is gelegen in de plaats Berg en Dal, de gemeente Berg en Dal en de provincie Gelderland. De oppervlakte van het adres is 116 m². Dat is vergelijkbaar met het gemiddelde Nederlandse oppervlakte van 119 m². De oppervlakte van het perceel waarin het adres ligt is 584 m². Het adres is klein vergeleken met andere objecten in de straat. Het grootste object in de straat heeft een oppervlakte van 340 m², het kleinste is 92 m² groot. Klappeijenpad 8 bevindt zich in een pand uit het jaar 1923. Daarmee behoort het tot de groep relatief oude panden in Nederland die gebouwd zijn vóór 1965. Gemiddeld zijn de gebouwen in de straat gebouwd in 1937. Dit is het oudste pand in de straat. Het meest recente komt uit het jaar 2014. De volgende gebruiksdoelen zijn geregistreerd voor dit adres: 'woonfunctie'.
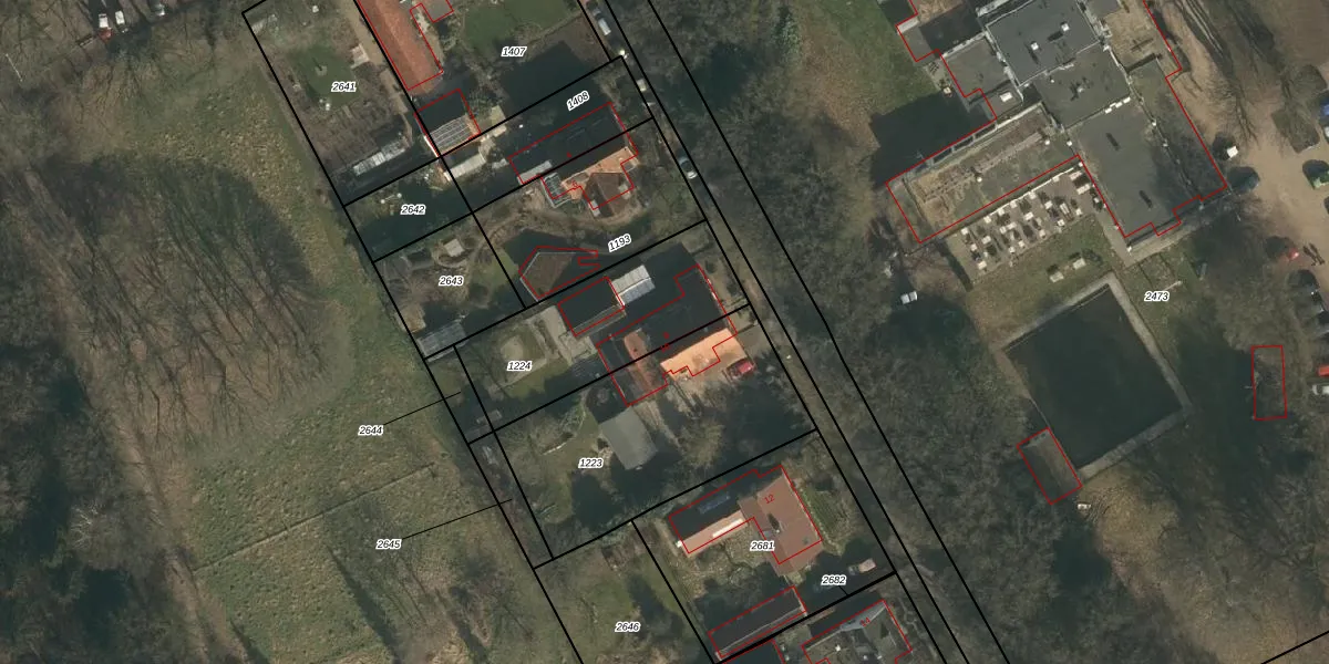
Het adres ligt op het perceel GBK00-H-1224, dat zich in de kadastrale gemeente Groesbeek bevindt. Het perceel is 584 m² groot. Dat is kleiner dan de gemiddelde perceeloppervlakte in Groesbeek, dat op 4188,24 m² ligt. Het grootste perceel in de kadastrale gemeente is 99,9 ha. Het kleinste perceel heeft een oppervlakte van 0 m². Op het perceel bevinden zich geen andere adressen. De laatste wijziging in het de Basisregistratie Kadaster (BRK) was op 16-11-2009.
Het adres ligt in een gebouw van het type 'twee-onder-een-kap / rijwoning hoek met het subtype twee-onder-een-kap'. Bij de laatste meting is voor het adres het energielabel C geregistreerd. Het hoogste energielabel in de straat is A; het laagste is G. Het gemiddelde energielabel is er B. Het adres Klappeijenpad 8 heeft als status: 'verblijfsobject in gebruik'. Het pand waarin dit adres ligt heeft als status: 'pand in gebruik'.
Klappeijenpad 8 is een adres gelegen in de gemeente Berg en Dal, provincie Gelderland. Dit adres is geregistreerd in de Basisregistratie Adressen en Gebouwen (BAG) met als unieke identificatie 0241010000005727.
Het pand op Klappeijenpad 8 is gebouwd in 1923, wat betekent dat het 103 jaar oud is. Dit is een ouder pand. Het pand heeft mogelijk aanzienlijke renovaties nodig om aan de huidige standaarden te voldoen.
De woning op Klappeijenpad 8 heeft een gebruiksoppervlakte van 116 m². Dit is onder het gemiddelde vergeleken met de gemiddelde Nederlandse woning, die een oppervlakte heeft van ongeveer 119 m². De gebruiksoppervlakte is de maat die wordt gebruikt in de BAG-registratie, de landelijke registratie van de Nederlandse overheid.
Klappeijenpad 8 heeft als functie: wonen. Deze gebruiksfunctie(s) zijn vastgelegd in de BAG-registratie en geven aan waarvoor het adres officieel mag worden gebruikt.
Klappeijenpad 8 is gelegen op kadastraal perceel GBK00H1224. Deze kadastrale aanduiding is uniek en wordt gebruikt door het Kadaster om eigendomsrechten en andere zakelijke rechten vast te leggen. Het perceel maakt onderdeel uit van de kadastrale gemeente Groesbeek.
Het perceel waarop Klappeijenpad 8 staat heeft een oppervlakte van 584 m². Dit is een groot perceel. De perceeloppervlakte wordt geregistreerd door het Kadaster. Gedetailleerde informatie over de maten van dit perceel kunt u vinden in het rapport Kadastrale kaart met maatvoering van Klappeijenpad 8.
De eigenaar van Klappeijenpad 8 is op te vragen op deze pagina.
De informatie over dit adres is afkomstig uit officiële overheidsregistraties, voornamelijk de Basisregistratie Adressen en Gebouwen (BAG) en de Basisregistratie Kadaster (BRK). Deze gegevens worden beheerd door respectievelijk gemeenten en het Kadaster, en worden regelmatig bijgewerkt. Energielabelgegevens komen uit de database van de Rijksdienst voor Ondernemend Nederland (RVO).
