
Leeweg 33 is gelegen in de plaats Berkel en Rodenrijs, de gemeente Lansingerland en de provincie Zuid-Holland. De oppervlakte van het verblijfsobject is met 1188 m² aan de grote kant. Het perceel heeft een oppervlakte van 6085 m². In de straat is dit het adres met de grootste oppervlakte. De objecten in de straat zijn gemiddeld 202 m² groot. Het kleinste verblijfsobject heeft een oppervlakte van 58 m². Leeweg 33 bevindt zich in een pand uit het jaar 1900. Daarmee behoort het tot de groep relatief oude panden in Nederland die gebouwd zijn vóór 1965. Gemiddeld zijn de gebouwen in de straat gebouwd in 1979. Dit is het oudste pand in de straat. Het meest recente komt uit het jaar 2025. Het verblijfsobject heeft de volgende gebruiksdoelen: 'woonfunctie' en 'bijeenkomstfunctie'.
Deze woning is voor het laatst verkocht op 1 januari 2015. Meer informatie over deze transactie? Bestel het Woningtransactierapport om de verkoopprijs en andere informatie te zien.
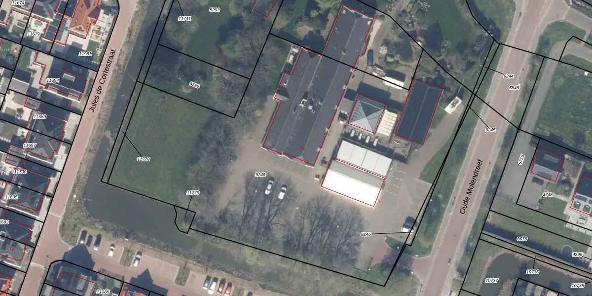
Het perceel waarop het adres ligt is BKL01-B-9248. De afkorting 'BKL01' staat voor kadastrale gemeente Berkel en Rodenrijs. De gemiddelde perceeloppervlakte in de kadastrale gemeente Berkel en Rodenrijs is 1315 m². Dit perceel is met zijn 6085 m² dus groter dan gemiddeld. Het grootste perceel in de kadastrale gemeente is 33,8 ha. Het kleinste perceel heeft een oppervlakte van 0 m². Op het perceel bevinden zich geen andere adressen. De laatste wijziging in het de Basisregistratie Kadaster (BRK) was op 04-10-2024.
Er is geen energielabel geregistreerd voor het adres. Het hoogste energielabel in de straat is A+++; het laagste is G. Het gemiddelde energielabel is er B. Het adres Leeweg 33 heeft als status: 'verblijfsobject in gebruik'. Het pand waarin dit adres ligt heeft als status: 'pand in gebruik'.
Leeweg 33 is een adres gelegen in de gemeente Lansingerland, provincie Zuid-Holland. Dit adres is geregistreerd in de Basisregistratie Adressen en Gebouwen (BAG) met als unieke identificatie 1621010000004691.
Het pand op Leeweg 33 is gebouwd in 1900, wat betekent dat het 126 jaar oud is. Dit is een ouder pand. Het pand heeft mogelijk aanzienlijke renovaties nodig om aan de huidige standaarden te voldoen.
De woning op Leeweg 33 heeft een gebruiksoppervlakte van 1188 m². Dit is ruim vergeleken met de gemiddelde Nederlandse woning, die een oppervlakte heeft van ongeveer 119 m². De gebruiksoppervlakte is de maat die wordt gebruikt in de BAG-registratie, de landelijke registratie van de Nederlandse overheid.
Leeweg 33 heeft als functie: wonen en bijeenkomsten. Deze gebruiksfunctie(s) zijn vastgelegd in de BAG-registratie en geven aan waarvoor het adres officieel mag worden gebruikt.
Leeweg 33 is gelegen op kadastraal perceel BKL01B9248. Deze kadastrale aanduiding is uniek en wordt gebruikt door het Kadaster om eigendomsrechten en andere zakelijke rechten vast te leggen. Het perceel maakt onderdeel uit van de kadastrale gemeente Berkel en Rodenrijs.
Het perceel waarop Leeweg 33 staat heeft een oppervlakte van 6085 m². Dit is een zeer groot perceel. De perceeloppervlakte wordt geregistreerd door het Kadaster. Gedetailleerde informatie over de maten van dit perceel kunt u vinden in het rapport Kadastrale kaart met maatvoering van Leeweg 33.
De eigenaar van Leeweg 33 is op te vragen op deze pagina.
De informatie over dit adres is afkomstig uit officiële overheidsregistraties, voornamelijk de Basisregistratie Adressen en Gebouwen (BAG) en de Basisregistratie Kadaster (BRK). Deze gegevens worden beheerd door respectievelijk gemeenten en het Kadaster, en worden regelmatig bijgewerkt. Energielabelgegevens komen uit de database van de Rijksdienst voor Ondernemend Nederland (RVO).
