
Den Bommelaer 8 is gelegen in de plaats Bergeijk, de gemeente Bergeijk en de provincie Noord-Brabant. De oppervlakte bedraagt 256 m², waarmee het adres groter dan gemiddeld is. De grootte van het perceel waarop het adres ligt is 695 m². De oppervlakte van dit adres is groot vergeleken met de oppervlaktes van andere adressen in de straat. De kleinste oppervlakte bedraagt er 116 m², de grootste 295 m². In het jaar 2001 is het pand waarin Den Bommelaer 8 ligt gebouwd. Dat is relatief recent: de meeste gebouwen in Nederland zijn gebouwd in de periode 1965-1984. In de straat is dit het nieuwste pand en stamt het oudste object uit het jaar 1995. Het gemiddelde bouwjaar in de straat is 1999. De volgende gebruiksdoelen zijn geregistreerd voor dit adres: 'woonfunctie'.
Deze woning is voor het laatst verkocht op 1 oktober 2016. Meer informatie over deze transactie? Bestel het Woningtransactierapport om de verkoopprijs en andere informatie te zien.
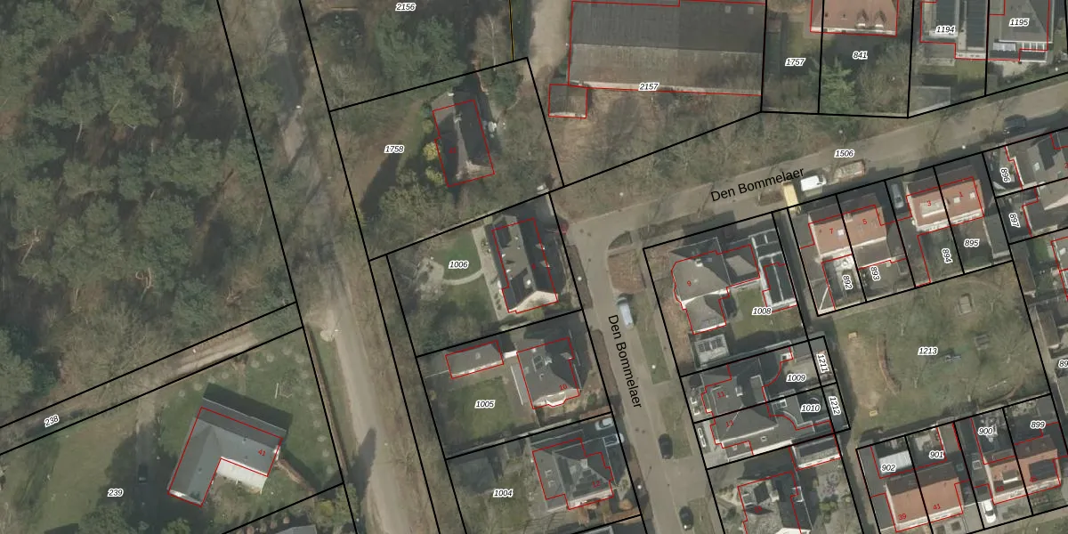
Het adres ligt op het perceel BEK00-I-1006, dat zich in de kadastrale gemeente Bergeijk bevindt. Het perceel is 695 m² groot. Dat is kleiner dan de gemiddelde perceeloppervlakte in Bergeijk, dat op 6103,1 m² ligt. De grootste perceeloppervlakte in de kadastrale gemeente is 2,07 km². De kleinste oppervlakte bedraagt 0 m². Er zijn geen andere adressen aanwezig op het perceel. De laatste wijziging in het de Basisregistratie Kadaster (BRK) was op 15-09-2010.
Er is geen energielabel geregistreerd voor het adres. Het hoogste energielabel in de straat is A; het laagste is G. Het gemiddelde energielabel is er A. Het adres Den Bommelaer 8 heeft als status: 'verblijfsobject in gebruik'. Het pand waarin dit adres ligt heeft als status: 'pand in gebruik'.
Den Bommelaer 8 is een adres gelegen in de gemeente Bergeijk, provincie Noord-Brabant. Dit adres is geregistreerd in de Basisregistratie Adressen en Gebouwen (BAG) met als unieke identificatie 1724010000001580.
Het pand op Den Bommelaer 8 is gebouwd in 2001, wat betekent dat het 25 jaar oud is. Dit is een pand van middelbare leeftijd. Het pand is van gemiddelde leeftijd en zal waarschijnlijk verouderde elementen bevatten.
De woning op Den Bommelaer 8 heeft een gebruiksoppervlakte van 256 m². Dit is ruim vergeleken met de gemiddelde Nederlandse woning, die een oppervlakte heeft van ongeveer 119 m². De gebruiksoppervlakte is de maat die wordt gebruikt in de BAG-registratie, de landelijke registratie van de Nederlandse overheid.
Den Bommelaer 8 heeft als functie: wonen. Deze gebruiksfunctie(s) zijn vastgelegd in de BAG-registratie en geven aan waarvoor het adres officieel mag worden gebruikt.
Den Bommelaer 8 is gelegen op kadastraal perceel BEK00I1006. Deze kadastrale aanduiding is uniek en wordt gebruikt door het Kadaster om eigendomsrechten en andere zakelijke rechten vast te leggen. Het perceel maakt onderdeel uit van de kadastrale gemeente Bergeijk.
Het perceel waarop Den Bommelaer 8 staat heeft een oppervlakte van 695 m². Dit is een groot perceel. De perceeloppervlakte wordt geregistreerd door het Kadaster. Gedetailleerde informatie over de maten van dit perceel kunt u vinden in het rapport Kadastrale kaart met maatvoering van Den Bommelaer 8.
De eigenaar van Den Bommelaer 8 is op te vragen op deze pagina.
De informatie over dit adres is afkomstig uit officiële overheidsregistraties, voornamelijk de Basisregistratie Adressen en Gebouwen (BAG) en de Basisregistratie Kadaster (BRK). Deze gegevens worden beheerd door respectievelijk gemeenten en het Kadaster, en worden regelmatig bijgewerkt. Energielabelgegevens komen uit de database van de Rijksdienst voor Ondernemend Nederland (RVO).
