
Planetenbaan 567 is een adres in Bilthoven, dat zich bevindt binnen de gemeentegrenzen van Bilthoven en de grenzen van de provincie Utrecht. Het verblijfsobject is vergeleken met het Nederlandse gemiddelde aan de kleine kant: de oppervlakte is 82 m². Het perceel waarop het adres zich bevindt heeft een oppervlakte van 1374 m². In vergelijking met de andere adressen in de straat is de oppervlakte van dit object relatief groot. Het grootste verblijfsobject heeft een oppervlakte van 969 m², de oppervlakte van het kleinste object bedraagt 11 m². De gemiddelde bouwperiode van gebouwen in Nederland ligt tussen de jaren 1965-1984. Dat geldt ook voor het bouwjaar van Planetenbaan 567: het is gebouwd in het jaar 1971. Dit object is relatief nieuw in de straat. Het nieuwste gebouw komt er uit het jaar 2000 en het oudste uit het jaar 1958. Het verblijfsobject heeft de volgende gebruiksdoelen: 'woonfunctie'.
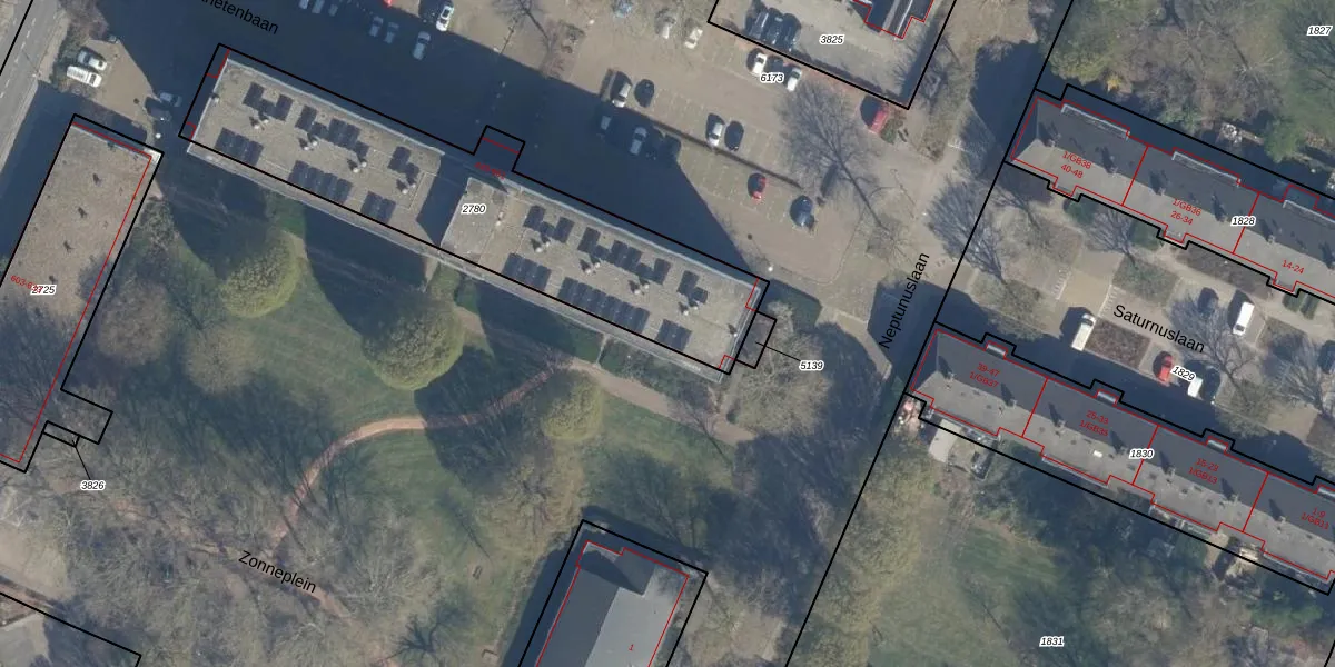
Het perceel waarop het adres ligt is BIL01-F-2780. De afkorting 'BIL01' staat voor kadastrale gemeente De Bilt. Het perceel is kleiner dan gemiddeld in De Bilt. Het perceel is 1374 m² groot, terwijl het gemiddelde ligt op 2129,18 m². Het kleinste perceel in de kadastrale gemeente is 0 m² groot. De grootste perceeloppervlakte is 77,4 ha. Op het perceel liggen in totaal 78 adressen. De huidige grenzen van het perceel zijn digitaal in de Basisregistratie Kadaster (BRK) geregistreerd op 15-03-2010.
Het adres ligt in een gebouw van het type 'appartement met het subtype tussenmidden'. Bij de laatste meting is voor het adres het energielabel B geregistreerd. Het hoogste energielabel in de straat is A++++; het laagste is G. Het gemiddelde energielabel is er C. Het adres Planetenbaan 567 heeft als status: 'verblijfsobject in gebruik'. Het pand waarin dit adres ligt heeft als status: 'pand in gebruik'.
Planetenbaan 567 is een adres gelegen in de gemeente De Bilt, provincie Utrecht. Dit adres is geregistreerd in de Basisregistratie Adressen en Gebouwen (BAG) met als unieke identificatie 0310010000707939.
Het pand op Planetenbaan 567 is gebouwd in 1971, wat betekent dat het 55 jaar oud is. Dit is een ouder pand. Het pand heeft mogelijk aanzienlijke renovaties nodig om aan de huidige standaarden te voldoen.
De woning op Planetenbaan 567 heeft een gebruiksoppervlakte van 82 m². Dit is onder het gemiddelde vergeleken met de gemiddelde Nederlandse woning, die een oppervlakte heeft van ongeveer 119 m². De gebruiksoppervlakte is de maat die wordt gebruikt in de BAG-registratie, de landelijke registratie van de Nederlandse overheid.
Planetenbaan 567 heeft als functie: wonen. Deze gebruiksfunctie(s) zijn vastgelegd in de BAG-registratie en geven aan waarvoor het adres officieel mag worden gebruikt.
Planetenbaan 567 is gelegen op kadastraal perceel BIL01F2780. Deze kadastrale aanduiding is uniek en wordt gebruikt door het Kadaster om eigendomsrechten en andere zakelijke rechten vast te leggen. Het perceel maakt onderdeel uit van de kadastrale gemeente De Bilt.
Het perceel waarop Planetenbaan 567 staat heeft een oppervlakte van 1374 m². Dit is een zeer groot perceel. De perceeloppervlakte wordt geregistreerd door het Kadaster. Gedetailleerde informatie over de maten van dit perceel kunt u vinden in het rapport Kadastrale kaart met maatvoering van Planetenbaan 567.
De eigenaar van Planetenbaan 567 is op te vragen op deze pagina.
De informatie over dit adres is afkomstig uit officiële overheidsregistraties, voornamelijk de Basisregistratie Adressen en Gebouwen (BAG) en de Basisregistratie Kadaster (BRK). Deze gegevens worden beheerd door respectievelijk gemeenten en het Kadaster, en worden regelmatig bijgewerkt. Energielabelgegevens komen uit de database van de Rijksdienst voor Ondernemend Nederland (RVO).
