
Het adres Eerselsedijk 2-a-02 bevindt zich in de plaats Bergeijk, in de gemeente Bergeijk en de provincie Noord-Brabant. Het verblijfsobject is vergeleken met het Nederlandse gemiddelde aan de kleine kant: de oppervlakte is 27 m². Het perceel waarop het adres zich bevindt heeft een oppervlakte van 3205 m². Het adres is klein vergeleken met andere objecten in de straat. Het grootste object in de straat heeft een oppervlakte van 1995 m², het kleinste is 14 m² groot. In Nederland komt het grootste deel van de gebouwen uit de periode 1965-1984. Ook het bouwjaar van Eerselsedijk 2-a-02 is afkomstig uit die periode: het betreft namelijk een pand uit 1981. Dit object is relatief nieuw in de straat. Het nieuwste gebouw komt er uit het jaar 2024 en het oudste uit het jaar 1903. De volgende gebruiksdoelen zijn geregistreerd voor dit adres: 'woonfunctie'.
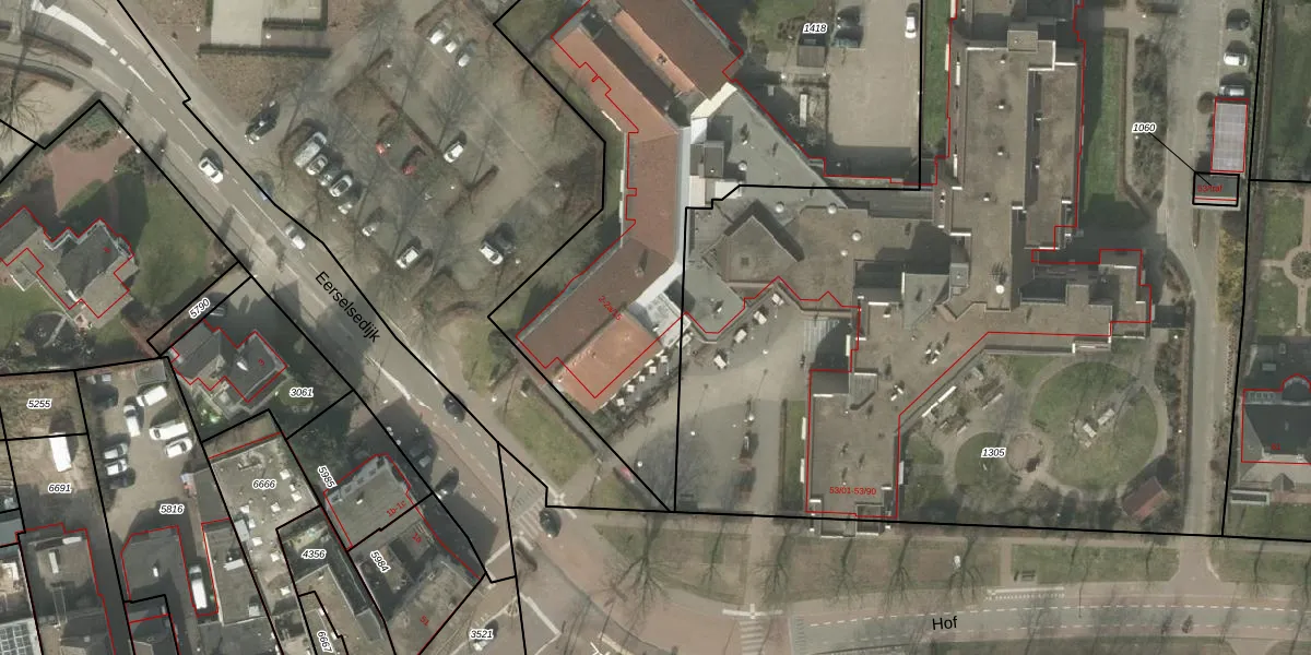
Het adres ligt op het perceel BEK00-A-1418, dat zich in de kadastrale gemeente Bergeijk bevindt. Het perceel is 3205 m² groot. Dat is kleiner dan de gemiddelde perceeloppervlakte in Bergeijk, dat op 6106,02 m² ligt. Het grootste perceel in de kadastrale gemeente is 2,07 km². Het kleinste perceel heeft een oppervlakte van 0 m². Op het perceel liggen in totaal 26 adressen. In de Basisregistratie Kadaster (BRK) werden de grenzen van het perceel geregistreerd op 10-03-2011.
Er is geen energielabel geregistreerd voor het adres. Het hoogste energielabel in de straat is A++++; het laagste is G. Het gemiddelde energielabel is er B. Het adres Eerselsedijk 2-a-02 heeft als status: 'verblijfsobject in gebruik'. Het pand waarin dit adres ligt heeft als status: 'pand in gebruik'.
Eerselsedijk 2-a-02 is een adres gelegen in de gemeente Bergeijk, provincie Noord-Brabant. Dit adres is geregistreerd in de Basisregistratie Adressen en Gebouwen (BAG) met als unieke identificatie 1724010000010384.
Het pand op Eerselsedijk 2-a-02 is gebouwd in 1981, wat betekent dat het 45 jaar oud is. Dit is een pand van middelbare leeftijd. Het pand is van gemiddelde leeftijd en zal waarschijnlijk verouderde elementen bevatten.
De woning op Eerselsedijk 2-a-02 heeft een gebruiksoppervlakte van 27 m². Dit is relatief klein vergeleken met de gemiddelde Nederlandse woning, die een oppervlakte heeft van ongeveer 119 m². De gebruiksoppervlakte is de maat die wordt gebruikt in de BAG-registratie, de landelijke registratie van de Nederlandse overheid.
Eerselsedijk 2-a-02 heeft als functie: wonen. Deze gebruiksfunctie(s) zijn vastgelegd in de BAG-registratie en geven aan waarvoor het adres officieel mag worden gebruikt.
Eerselsedijk 2-a-02 is gelegen op kadastraal perceel BEK00A1418. Deze kadastrale aanduiding is uniek en wordt gebruikt door het Kadaster om eigendomsrechten en andere zakelijke rechten vast te leggen. Het perceel maakt onderdeel uit van de kadastrale gemeente Bergeijk.
Het perceel waarop Eerselsedijk 2-a-02 staat heeft een oppervlakte van 3205 m². Dit is een zeer groot perceel. De perceeloppervlakte wordt geregistreerd door het Kadaster. Gedetailleerde informatie over de maten van dit perceel kunt u vinden in het rapport Kadastrale kaart met maatvoering van Eerselsedijk 2-a-02.
De eigenaar van Eerselsedijk 2-a-02 is op te vragen op deze pagina.
De informatie over dit adres is afkomstig uit officiële overheidsregistraties, voornamelijk de Basisregistratie Adressen en Gebouwen (BAG) en de Basisregistratie Kadaster (BRK). Deze gegevens worden beheerd door respectievelijk gemeenten en het Kadaster, en worden regelmatig bijgewerkt. Energielabelgegevens komen uit de database van de Rijksdienst voor Ondernemend Nederland (RVO).
