
Dilgaard 13 is gelegen in de plaats Berg en Terblijt, de gemeente Valkenburg aan de Geul en de provincie Limburg. De oppervlakte van het adres is 117 m². Dat is vergelijkbaar met het gemiddelde Nederlandse oppervlakte van 119 m². De oppervlakte van het perceel waarin het adres ligt is 1865 m². Dit is het grootste verblijfsobject. Gemiddeld hebben de objecten in de straat een oppervlakte van 106 m². Het kleinste verblijfsobject is er 94 m². In het jaar 1999 is het pand waarin Dilgaard 13 ligt gebouwd. Dat is relatief recent: de meeste gebouwen in Nederland zijn gebouwd in de periode 1965-1984. Dit pand is het meest recent exemplaar in de straat. Het oudste object komt er uit 1999 en het gemiddelde bouwjaar is 1999. De volgende gebruiksdoelen zijn geregistreerd voor dit adres: 'woonfunctie'.
Deze woning is voor het laatst verkocht op 1 juni 2016. Meer informatie over deze transactie? Bestel het Woningtransactierapport om de verkoopprijs en andere informatie te zien.
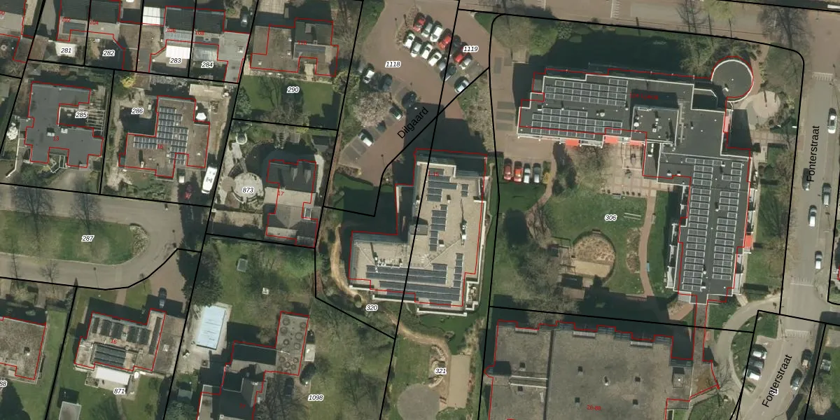
Het adres is gelegen op perceel 321 in de sectie R en de kadastrale gemeente Valkenburg Limburg. De kadastrale aanduiding is aldus VKB01-R-321. Het perceel is 1865 m² groot. Dat is kleiner dan de gemiddelde perceeloppervlakte in Valkenburg Limburg, dat op 4375,31 m² ligt. De grootste perceeloppervlakte in de kadastrale gemeente is 24,6 ha. De kleinste oppervlakte bedraagt 0 m². Op het perceel liggen in totaal 13 adressen. De laatste wijziging in het de Basisregistratie Kadaster (BRK) was op 19-09-2008.
Het adres ligt in een gebouw van het type 'flatwoning (overig) met het subtype hoekdak'. Bij de laatste meting is voor het adres het energielabel B geregistreerd. Het hoogste energielabel in de straat is A; het laagste is G. Het gemiddelde energielabel is er B. Het adres Dilgaard 13 heeft als status: 'verblijfsobject in gebruik'. Het pand waarin dit adres ligt heeft als status: 'pand in gebruik'.
Dilgaard 13 is een adres gelegen in de gemeente Valkenburg aan de Geul, provincie Limburg. Dit adres is geregistreerd in de Basisregistratie Adressen en Gebouwen (BAG) met als unieke identificatie 0994010002021785.
Het pand op Dilgaard 13 is gebouwd in 1999, wat betekent dat het 27 jaar oud is. Dit is een pand van middelbare leeftijd. Het pand is van gemiddelde leeftijd en zal waarschijnlijk verouderde elementen bevatten.
De woning op Dilgaard 13 heeft een gebruiksoppervlakte van 117 m². Dit is onder het gemiddelde vergeleken met de gemiddelde Nederlandse woning, die een oppervlakte heeft van ongeveer 119 m². De gebruiksoppervlakte is de maat die wordt gebruikt in de BAG-registratie, de landelijke registratie van de Nederlandse overheid.
Dilgaard 13 heeft als functie: wonen. Deze gebruiksfunctie(s) zijn vastgelegd in de BAG-registratie en geven aan waarvoor het adres officieel mag worden gebruikt.
Dilgaard 13 is gelegen op kadastraal perceel VKB01R321. Deze kadastrale aanduiding is uniek en wordt gebruikt door het Kadaster om eigendomsrechten en andere zakelijke rechten vast te leggen. Het perceel maakt onderdeel uit van de kadastrale gemeente Valkenburg Limburg.
Het perceel waarop Dilgaard 13 staat heeft een oppervlakte van 1865 m². Dit is een zeer groot perceel. De perceeloppervlakte wordt geregistreerd door het Kadaster. Gedetailleerde informatie over de maten van dit perceel kunt u vinden in het rapport Kadastrale kaart met maatvoering van Dilgaard 13.
De eigenaar van Dilgaard 13 is op te vragen op deze pagina.
De informatie over dit adres is afkomstig uit officiële overheidsregistraties, voornamelijk de Basisregistratie Adressen en Gebouwen (BAG) en de Basisregistratie Kadaster (BRK). Deze gegevens worden beheerd door respectievelijk gemeenten en het Kadaster, en worden regelmatig bijgewerkt. Energielabelgegevens komen uit de database van de Rijksdienst voor Ondernemend Nederland (RVO).
