
Graafsedijk 17-x is een adres in Beugen, dat zich bevindt binnen de gemeentegrenzen van Beugen en de grenzen van de provincie Noord-Brabant. Het perceel waarop het adres gelegen is heeft een oppervlakte van 4102 m². Het verblijfsobject is met 91 m² relatief klein. Het adres is klein vergeleken met andere objecten in de straat. Het grootste object in de straat heeft een oppervlakte van 1512 m², het kleinste is 76 m² groot. In het jaar 2025 is het pand waarin Graafsedijk 17-x ligt gebouwd. Dat is relatief recent: de meeste gebouwen in Nederland zijn gebouwd in de periode 1965-1984. Het gemiddelde bouwjaar in de straat is 1957 en dat van het oudste pand is 1865. Dit is het nieuwste object in de straat. Voor het verblijfsobject gelden deze gebruiksdoelen: 'woonfunctie'.
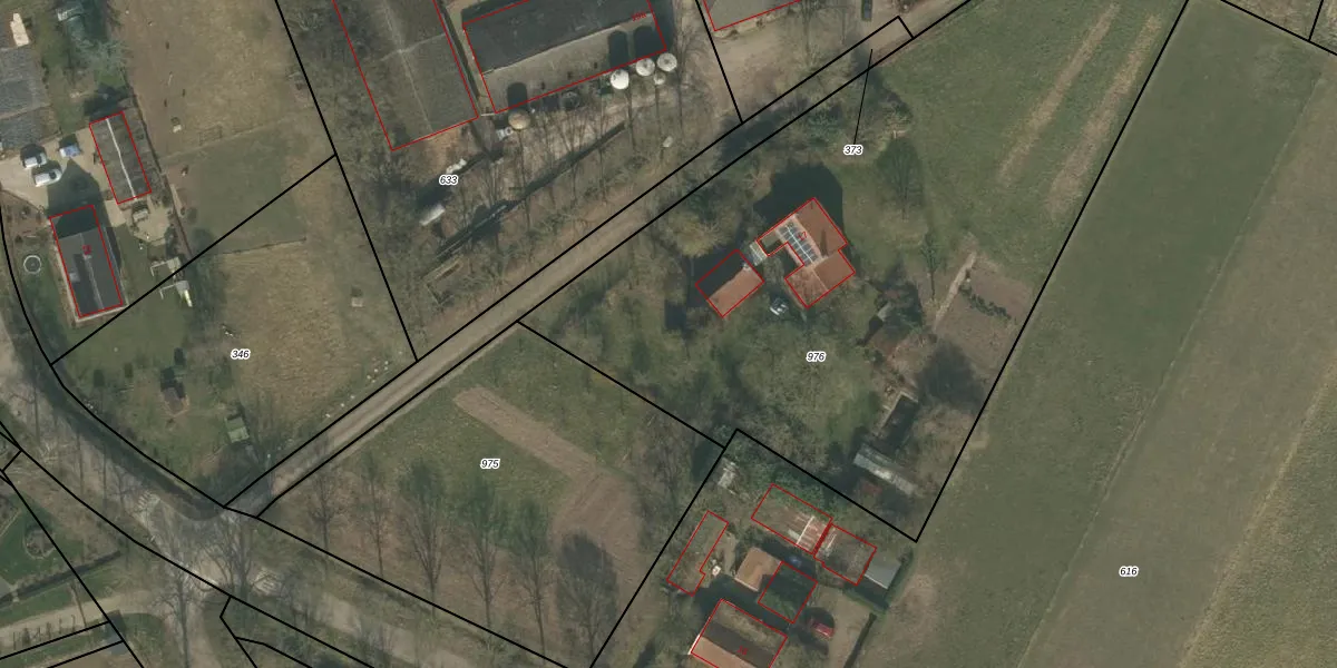
Het adres ligt op het perceel BMR00-R-976, dat zich in de kadastrale gemeente Boxmeer bevindt. De gemiddelde perceelgrootte in Boxmeer is 4543,22 m². Dit perceel is kleiner: de perceeloppervlakte bedraagt 4102 m². De grootste perceeloppervlakte in de kadastrale gemeente is 32,3 ha. De kleinste oppervlakte bedraagt 0 m². Er zijn 2 adressen aanwezig op het perceel. De huidige grenzen van het perceel zijn digitaal in de Basisregistratie Kadaster (BRK) geregistreerd op 05-09-2025.
Er is geen energielabel geregistreerd voor het adres. Het hoogste energielabel in de straat is A+++; het laagste is G. Het gemiddelde energielabel is er C. Het adres Graafsedijk 17-x heeft als status: 'verblijfsobject gevormd'. Het pand waarin dit adres ligt heeft als status: 'bouwvergunning verleend'.
Graafsedijk 17-x is een adres gelegen in de gemeente Land van Cuijk, provincie Noord-Brabant. Dit adres is geregistreerd in de Basisregistratie Adressen en Gebouwen (BAG) met als unieke identificatie 1982010000002578.
Het pand op Graafsedijk 17-x is gebouwd in 2025, wat betekent dat het 1 jaar oud is. Dit is een vrij nieuw pand. Het pand is dus waarschijnlijk goed geïsoleerd, geluidsdicht en voldoet aan de huidige bouwstandaarden. Op korte termijn zijn er waarschijnlijk weinig onderhoudskosten.
De woning op Graafsedijk 17-x heeft een gebruiksoppervlakte van 91 m². Dit is onder het gemiddelde vergeleken met de gemiddelde Nederlandse woning, die een oppervlakte heeft van ongeveer 119 m². De gebruiksoppervlakte is de maat die wordt gebruikt in de BAG-registratie, de landelijke registratie van de Nederlandse overheid.
Graafsedijk 17-x heeft als functie: wonen. Deze gebruiksfunctie(s) zijn vastgelegd in de BAG-registratie en geven aan waarvoor het adres officieel mag worden gebruikt.
Graafsedijk 17-x is gelegen op kadastraal perceel BMR00R976. Deze kadastrale aanduiding is uniek en wordt gebruikt door het Kadaster om eigendomsrechten en andere zakelijke rechten vast te leggen. Het perceel maakt onderdeel uit van de kadastrale gemeente Boxmeer.
Het perceel waarop Graafsedijk 17-x staat heeft een oppervlakte van 4102 m². Dit is een zeer groot perceel. De perceeloppervlakte wordt geregistreerd door het Kadaster. Gedetailleerde informatie over de maten van dit perceel kunt u vinden in het rapport Kadastrale kaart met maatvoering van Graafsedijk 17-x.
De eigenaar van Graafsedijk 17-x is op te vragen op deze pagina.
De informatie over dit adres is afkomstig uit officiële overheidsregistraties, voornamelijk de Basisregistratie Adressen en Gebouwen (BAG) en de Basisregistratie Kadaster (BRK). Deze gegevens worden beheerd door respectievelijk gemeenten en het Kadaster, en worden regelmatig bijgewerkt. Energielabelgegevens komen uit de database van de Rijksdienst voor Ondernemend Nederland (RVO).
