
Hoekgraaf 11 is gelegen in de plaats Bergharen, de gemeente Wijchen en de provincie Gelderland. Het object heeft een oppervlakte van 202 m², wat relatief groot is. Het perceel waarop het adres ligt is 8556 m² groot. Het object is klein ten opzichte van de andere adressen in de straat. Het grootste verblijfsobject is 612 m² groot en het kleinste is 50 m². Hoekgraaf 11 bevindt zich in een pand uit het jaar 1650. Daarmee behoort het tot de groep relatief oude panden in Nederland die gebouwd zijn vóór 1965. Het gemiddelde bouwjaar in de straat is 1959 en dat van het nieuwste object 2026. In de straat is dit het oudste pand. De volgende gebruiksdoelen zijn geregistreerd voor dit adres: 'woonfunctie'.
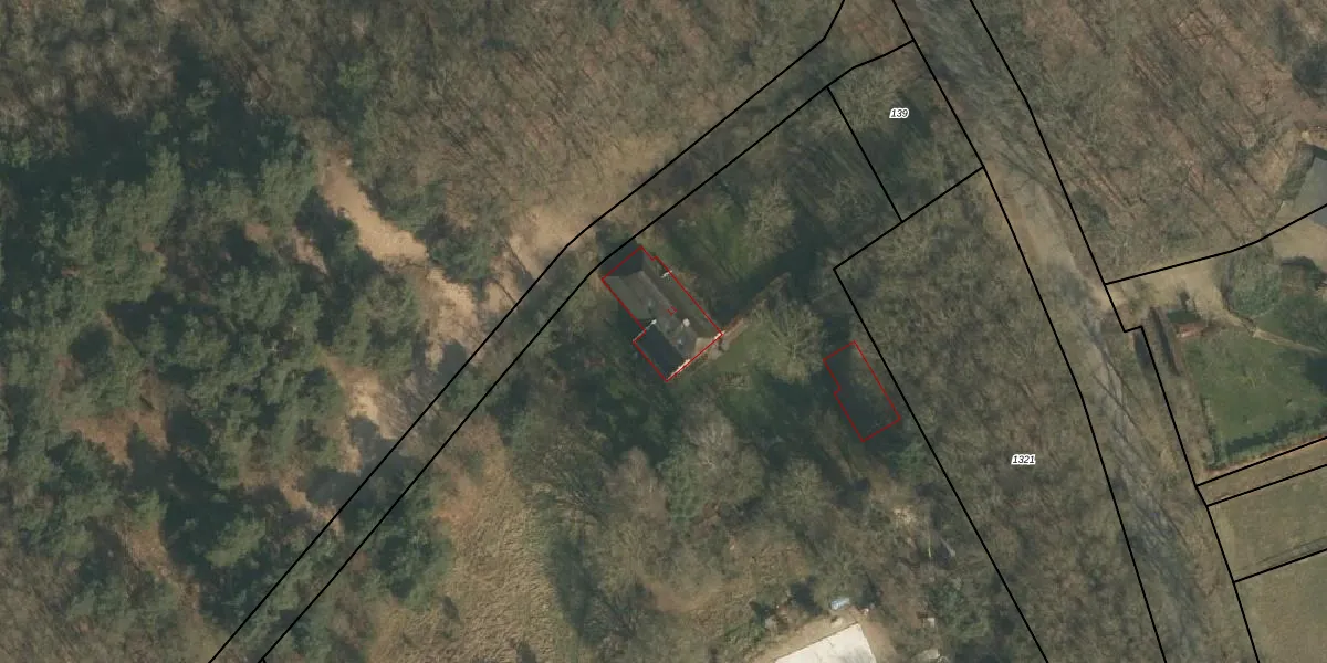
Het perceel waarop het adres ligt is BHR02-H-1323. De afkorting 'BHR02' staat voor kadastrale gemeente Bergharen. De oppervlakte van het perceel is 8556 m². Dat is groter dan gemiddeld in Bergharen, waar de gemiddelde perceeloppervlakte op 7920,98 m² ligt. Het grootste perceel in de kadastrale gemeente is 42,1 ha. Het kleinste perceel heeft een oppervlakte van 0 m². Er zijn 2 adressen aanwezig op het perceel. De laatste wijziging in het de Basisregistratie Kadaster (BRK) was op 24-05-2023.
Er is geen energielabel geregistreerd voor het adres. Het hoogste energielabel in de straat is A; het laagste is G. Het gemiddelde energielabel is er D. Het adres Hoekgraaf 11 heeft als status: 'verblijfsobject in gebruik'. Het pand waarin dit adres ligt heeft als status: 'pand in gebruik'.
Hoekgraaf 11 is een adres gelegen in de gemeente Wijchen, provincie Gelderland. Dit adres is geregistreerd in de Basisregistratie Adressen en Gebouwen (BAG) met als unieke identificatie 0296010000009613.
Het pand op Hoekgraaf 11 is gebouwd in 1650, wat betekent dat het 376 jaar oud is. Dit is een ouder pand. Het pand heeft mogelijk aanzienlijke renovaties nodig om aan de huidige standaarden te voldoen.
De woning op Hoekgraaf 11 heeft een gebruiksoppervlakte van 202 m². Dit is ruim vergeleken met de gemiddelde Nederlandse woning, die een oppervlakte heeft van ongeveer 119 m². De gebruiksoppervlakte is de maat die wordt gebruikt in de BAG-registratie, de landelijke registratie van de Nederlandse overheid.
Hoekgraaf 11 heeft als functie: wonen. Deze gebruiksfunctie(s) zijn vastgelegd in de BAG-registratie en geven aan waarvoor het adres officieel mag worden gebruikt.
Hoekgraaf 11 is gelegen op kadastraal perceel BHR02H1323. Deze kadastrale aanduiding is uniek en wordt gebruikt door het Kadaster om eigendomsrechten en andere zakelijke rechten vast te leggen. Het perceel maakt onderdeel uit van de kadastrale gemeente Bergharen.
Het perceel waarop Hoekgraaf 11 staat heeft een oppervlakte van 8556 m². Dit is een zeer groot perceel. De perceeloppervlakte wordt geregistreerd door het Kadaster. Gedetailleerde informatie over de maten van dit perceel kunt u vinden in het rapport Kadastrale kaart met maatvoering van Hoekgraaf 11.
De eigenaar van Hoekgraaf 11 is op te vragen op deze pagina.
De informatie over dit adres is afkomstig uit officiële overheidsregistraties, voornamelijk de Basisregistratie Adressen en Gebouwen (BAG) en de Basisregistratie Kadaster (BRK). Deze gegevens worden beheerd door respectievelijk gemeenten en het Kadaster, en worden regelmatig bijgewerkt. Energielabelgegevens komen uit de database van de Rijksdienst voor Ondernemend Nederland (RVO).
