
Korte Heistraat 4 is een adres in Berghem, dat zich bevindt binnen de gemeentegrenzen van Berghem en de grenzen van de provincie Noord-Brabant. De oppervlakte bedraagt 184 m², waarmee het adres groter dan gemiddeld is. De grootte van het perceel waarop het adres ligt is 5820 m². Het object is klein ten opzichte van de andere adressen in de straat. Het grootste verblijfsobject is 346 m² groot en het kleinste is 57 m². Het gebouw waarin Korte Heistraat 4 ligt komt uit het jaar 1934. Objecten die gebouwd zijn vóór 1965 classificeren we hier als oud. Veel andere gebouwen in de straat zijn ouder dan dit pand. Het oudste pand komt uit het jaar 1850 en het nieuwste uit 2022. Voor het verblijfsobject gelden deze gebruiksdoelen: 'woonfunctie'.
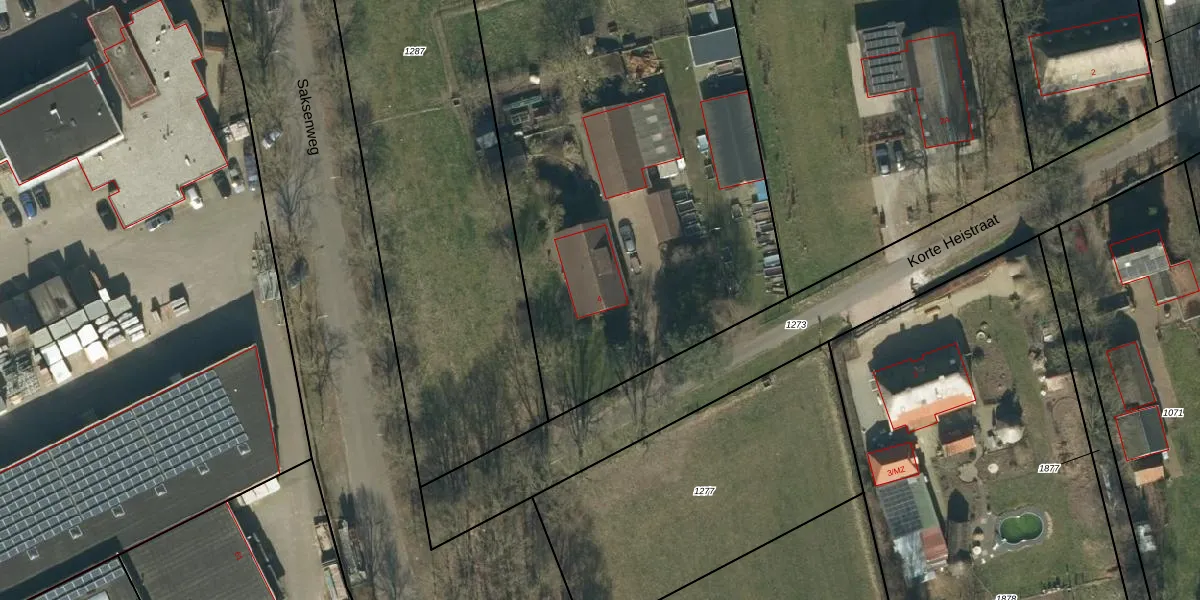
Het perceel waarop het adres ligt is BHM00-C-1268. De afkorting 'BHM00' staat voor kadastrale gemeente Berghem. Het perceel is met 5820 m² relatief groot. Het gemiddelde ligt in de kadastrale gemeente Berghem op 1641,41 m². Het kleinste perceel in de kadastrale gemeente is 0 m² groot. De grootste perceeloppervlakte is 33,1 ha. Er zijn geen andere adressen aanwezig op het perceel. De huidige grenzen van het perceel zijn digitaal in de Basisregistratie Kadaster (BRK) geregistreerd op 03-07-2009.
Er is geen energielabel geregistreerd voor het adres. Het hoogste energielabel in de straat is G; het laagste is G. Het gemiddelde energielabel is er G. Het adres Korte Heistraat 4 heeft als status: 'verblijfsobject in gebruik'. Het pand waarin dit adres ligt heeft als status: 'pand in gebruik'.
Korte Heistraat 4 is een adres gelegen in de gemeente Oss, provincie Noord-Brabant. Dit adres is geregistreerd in de Basisregistratie Adressen en Gebouwen (BAG) met als unieke identificatie 0828010001529172.
Het pand op Korte Heistraat 4 is gebouwd in 1934, wat betekent dat het 92 jaar oud is. Dit is een ouder pand. Het pand heeft mogelijk aanzienlijke renovaties nodig om aan de huidige standaarden te voldoen.
De woning op Korte Heistraat 4 heeft een gebruiksoppervlakte van 184 m². Dit is ruim vergeleken met de gemiddelde Nederlandse woning, die een oppervlakte heeft van ongeveer 119 m². De gebruiksoppervlakte is de maat die wordt gebruikt in de BAG-registratie, de landelijke registratie van de Nederlandse overheid.
Korte Heistraat 4 heeft als functie: wonen. Deze gebruiksfunctie(s) zijn vastgelegd in de BAG-registratie en geven aan waarvoor het adres officieel mag worden gebruikt.
Korte Heistraat 4 is gelegen op kadastraal perceel BHM00C1268. Deze kadastrale aanduiding is uniek en wordt gebruikt door het Kadaster om eigendomsrechten en andere zakelijke rechten vast te leggen. Het perceel maakt onderdeel uit van de kadastrale gemeente Berghem.
Het perceel waarop Korte Heistraat 4 staat heeft een oppervlakte van 5820 m². Dit is een zeer groot perceel. De perceeloppervlakte wordt geregistreerd door het Kadaster. Gedetailleerde informatie over de maten van dit perceel kunt u vinden in het rapport Kadastrale kaart met maatvoering van Korte Heistraat 4.
De eigenaar van Korte Heistraat 4 is op te vragen op deze pagina.
De informatie over dit adres is afkomstig uit officiële overheidsregistraties, voornamelijk de Basisregistratie Adressen en Gebouwen (BAG) en de Basisregistratie Kadaster (BRK). Deze gegevens worden beheerd door respectievelijk gemeenten en het Kadaster, en worden regelmatig bijgewerkt. Energielabelgegevens komen uit de database van de Rijksdienst voor Ondernemend Nederland (RVO).
