
Fluwijnstraat 10 is een adres in Bergen L, dat zich bevindt binnen de gemeentegrenzen van Bergen L en de grenzen van de provincie Limburg. Het perceel waarop het adres gelegen is heeft een oppervlakte van 1890 m². Het verblijfsobject is met 91 m² relatief klein. Dit is het kleinste object van de straat. De gemiddelde oppervlakte van verblijfsobjecten is er 111 m². De grootste oppervlakte in de straat is 217 m². De meeste Nederlandse gebouwen zijn gebouwd in de periode 1965-1984. Zo ook het pand waarin Fluwijnstraat 10 ligt, dat gebouwd is in 1981. Het bouwjaar is oud vergeleken met dat van de andere panden in de straat. Het oudste bouwjaar is er 1980 en de nieuwste is 1988. De volgende gebruiksdoelen zijn geregistreerd voor dit adres: 'woonfunctie'.
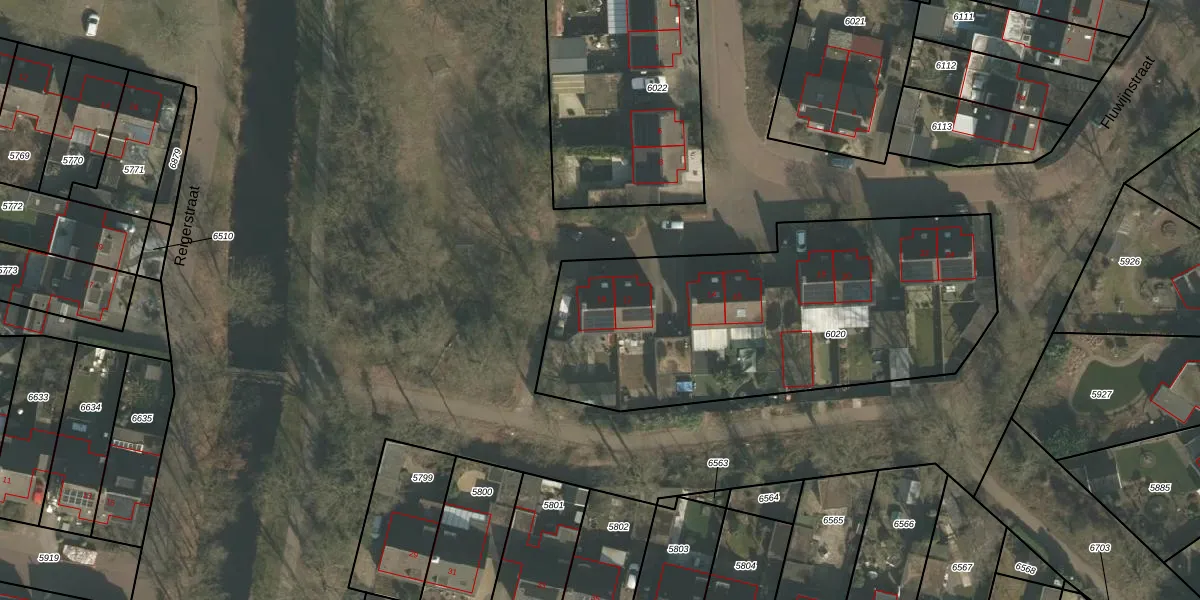
Het adres is gelegen op perceel 6020 in de sectie D en de kadastrale gemeente Bergen Limburg. De kadastrale aanduiding is aldus BGN02-D-6020. Het perceel is 1890 m² groot. Dat is kleiner dan de gemiddelde perceeloppervlakte in Bergen Limburg, dat op 9536,35 m² ligt. De grootste perceeloppervlakte in de kadastrale gemeente is 1,61 km². De kleinste oppervlakte bedraagt 0 m². Er zijn 8 adressen aanwezig op het perceel. De huidige grenzen van het perceel zijn digitaal in de Basisregistratie Kadaster (BRK) geregistreerd op 21-03-2011.
Het adres ligt in een gebouw van het type 'twee-onder-één-kap'. Bij de laatste meting is voor het adres het energielabel C geregistreerd. Het hoogste energielabel in de straat is A; het laagste is G. Het gemiddelde energielabel is er B. Het adres Fluwijnstraat 10 heeft als status: 'verblijfsobject in gebruik'. Het pand waarin dit adres ligt heeft als status: 'pand in gebruik'.
Fluwijnstraat 10 is een adres gelegen in de gemeente Bergen (L.), provincie Limburg. Dit adres is geregistreerd in de Basisregistratie Adressen en Gebouwen (BAG) met als unieke identificatie 0893010000142015.
Het pand op Fluwijnstraat 10 is gebouwd in 1981, wat betekent dat het 45 jaar oud is. Dit is een pand van middelbare leeftijd. Het pand is van gemiddelde leeftijd en zal waarschijnlijk verouderde elementen bevatten.
De woning op Fluwijnstraat 10 heeft een gebruiksoppervlakte van 91 m². Dit is onder het gemiddelde vergeleken met de gemiddelde Nederlandse woning, die een oppervlakte heeft van ongeveer 119 m². De gebruiksoppervlakte is de maat die wordt gebruikt in de BAG-registratie, de landelijke registratie van de Nederlandse overheid.
Fluwijnstraat 10 heeft als functie: wonen. Deze gebruiksfunctie(s) zijn vastgelegd in de BAG-registratie en geven aan waarvoor het adres officieel mag worden gebruikt.
Fluwijnstraat 10 is gelegen op kadastraal perceel BGN02D6020. Deze kadastrale aanduiding is uniek en wordt gebruikt door het Kadaster om eigendomsrechten en andere zakelijke rechten vast te leggen. Het perceel maakt onderdeel uit van de kadastrale gemeente Bergen Limburg.
Het perceel waarop Fluwijnstraat 10 staat heeft een oppervlakte van 1890 m². Dit is een zeer groot perceel. De perceeloppervlakte wordt geregistreerd door het Kadaster. Gedetailleerde informatie over de maten van dit perceel kunt u vinden in het rapport Kadastrale kaart met maatvoering van Fluwijnstraat 10.
De eigenaar van Fluwijnstraat 10 is op te vragen op deze pagina.
De informatie over dit adres is afkomstig uit officiële overheidsregistraties, voornamelijk de Basisregistratie Adressen en Gebouwen (BAG) en de Basisregistratie Kadaster (BRK). Deze gegevens worden beheerd door respectievelijk gemeenten en het Kadaster, en worden regelmatig bijgewerkt. Energielabelgegevens komen uit de database van de Rijksdienst voor Ondernemend Nederland (RVO).
