
Eijkenakker 10 is een adres in Bergeijk, dat zich bevindt binnen de gemeentegrenzen van Bergeijk en de grenzen van de provincie Noord-Brabant. Het object heeft een oppervlakte van 325 m², wat relatief groot is. Het perceel waarop het adres ligt is 1650 m² groot. Het adres is klein vergeleken met andere objecten in de straat. Het grootste object in de straat heeft een oppervlakte van 834 m², het kleinste is 12 m² groot. Eijkenakker 10 ligt in een gebouw uit het jaar 2007. Daarmee behoort het tot de groep panden van na 1984, die we als relatief nieuw bestempelen. Het bouwjaar is oud vergeleken met dat van de andere panden in de straat. Het oudste bouwjaar is er 1975 en de nieuwste is 2021. Het verblijfsobject heeft de volgende gebruiksdoelen: 'industriefunctie'.
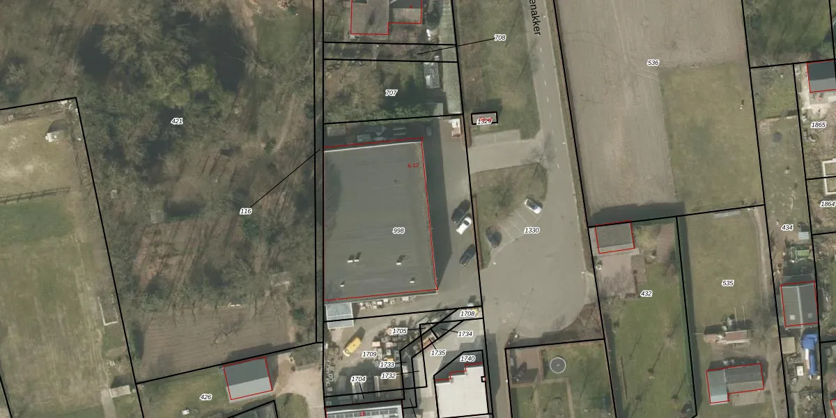
Het adres ligt op het perceel BEK00-I-998, dat zich in de kadastrale gemeente Bergeijk bevindt. Het perceel is kleiner dan gemiddeld in Bergeijk. Het perceel is 1650 m² groot, terwijl het gemiddelde ligt op 6106,02 m². Het grootste perceel in de kadastrale gemeente is 2,07 km². Het kleinste perceel heeft een oppervlakte van 0 m². Er zijn 4 adressen aanwezig op het perceel. De huidige grenzen van het perceel zijn digitaal in de Basisregistratie Kadaster (BRK) geregistreerd op 03-03-2022.
Er is geen energielabel geregistreerd voor het adres. Het hoogste energielabel in de straat is A; het laagste is G. Het gemiddelde energielabel is er A. Het adres Eijkenakker 10 heeft als status: 'verblijfsobject in gebruik'. Het pand waarin dit adres ligt heeft als status: 'pand in gebruik'.
Eijkenakker 10 is een adres gelegen in de gemeente Bergeijk, provincie Noord-Brabant. Dit adres is geregistreerd in de Basisregistratie Adressen en Gebouwen (BAG) met als unieke identificatie 1724010000000774.
Het pand op Eijkenakker 10 is gebouwd in 2007, wat betekent dat het 19 jaar oud is. Dit is een relatief modern pand. Ten opzichte van de nationale woningvoorraad is het pand relatief modern, maar er kunnen enkele verouderde elementen zijn die aandacht nodig hebben.
De woning op Eijkenakker 10 heeft een gebruiksoppervlakte van 325 m². Dit is ruim vergeleken met de gemiddelde Nederlandse woning, die een oppervlakte heeft van ongeveer 119 m². De gebruiksoppervlakte is de maat die wordt gebruikt in de BAG-registratie, de landelijke registratie van de Nederlandse overheid.
Eijkenakker 10 heeft als functie: industrie. Deze gebruiksfunctie(s) zijn vastgelegd in de BAG-registratie en geven aan waarvoor het adres officieel mag worden gebruikt.
Eijkenakker 10 is gelegen op kadastraal perceel BEK00I998. Deze kadastrale aanduiding is uniek en wordt gebruikt door het Kadaster om eigendomsrechten en andere zakelijke rechten vast te leggen. Het perceel maakt onderdeel uit van de kadastrale gemeente Bergeijk.
Het perceel waarop Eijkenakker 10 staat heeft een oppervlakte van 1650 m². Dit is een zeer groot perceel. De perceeloppervlakte wordt geregistreerd door het Kadaster. Gedetailleerde informatie over de maten van dit perceel kunt u vinden in het rapport Kadastrale kaart met maatvoering van Eijkenakker 10.
De eigenaar van Eijkenakker 10 is op te vragen op deze pagina.
De informatie over dit adres is afkomstig uit officiële overheidsregistraties, voornamelijk de Basisregistratie Adressen en Gebouwen (BAG) en de Basisregistratie Kadaster (BRK). Deze gegevens worden beheerd door respectievelijk gemeenten en het Kadaster, en worden regelmatig bijgewerkt. Energielabelgegevens komen uit de database van de Rijksdienst voor Ondernemend Nederland (RVO).
