
Het adres Professor Bronkhorstlaan 14 bevindt zich in de plaats Bilthoven, in de gemeente Bilthoven en de provincie Utrecht. Het object heeft een oppervlakte van 160 m², wat relatief groot is. Het perceel waarop het adres ligt is 40,5 ha groot. Het object is klein ten opzichte van de andere adressen in de straat. Het grootste verblijfsobject is 4784 m² groot en het kleinste is 6 m². Het gebouw waarin Professor Bronkhorstlaan 14 ligt komt uit het jaar 1951. Objecten die gebouwd zijn vóór 1965 classificeren we hier als oud. Het bouwjaar is oud vergeleken met dat van de andere panden in de straat. Het oudste bouwjaar is er 1920 en de nieuwste is 2013. Voor het verblijfsobject gelden deze gebruiksdoelen: 'kantoorfunctie'.
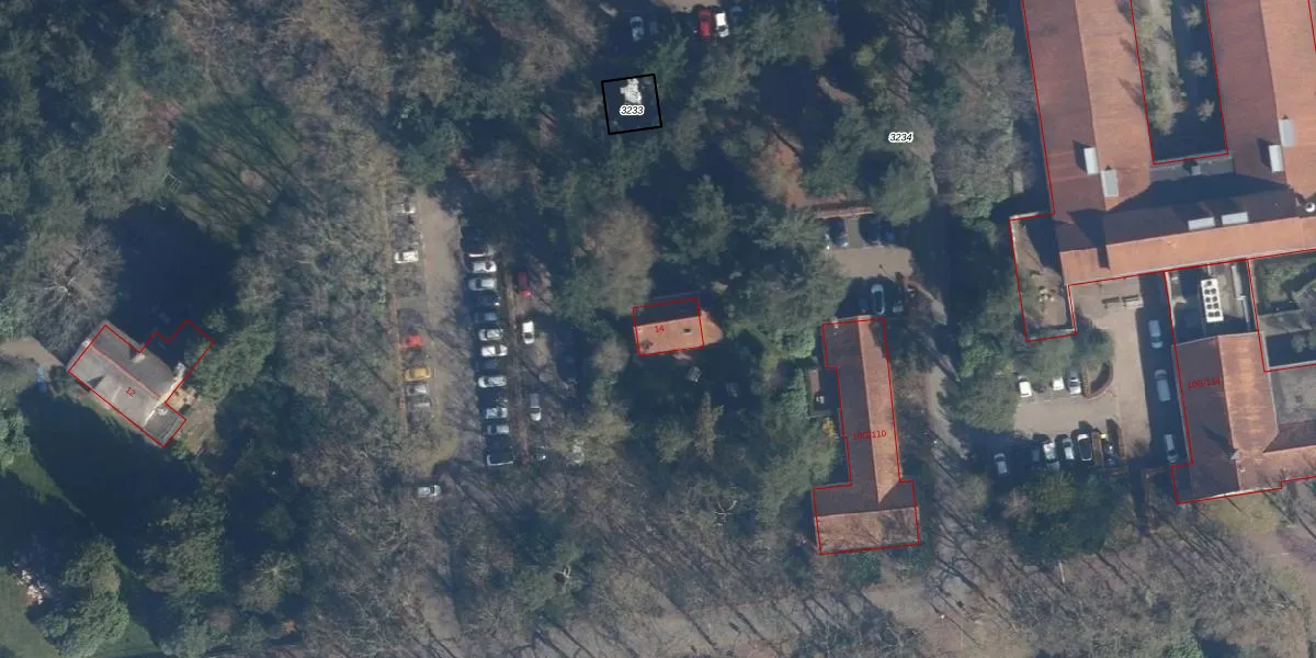
Het perceel waarop het adres ligt is BIL01-A-3234. De afkorting 'BIL01' staat voor kadastrale gemeente De Bilt. Het perceel is met 40,5 ha relatief groot. Het gemiddelde ligt in de kadastrale gemeente De Bilt op 2129,18 m². Het kleinste perceel in de kadastrale gemeente is 0 m² groot. De grootste perceeloppervlakte is 77,4 ha. Er zijn 44 adressen aanwezig op het perceel. In de Basisregistratie Kadaster (BRK) werden de grenzen van het perceel geregistreerd op 24-08-2017.
Bij de laatste meting is voor het adres het energielabel C geregistreerd. Het hoogste energielabel in de straat is A++; het laagste is G. Het gemiddelde energielabel is er D. Het adres Professor Bronkhorstlaan 14 heeft als status: 'verblijfsobject in gebruik'. Het pand waarin dit adres ligt heeft als status: 'pand in gebruik'.
Professor Bronkhorstlaan 14 is een adres gelegen in de gemeente De Bilt, provincie Utrecht. Dit adres is geregistreerd in de Basisregistratie Adressen en Gebouwen (BAG) met als unieke identificatie 0310010000708253.
Het pand op Professor Bronkhorstlaan 14 is gebouwd in 1951, wat betekent dat het 75 jaar oud is. Dit is een ouder pand. Het pand heeft mogelijk aanzienlijke renovaties nodig om aan de huidige standaarden te voldoen.
De woning op Professor Bronkhorstlaan 14 heeft een gebruiksoppervlakte van 160 m². Dit is ruim vergeleken met de gemiddelde Nederlandse woning, die een oppervlakte heeft van ongeveer 119 m². De gebruiksoppervlakte is de maat die wordt gebruikt in de BAG-registratie, de landelijke registratie van de Nederlandse overheid.
Professor Bronkhorstlaan 14 heeft als functie: kantoor. Deze gebruiksfunctie(s) zijn vastgelegd in de BAG-registratie en geven aan waarvoor het adres officieel mag worden gebruikt.
Professor Bronkhorstlaan 14 is gelegen op kadastraal perceel BIL01A3234. Deze kadastrale aanduiding is uniek en wordt gebruikt door het Kadaster om eigendomsrechten en andere zakelijke rechten vast te leggen. Het perceel maakt onderdeel uit van de kadastrale gemeente De Bilt.
Het perceel waarop Professor Bronkhorstlaan 14 staat heeft een oppervlakte van 40,5 ha. Dit is een zeer groot perceel. De perceeloppervlakte wordt geregistreerd door het Kadaster. Gedetailleerde informatie over de maten van dit perceel kunt u vinden in het rapport Kadastrale kaart met maatvoering van Professor Bronkhorstlaan 14.
De eigenaar van Professor Bronkhorstlaan 14 is op te vragen op deze pagina.
De informatie over dit adres is afkomstig uit officiële overheidsregistraties, voornamelijk de Basisregistratie Adressen en Gebouwen (BAG) en de Basisregistratie Kadaster (BRK). Deze gegevens worden beheerd door respectievelijk gemeenten en het Kadaster, en worden regelmatig bijgewerkt. Energielabelgegevens komen uit de database van de Rijksdienst voor Ondernemend Nederland (RVO).
